Bán Nhà đất 238m² An Phú Quận 2, Sau Lưng The Vista, Giá 44 Tỷ
44 tỷ
238m²
Đặc điểm
Mã tin
33431740
Cập nhật
30/08
Loại tin
Bán đất
Mức giá
44 tỷ
Diện tích
238m²
Địa chỉ
Đường Số 7,Phường An Phú, Quận 2, Hồ Chí Minh
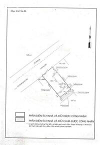
Bán nhà đất đường số 7, phường An Phú, Quận 2 (sau lưng khu căn hộ cao cấp The Vista)
- Diện tích khuôn viên: 9,77m x 24,05m = 238m²
- Công nhận sổ: 200m²
- Diện tích sử dụng thêm: 38m² (không công nhận)
- Pháp lý: Sổ hồng riêng, sang tên nhanh
Vị trí & tiềm năng: Nằm ngay trung tâm phường An Phú, sau lưng The Vista An Phú, liền kề Thảo Điền – khu vực sầm uất, dân trí cao.
- Kết nối nhanh Xa Lộ Hà Nội, Mai Chí Thọ, đường Song Hành, ga Metro số 1.
- Thích hợp xây dựng biệt thự, villa cao cấp, văn phòng công ty hoặc căn hộ dịch vụ.
Giá bán: 44 tỷ ~ 220 triệu/m² công nhận ( Xin lưu tâm giá bán có thể tăng hoặc giảm, hoặc ngừng bán, Tùy theo nhu cầu thị trường và chủ nhà)
Xem thêm: https://proviewland.vn/ban-dat/ban-dat-quan-thu-duc/
Liên Hệ: 0919942121 - 0982472121 Mr Hiền (Viber/Zalo/whatsapp)
Hình ảnh
- Diện tích khuôn viên: 9,77m x 24,05m = 238m²
- Công nhận sổ: 200m²
- Diện tích sử dụng thêm: 38m² (không công nhận)
- Pháp lý: Sổ hồng riêng, sang tên nhanh
Vị trí & tiềm năng: Nằm ngay trung tâm phường An Phú, sau lưng The Vista An Phú, liền kề Thảo Điền – khu vực sầm uất, dân trí cao.
- Kết nối nhanh Xa Lộ Hà Nội, Mai Chí Thọ, đường Song Hành, ga Metro số 1.
- Thích hợp xây dựng biệt thự, villa cao cấp, văn phòng công ty hoặc căn hộ dịch vụ.
Giá bán: 44 tỷ ~ 220 triệu/m² công nhận ( Xin lưu tâm giá bán có thể tăng hoặc giảm, hoặc ngừng bán, Tùy theo nhu cầu thị trường và chủ nhà)
Xem thêm: https://proviewland.vn/ban-dat/ban-dat-quan-thu-duc/
Liên Hệ: 0919942121 - 0982472121 Mr Hiền (Viber/Zalo/whatsapp)
Có thể bạn quan tâm
-
đất khu an phú an khánh 5 x 20m - bán 15.7 tỷ
15,7 tỷ 100m² Phường An Phú, Quận 2, Hồ Chí Minh
-
bán đất xây 5 tầng 230m2 38.6 tỷ. đường trần lựu, phường an phú quận 2. gần ngã 3 vành đai tây.
38,64 tỷ 230m² Đường Trần Lựu, Phường An Phú, Quận 2, Hồ Chí Minh
-
bán đất 10m x 18m, khu dân cư an ninh, đường trước nhà 15m ngay global city
13,5 tỷ 180m² Đường Liên Phường, Phường An Phú, Quận 2, Hồ Chí Minh
-
bán đất mặt tiền trần lựu, an phú, quận 2 - 8m x 20m - 60 tỷ (có thương lượng)
60 tỷ 160m² 74 - 76 Đường Trần Lựu, Phường An Phú, Quận 2, Hồ Chí Minh
-
bán lô đất góc 2 mt đẹp nhất - khu compound giang văn minh - 15x20m - xây h3t - giá rẻ chỉ 51,5 tỷ
51,5 tỷ 260m² Đường Giang Văn Minh, Phường An Phú, Quận 2, Hồ Chí Minh
-
hiếm !! mt cao đức lân, an phú. 60 tỷ. dt : 10 x 20 nở hậu = 208m2
60 tỷ 208m² Đường Cao Đức Lân, Phường An Phú, Quận 2, Hồ Chí Minh