Tin đăng này đã hết hạn trên sosanhnha.com
Bạn có thể sử dụng công cụ tìm kiếm trên website để tìm những tin đăng mới nhất.
hoặc xem chi tiết tin
Có thể bạn quan tâm
Bán nhà mặt phố
Bán Nhà Mặt Phố Tại Bế Văn đàn, 5,8 Tỷ, 129,85m2, Hàng Hiếm Giá ưu đãi
5,8 tỷ
129.85m²
Đặc điểm
Mã tin
34446565
Cập nhật
15/01
Loại tin
Bán nhà mặt phố
Mức giá
5,8 tỷ
Diện tích
129.85m²
Phòng ngủ
1 phòng ngủ
Địa chỉ
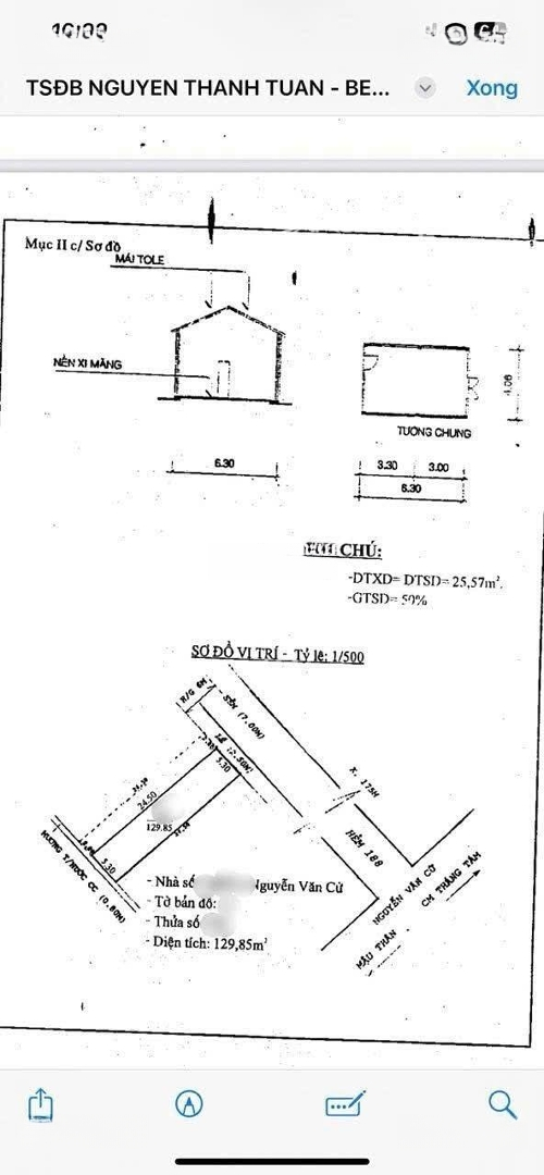
Đường Bế Văn Đàn, Phường An Hòa, Ninh Kiều, Cần Thơ
Nhà mặt phố Bế Văn Đàn tọa lạc tại Phường An Hòa, Ninh Kiều, Cần Thơ, là một lựa chọn lý tưởng cho những ai đang tìm kiếm một không gian sống tiện nghi và thuận lợi.
- Diện tích rộng rãi 129,85m2, thiết kế 1 tầng, 1 phòng ngủ.
- Nội thất đầy đủ, sẵn sàng để sử dụng.
- Mặt tiền 5,3m, phù hợp cho việc kinh doanh.
- Hướng cửa chính và ban công đều là Đông Bắc, đón gió mát.
- Đường vào rộng 12m, thuận tiện cho xe ô tô.
- Pháp lý đầy đủ, đảm bảo an toàn cho giao dịch.
Nhà không chỉ là nơi ở mà còn là cơ hội đầu tư sinh lời. Mặt tiền rộng rãi tạo điều kiện lý tưởng cho các hoạt động kinh doanh. Đặc biệt, vị trí nhà ở khu vực sầm uất, thuận lợi cho việc di chuyển và sinh hoạt hàng ngày.
Khu vực xung quanh:
- Gần công viên Hùng Vương, công viên Văn Hóa Miền Tây.
- Bệnh viện Đa Khoa Hòa Hảo - Medic Cần Thơ, Bệnh viện Phụ Sản TP. Cần Thơ.
- Trường học Microtech, lớp dạy nhạc Mendy Nguyễn.
- Siêu thị hàng nhập khẩu 9999, đáp ứng nhu cầu mua sắm.
Liên hệ ngay để biết thêm chi tiết về căn nhà này. Đừng bỏ lỡ cơ hội sở hữu một tài sản giá trị tại Cần Thơ. Liên hệ Minh Quân qua số điện thoại
Hình ảnh
- Diện tích rộng rãi 129,85m2, thiết kế 1 tầng, 1 phòng ngủ.
- Nội thất đầy đủ, sẵn sàng để sử dụng.
- Mặt tiền 5,3m, phù hợp cho việc kinh doanh.
- Hướng cửa chính và ban công đều là Đông Bắc, đón gió mát.
- Đường vào rộng 12m, thuận tiện cho xe ô tô.
- Pháp lý đầy đủ, đảm bảo an toàn cho giao dịch.
Nhà không chỉ là nơi ở mà còn là cơ hội đầu tư sinh lời. Mặt tiền rộng rãi tạo điều kiện lý tưởng cho các hoạt động kinh doanh. Đặc biệt, vị trí nhà ở khu vực sầm uất, thuận lợi cho việc di chuyển và sinh hoạt hàng ngày.
Khu vực xung quanh:
- Gần công viên Hùng Vương, công viên Văn Hóa Miền Tây.
- Bệnh viện Đa Khoa Hòa Hảo - Medic Cần Thơ, Bệnh viện Phụ Sản TP. Cần Thơ.
- Trường học Microtech, lớp dạy nhạc Mendy Nguyễn.
- Siêu thị hàng nhập khẩu 9999, đáp ứng nhu cầu mua sắm.
Liên hệ ngay để biết thêm chi tiết về căn nhà này. Đừng bỏ lỡ cơ hội sở hữu một tài sản giá trị tại Cần Thơ. Liên hệ Minh Quân qua số điện thoại
Đặc điểm nổi bật
Diện tích :
129.85m2
Mặt tiền :
5.3m
Giá :
5,8 tỷ
Số tầng :
1 tầng
Phòng ngủ :
1 phòng
Phòng tắm :
1 phòng
Đường vào :
12m
Có thể bạn quan tâm
-
bán nhà hai mặt tiền đường nguyễn văn cừ (lộ 20), quận ninh kiều,tpct.
16,5 tỷ 92m² Đường Nguyễn Văn Cừ, Phường An Hòa, Ninh Kiều, Cần Thơ
-
Bán Nhà Cấp 4 Mặt tiền đường Võ Văn Kiệt - Sát Ngã 4 giao Nguyễn Văn Cừ & Mậu Thân
9,5 tỷ 121m² Bán Nhà Cấp 4 Mặt tiền đường Võ Văn Kiệt - Sát Ngã 4 giao Nguyễn Văn Cừ & Mậu Thân
-
9 tỷ 500 - HÀNG HIẾM (full ODT) MẶT TIỀN VÕ VĂN KIỆT, kế ngã tư Mậu Thân
9,5 tỷ 120m² 1 1 Võ Văn Kiệt
-
Bán Nhà 1 Trệt 2 Lầu Mặt tiền đường Trần Văn Ơn - Thông Nguyễn Văn Cừ & Nguyễn Đệ
4,2 tỷ 40m² 3 3 Bán Nhà 1 Trệt 2 Lầu Mặt tiền đường Trần Văn Ơn - Thông Nguyễn Văn Cừ & Nguyễn Đệ
-
bán căn nhà góc 2 mặt tiền, đường nguyễn văn cừ, tp cần thơ, giá bán 45 tỷ
45 tỷ 240m² mặt tiền nguyễn văn cừ , an hòa, ninh kiều cần thơ
-
bán nhà mặt phố mậu thân gần lotte 43 tỷ, 118m2, 3pn, 2wc, ninh kiều, cần thơ
43 tỷ 118m² 3 Đường Mậu Thân, Phường An Hòa, Ninh Kiều, Cần Thơ