Tin đăng này đã hết hạn trên sosanhnha.com
Bạn có thể sử dụng công cụ tìm kiếm trên website để tìm những tin đăng mới nhất.
hoặc xem chi tiết tin
Có thể bạn quan tâm
Bán nhà riêng
Bán Nhà Hẻm - Dt: 81,2m2 - Giá: 4,5 Tỷ - đường Htp - Thị Trấn Nhà Bè. Dt: Ngang 4,2 Dài 16m Nở
4,5 tỷ
81.2m²
Đặc điểm
Mã tin
33867518
Cập nhật
27/10/2025
Loại tin
Bán nhà riêng
Mức giá
4,5 tỷ
Diện tích
81.2m²
Phòng ngủ
3 phòng ngủ
Địa chỉ
Đường Huỳnh Tấn Phát, Thị trấn Nhà Bè, Nhà Bè, Hồ Chí Minh
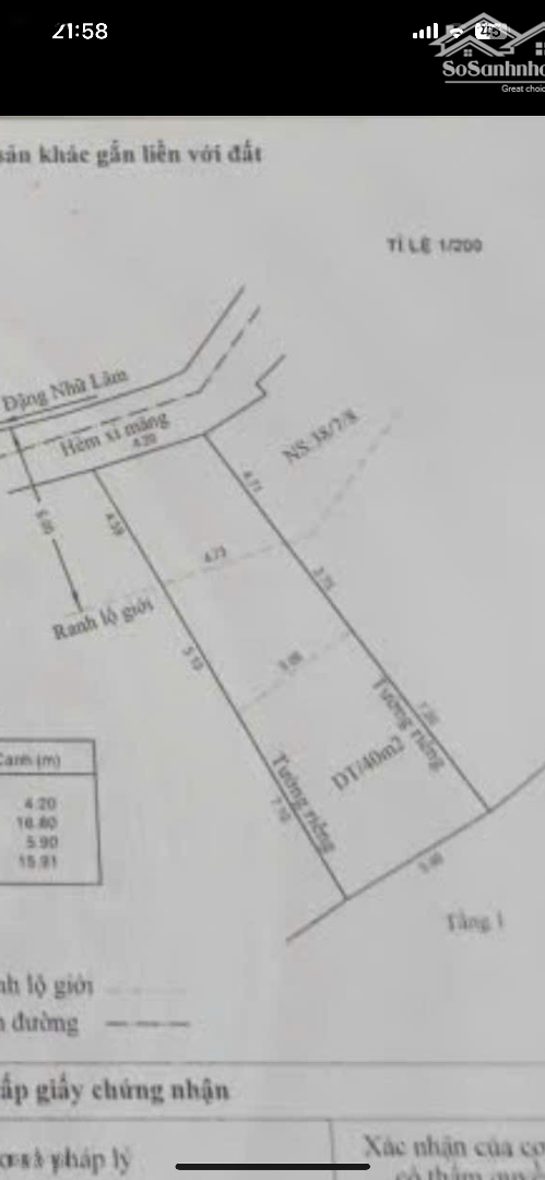
Bán nhà hẻm - DT: 81,2m2 - giá: 4,5 tỷ - Đường Huỳnh Tấn Phát - Phú Xuân - Nhà Bè.
Diện tích: Ngang 4,2m dài 16m (nở hậu 5,9m).
Nhà thuộc hẻm đường Đặng Nhữ Lâm, gần đường Huỳnh Tấn Phát, đường Phạm Hữu Lầu, đường Hoàng Quốc Việt, Đường Nguyễn Ván Linh.
Tiện ích với bán kính gần: PMH, Siêu thi Lottemart, BV Pháp Việt, ĐH Makettting.
Thuận tiện di chuyển đi Quận 7, quận 4, quận 1, quận 3, quận 5, quận 8,
Pháp lý chuẩn, công chứng ngay.
Nói không với tin ảo.
E cảm ơn đã xem tin.
Hình ảnh
Diện tích: Ngang 4,2m dài 16m (nở hậu 5,9m).
Nhà thuộc hẻm đường Đặng Nhữ Lâm, gần đường Huỳnh Tấn Phát, đường Phạm Hữu Lầu, đường Hoàng Quốc Việt, Đường Nguyễn Ván Linh.
Tiện ích với bán kính gần: PMH, Siêu thi Lottemart, BV Pháp Việt, ĐH Makettting.
Thuận tiện di chuyển đi Quận 7, quận 4, quận 1, quận 3, quận 5, quận 8,
Pháp lý chuẩn, công chứng ngay.
Nói không với tin ảo.
E cảm ơn đã xem tin.
Đặc điểm nổi bật
Diện tích :
81.2m2
Mặt tiền :
4.2m
Giá :
4,5 tỷ
Phòng ngủ :
3 phòng
Có thể bạn quan tâm
-
biệt thự sân vườn - không gian xanh, thoáng mát đường 8m kdc đào tông nguyên- 22m x 14m giá 8,99 tỷ
8,99 tỷ 135.4m² 4 Đường Đào Tông Nguyên, Thị trấn Nhà Bè, Huyện Nhà Bè, Hồ Chí Minh
-
bán nhà hxh, tt nhà bè chỉ 4,8 tỷ
4,8 tỷ 60m² 3 Đường Huỳnh Tấn Phát, Thị trấn Nhà Bè, Huyện Nhà Bè, Hồ Chí Minh
-
bán nhà mới 4 tầng - chỉ 6. xx tỷ - lô nhì huỳnh tấn phát - dt 4 x 12 - hoàn công - full nội thất
Liên hệ 48m² 4 Đường Huỳnh Tấn Phát, Thị trấn Nhà Bè, Huyện Nhà Bè, Hồ Chí Minh
-
bán nhà 2 tầng huỳnh tấn phát thị trấn nhà bè ngay trường nguyễn bình khiêm tặng full nội thất
3,62 tỷ 66m² 3 Đường Huỳnh Tấn Phát, Thị trấn Nhà Bè, Huyện Nhà Bè, Hồ Chí Minh
-
bán nhà riêng tại 86 đào tông nguyên, 8,9 tỷ, 115m2, 4pn, 4wc
8,9 tỷ 115m² 4 86, Đường Đào Tông Nguyên, Thị trấn Nhà Bè, Huyện Nhà Bè, Hồ Chí Minh
-
sổ riêng - giá 3.@@ - nhà mới- huỳnh tấn phát- dt 4 x 17m - kdc hiện hữu- hoàn công - full nội thất
3,65 tỷ 66m² 3 Đường Huỳnh Tấn Phát, Thị trấn Nhà Bè, Huyện Nhà Bè, Hồ Chí Minh