Bán Nhà Cấp 4 ( Rẻ Nhất Khu Vực ) , Khu Công Nghiệp Sông Mây , Xã Bắc Sơn , Trảng Bom , Đồng Nai .
460 triệu
170m²
Đặc điểm
Mã tin
33266300
Cập nhật
11/08/2025
Loại tin
Bán nhà riêng
Mức giá
460 triệu
Diện tích
170m²
Địa chỉ
khu công nghiệp Sông Mây , Xã Bắc Sơn , Trảng bom , Đồng Nai .,Xã Bắc Sơn, Huyện Trảng Bom, Đồng Nai
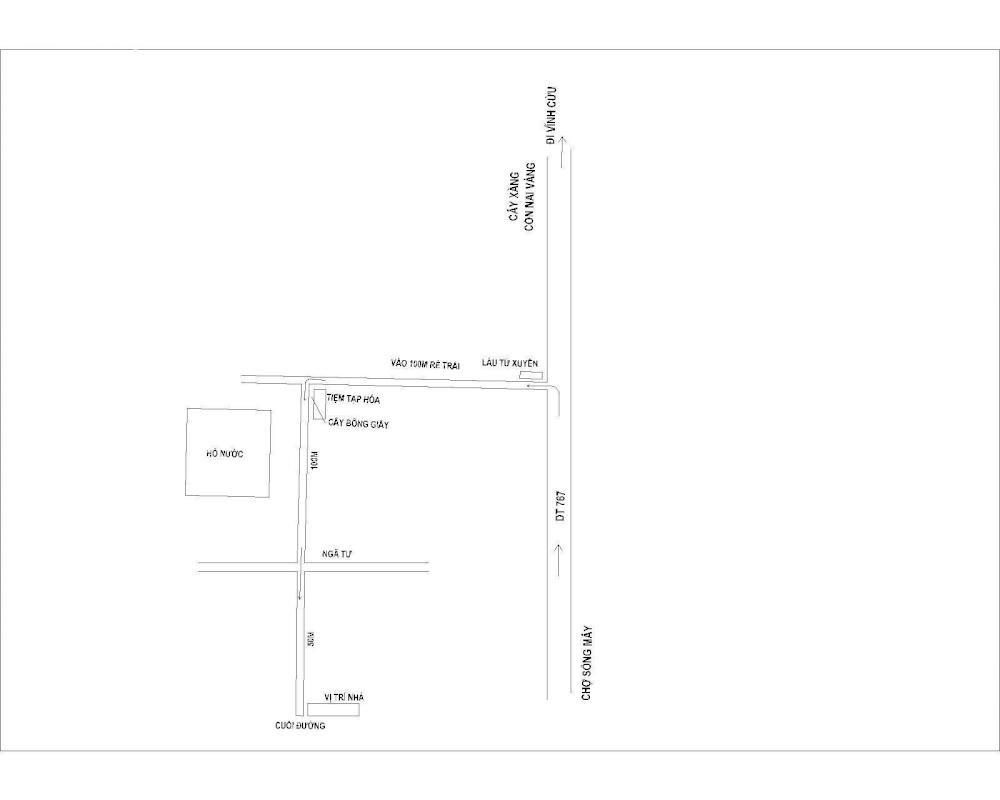
Bán nhà cấp 4 ( rẻ nhất khu vực ) , khu công nghiệp Sông Mây , Xã Bắc Sơn , Trảng bom , Đồng Nai .
- Diện tích 7x20 nở hậu 10m , 170 m2 có nhà 5x10 , bên cạnh còn dư 70 m2 có thể xây thêm bên cạnh vừa ở vừa cho thuê.
- Giá bán 460 triệu
- Hiện đang cho công nhân thuê 1.8tr / tháng . phù hợp gia đình sản xuất hoặc công nhân . .
- Tình trạng pháp lý : Mua bán giấy tay , được ông Âp trưởng ở khu này xác nhận chính chủ không tranh chấp ( bao tranh chấp - chính chủ ) - đúng chủ hộ không tranh chấp , có hàng rào bao quanh .
- Nhà đất thuộc KCN Sông Mây , Xã đang kê khai thống kê để nộp thuế .
Liên hệ 0945 3979 88 Nguyễn Thanh Vũ
Hình ảnh
- Diện tích 7x20 nở hậu 10m , 170 m2 có nhà 5x10 , bên cạnh còn dư 70 m2 có thể xây thêm bên cạnh vừa ở vừa cho thuê.
- Giá bán 460 triệu
- Hiện đang cho công nhân thuê 1.8tr / tháng . phù hợp gia đình sản xuất hoặc công nhân . .
- Tình trạng pháp lý : Mua bán giấy tay , được ông Âp trưởng ở khu này xác nhận chính chủ không tranh chấp ( bao tranh chấp - chính chủ ) - đúng chủ hộ không tranh chấp , có hàng rào bao quanh .
- Nhà đất thuộc KCN Sông Mây , Xã đang kê khai thống kê để nộp thuế .
Liên hệ 0945 3979 88 Nguyễn Thanh Vũ
Có thể bạn quan tâm
-
chính chủ cần bán nhà sổ riêng ngay nhà thờ phú sơn bắc sơn giá rẻ lh
1,88 tỷ 100m² 3 Đường Bắc Sơn - Long Thành, Xã Bắc Sơn, Trảng Bom, Đồng Nai
-
bán nhà gác lửng sổ riêng ,thổ cư ngay chợ phú sơn,bắc sơn trảng bom giá rẻ
1,73 tỷ 100m² 3 Đường Bắc Sơn - Long Thành, Xã Bắc Sơn, Trảng Bom, Đồng Nai
-
bán nhà gác lửng hiện đại tại sông mây - bắc sơn + bình minh. giá 1,49 tỷ
1,49 tỷ 145m² 3 Xã Bắc Sơn, Trảng Bom, Đồng Nai
-
nhà riêng đẹp xuất sắc tại xã bắc sơn, trảng bom, đồng nai, giá cực chất 2,35 tỷ, 100m2
2,35 tỷ 100m² 3 Xã Bắc Sơn, Trảng Bom, Đồng Nai
-
mặt bằng mặt tiền 8x45m giá chỉ 3 tỷ đang cho thuê siêu hot
3 tỷ 360m² 2 Xã Bắc Sơn, Trảng Bom, Đồng Nai
-
bán nhà giá gộp mặt tiền ql 1a bắc sơn, trảng bom, đồng nai. giá 2tỷ** giá bán trong tuần. dt 186m2
2,9 tỷ 186m² 2 Đường Quốc lộ 1A, Xã Bắc Sơn, Trảng Bom, Đồng Nai