Tin đăng này đã hết hạn trên sosanhnha.com
Bạn có thể sử dụng công cụ tìm kiếm trên website để tìm những tin đăng mới nhất.
hoặc xem chi tiết tin
Có thể bạn quan tâm
Bán nhà mặt phố
Bán Nhà Mặt Tiền đ. Trần Thị Bốc,kinh Doanh đa Ngành, Gần Chợ Thới Tứ,dt: 5,05 X 27 (nở Hậu: 5,15m)
5,9 tỷ
142m²
Đặc điểm
Mã tin
33486726
Cập nhật
08/09/2025
Loại tin
Bán nhà mặt phố
Mức giá
5,9 tỷ
Diện tích
142m²
Phòng ngủ
1 phòng ngủ
Địa chỉ
Đường Trần Thị Bốc, Xã Thới Tam Thôn, Hóc Môn, Hồ Chí Minh
Bán đất tặng nhà cấp 4, Mặt tiền Đ.Trần Thị Bốc, Thới Tam Thôn, Hóc Môn.
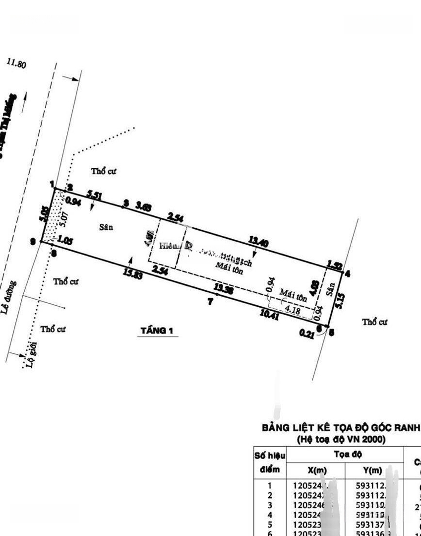
- Diện tích : 5,05 x 27 (nở hậu : 5,15m2 - CN : 142m2 Full thổ cư) - Giá : 5ty900 TL .
- Quy hoạch dân cư hiện hữu xây dựng hoàn công,gần chợ Thới Tứ đầy đủ tiện ích.
- Hướng : Tây Bắc, sổ hồng riêng hỗ trợ vay Bank.
______________________________________
- Nhận Mua Bán - Ký Gửi - Tư Vấn Pháp Lý Bất Động Sản Miễn Phí.
- Tư Vấn Thủ Tục,Hỗ Trợ Vay Vốn Ngân Hàng.
- Hỗ Trợ Khách Check Quy Hoạch + Xây Dựng Trước Khi Giao Dịch Mua Bán.
- Hỗ Trợ Khách Kiểm Tra Pháp Lý Đầy Đủ Đến Khi Công Chứng.
- Cam Kết Không Đăng Tin Ảo, Không Kê Giá. ____________________________
+ Không Tiếp Các Bạn Quảng Cáo,Đăng Tin.
+ Liên Hệ Zalo :
Hình ảnh
- Diện tích : 5,05 x 27 (nở hậu : 5,15m2 - CN : 142m2 Full thổ cư) - Giá : 5ty900 TL .
- Quy hoạch dân cư hiện hữu xây dựng hoàn công,gần chợ Thới Tứ đầy đủ tiện ích.
- Hướng : Tây Bắc, sổ hồng riêng hỗ trợ vay Bank.
______________________________________
- Nhận Mua Bán - Ký Gửi - Tư Vấn Pháp Lý Bất Động Sản Miễn Phí.
- Tư Vấn Thủ Tục,Hỗ Trợ Vay Vốn Ngân Hàng.
- Hỗ Trợ Khách Check Quy Hoạch + Xây Dựng Trước Khi Giao Dịch Mua Bán.
- Hỗ Trợ Khách Kiểm Tra Pháp Lý Đầy Đủ Đến Khi Công Chứng.
- Cam Kết Không Đăng Tin Ảo, Không Kê Giá. ____________________________
+ Không Tiếp Các Bạn Quảng Cáo,Đăng Tin.
+ Liên Hệ Zalo :
Đặc điểm nổi bật
Diện tích :
142m2
Mặt tiền :
5.05m
Giá :
5,9 tỷ
Số tầng :
1 tầng
Phòng ngủ :
1 phòng
Phòng tắm :
1 phòng
Đường vào :
14m
Có thể bạn quan tâm
-
bán nhà mặt tiền nguyễn ảnh thủ, hóc môn, 10.5mx30m, cấp 4 suốt, 2 sổ riêng, giá bán: 24.590 tỷ
24,59 tỷ 315m² 2 Đường Nguyễn Ảnh Thủ, Xã Thới Tam Thôn, Huyện Hóc Môn, Hồ Chí Minh
-
️HIẾM! MẶT TIỀN BÙI THỊ LÙNG- GẦN CHỢ HÓC MÔN – 170M² FULL THỔ – CHỈ 7.5 TỶ (40 TR/ M²) ️
7,5 tỷ 170m² 4 4 Bùi Thị Lùng Thới Tam Thôn Hóc Môn
-
nhà đẹp 4 tầng mặt tiền đường phạm thị giây,dt: 4 x 21,25m (gần trường nguyễn thị nuôi)
7,25 tỷ 86m² 4 Đường Phạm Thị Giây, Xã Thới Tam Thôn, Hóc Môn, Hồ Chí Minh
-
bán căn nhà 1 lầu mt ttt17 cách nguyễn ảnh thủ chỉ 100m
5,6 tỷ 100m² Đường Thới Tam Thôn 17, Xã Thới Tam Thôn, Hóc Môn, Hồ Chí Minh
-
nhà mặt tiền đường 10m ấp đông .thới tam thôn hóc môn .ngay chợ ba bàu 42m2 .chỉ 3.8 tỷ 1 trệt 1 l
3,8 tỷ 42m² 2 Đường Ấp Đông 4, Xã Thới Tam Thôn, Hóc Môn, Hồ Chí Minh
-
Bán Nhà Mặt Tiền Kinh Doanh lô góc Ấp Đông.142m2. ngang 7m. Đường 10m Thông Dòng Tiền 15tr/tháng
6,88 tỷ 142m² 2 1 Đường Ấp Đông