Tin đăng này đã hết hạn trên sosanhnha.com
Bạn có thể sử dụng công cụ tìm kiếm trên website để tìm những tin đăng mới nhất.
hoặc xem chi tiết tin
Có thể bạn quan tâm
Bán nhà riêng
Bán Nhà Lô Góc 2 Mặt Hẻm ô Tô Phan Văn Trị
11,6 tỷ
54m²
Đặc điểm
Mã tin
34338319
Cập nhật
27/12/2025
Loại tin
Bán nhà riêng
Mức giá
11,6 tỷ
Diện tích
54m²
Phòng ngủ
6 phòng ngủ
Địa chỉ
Đường Phan Văn Trị, Phường 11, Bình Thạnh, Hồ Chí Minh
căn 332/42/9 phan văn trị P11, Q. Bình Thạnh này 11ty6.
chốt nhanh trong tháng này giá bao rẻ, KH thiện chí sẽ có giá siêu tốt.
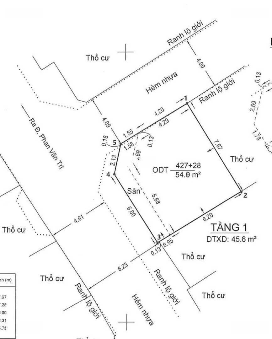
Sổ mới 54.8m2 đất công nhận và 3,2 m2 sân sử dụng trước nhà. Bán hiện trạng nhà 5 tầng+ mái che thang (hiện có 6p+ lấp chia thêm 2P+ trệt để xe+ lắp thêm thang máy...đã có thiết kế cải tạo tặng kèm)
a e sale 1%
Hình ảnh
chốt nhanh trong tháng này giá bao rẻ, KH thiện chí sẽ có giá siêu tốt.
Sổ mới 54.8m2 đất công nhận và 3,2 m2 sân sử dụng trước nhà. Bán hiện trạng nhà 5 tầng+ mái che thang (hiện có 6p+ lấp chia thêm 2P+ trệt để xe+ lắp thêm thang máy...đã có thiết kế cải tạo tặng kèm)
a e sale 1%
Đặc điểm nổi bật
Diện tích :
54m2
Mặt tiền :
4m
Giá :
11,6 tỷ
Số tầng :
6 tầng
Phòng ngủ :
6 phòng
Phòng tắm :
6 phòng
Đường vào :
5m
Có thể bạn quan tâm
-
nhỉnh 6t - bình thạnh - hẻm thông 30m ra mặt tiền - 4 tầng btct hoàn công đủ - 5pn full nội
6,8 tỷ 36m² 5 Đường Phan Văn Trị, Phường 11, Quận Bình Thạnh, Hồ Chí Minh
-
Nhà 2 tầng 3.5x7.5m 2PN 2WC, 273/69/2/3 Nguyễn Văn Đậu 4.5 tỷ
4,5 tỷ 26m² 2 2 Nguyễn Văn Đậu
-
hẻm oto - full nội thất 4 tầng nguyễn văn đậu ngang 6.3m
7,1 tỷ 31m² 3 Đường Nguyễn Văn Đậu, Phường 11, Quận Bình Thạnh, Hồ Chí Minh
-
lô góc hẻm xe hơip11 bình thạnh 3 tầng. chỉ 6.x tỉ
6,95 tỷ 33m² 3 Đường Phan Văn Trị, Phường 11, Quận Bình Thạnh, Hồ Chí Minh
-
siêu hot! dãy trọ nguyễn xí dòng tiền 30tr/tháng, giá chỉ 14.8tỷ, sổ hồng sẵn
Liên hệ 186m² Phố Nguyễn Xí, Phường 11, Quận Bình Thạnh, Hồ Chí Minh
-
hẻm 3g thông sát mt phan văn trị - bình thạnh 5p qua q1-4 tầng btct 5pn 3wc - giá chỉ 6.868 tỷ
6,87 tỷ 36m² 5 Đường Phan Văn Trị, Phường 11, Quận Bình Thạnh, Hồ Chí Minh