Tin đăng này đã hết hạn trên sosanhnha.com Bạn có thể sử dụng công cụ tìm kiếm trên website để tìm những tin đăng mới nhất. hoặc xem chi tiết tin
Có thể bạn quan tâm Bán nhà riêng
Nhà 5 Tầng Thang Máy Ngay Trung Tâm đặng Thai Mai Phù Hợp Vừa ở Vừa Kinh D
nhà 5 tầng thang máy ngay trung tâm đặng thai mai phù hợp vừa ở vừa kinh d
9,5 tỷ 152m²
Thành phố Phan Thiết, Bình Thuận
4 ngày trước
Nhà 3 Tầng Kiên Cố Vào ở Ngay, Khu Dân Cư Nội Bộ Võ Văn Kiệt Cực An Ninh
nhà 3 tầng kiên cố vào ở ngay, khu dân cư nội bộ võ văn kiệt cực an ninh
6,8 tỷ 102m²
Thành phố Phan Thiết, Bình Thuận
4 ngày trước
Đại Hạ Giá-Nhà 2 Mt Gần Bên Âu Cơ-Tuyên Quang(Tiến Lợi Cũ)-Lâm Đồng-DT 223m2
Đại hạ giá-Nhà 2 mt gần bên Âu Cơ-Tuyên Quang(Tiến Lợi cũ)-Lâm Đồng-DT 223m2
1,7 tỷ 223m²
3 phòng ngủ 2 vệ sinh
Thành phố Phan Thiết, Bình Thuận
5 ngày trước
Ngộp Quá Bán Nhanh-Nhà Gác Hàm Liêm-Lâm Đồng-DT 110m2TC,đối Diện KCN Phan Thiết
Ngộp quá bán nhanh-Nhà Gác Hàm Liêm-Lâm Đồng-DT 110m2TC,đối diện KCN Phan Thiết
1,15 tỷ 110m²
3 phòng ngủ 1 vệ sinh
Huyện Hàm Thuận Bắc, Bình Thuận
5 ngày trước
Nhà Ngộp Mặt Tiền 15m Nguyễn Văn Trỗi-Gần Chợ Thị Trấn Ma Lâm-Lâm Đồng-300m2TC
Nhà Ngộp mặt tiền 15m Nguyễn Văn Trỗi-Gần chợ thị trấn Ma Lâm-Lâm Đồng-300m2TC
1,75 tỷ 300m²
3 phòng ngủ 1 vệ sinh
Huyện Hàm Thuận Bắc, Bình Thuận
6 ngày trước

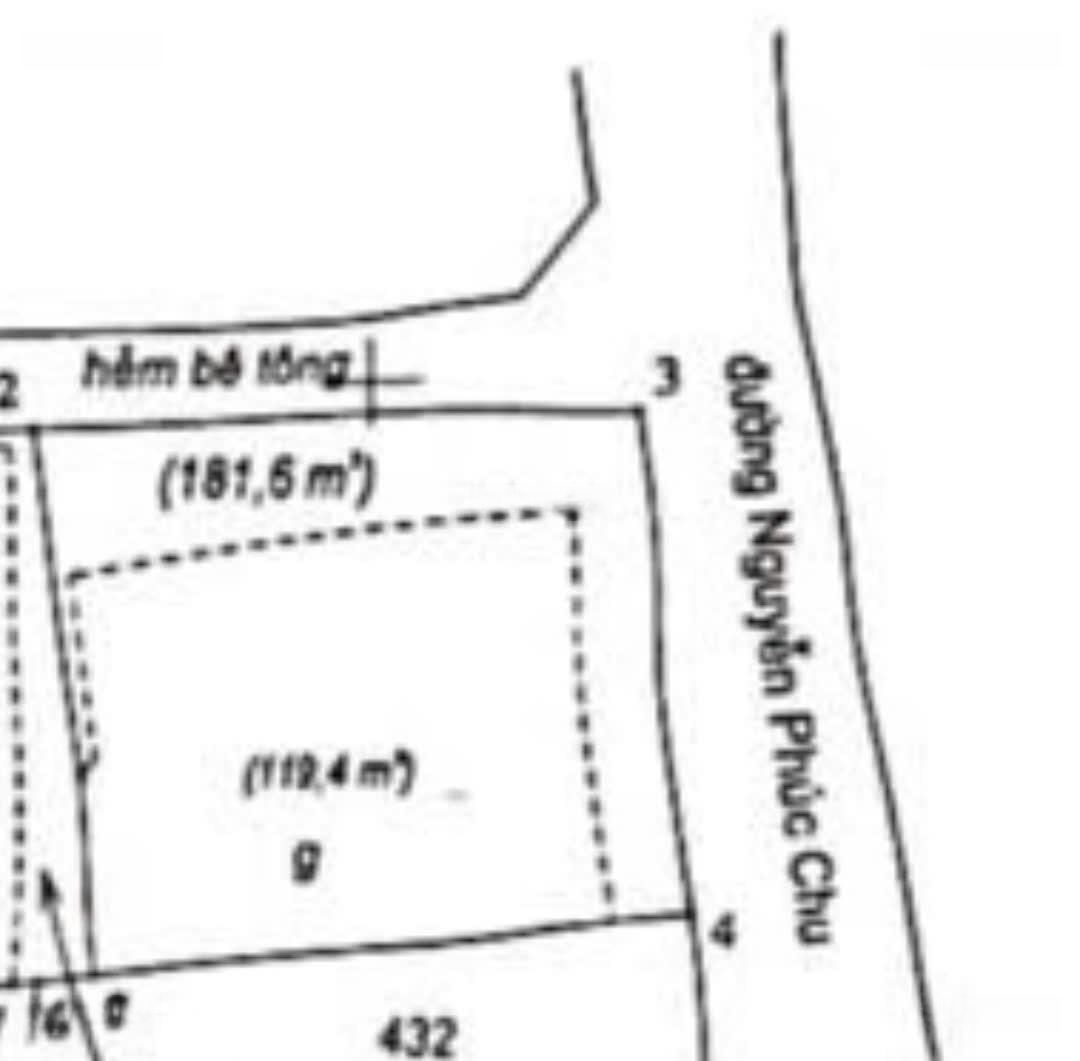
Bán Nhà Lô Góc, 181m2 Mặt Tiền Nguyễn Phúc Chu, Thanh Hải, Phan Thiết 4,5 Tỷ

4,5 tỷ 181m²
Đặc điểm
Mã tin 33059960
Cập nhật 11/07
Loại tin Bán nhà riêng
Mức giá 4,5 tỷ
Diện tích 181m²
Phòng ngủ 3 phòng ngủ
Địa chỉ Đường Nguyễn Phúc Chu, Phường Thanh Hải, Phan Thiết, Bình Thuận
Thông tin chi tiết
Chủ cần bán căn nhà đẹp, sổ hình vuông full thổ cư mặt tiền Nguyễn Phúc Chu, Phan Thiết, cách biẻn 150m.

Dt: 181m2 full thổ cư.

Lô góc 2 mặt tiền đường, ngang 14m.

Cách biển và đại lộ ven biển chỉ 150m.

Giá bán: 4,5 tỷ.



Tỉnh đã duyệt quy hoạch, chuẩn bị đầu tư tuyến đường đại lộ ven biển rộng 36m.

Giai đoạn 1 đường kéo từ cạnh cảng tàu Phú Quý đi qua biển Thanh Hải, Phú Hài nối vào chân núi cố đi vào vòng xoay Võ Nguyên Giáp để đi Nguyễn Đình Chiểu, sân bay. Tuyến đường này làm sẽ kết nối thẳng khách du lịch xuống cao tốc là đi thẳng đại lộ Lê Duẩn - Nguyễn Tất Thành - đại lộ ven biển = ra Nguyễn Đình Chiểu hoặc sân bay, đồi cát.
Đặc điểm nổi bật
Diện tích :
181m2
Mặt tiền :
14m
Giá :
4,5 tỷ
Số tầng :
1 tầng
Phòng ngủ :
3 phòng
Phòng tắm :
3 phòng
Đường vào :
8m
Hình ảnh
Có thể bạn quan tâm
Được đăng bởi:
Đinh Văn Dáng
Đinh Văn Dáng