Tin đăng này đã hết hạn trên sosanhnha.com
Bạn có thể sử dụng công cụ tìm kiếm trên website để tìm những tin đăng mới nhất.
hoặc xem chi tiết tin
Có thể bạn quan tâm
Bán nhà mặt phố
Bán Nhà Mặt Tiền đường 72 Thạnh Mỹ Lợi Quận 2 Giá 20 Tỷ
20 tỷ
85m²
Đặc điểm
Mã tin
34156696
Cập nhật
03/12/2025
Loại tin
Bán nhà mặt phố
Mức giá
20 tỷ
Diện tích
85m²
Phòng ngủ
8 phòng ngủ
Địa chỉ
Phố 72, Phường Thạnh Mỹ Lợi, Quận 2, Hồ Chí Minh
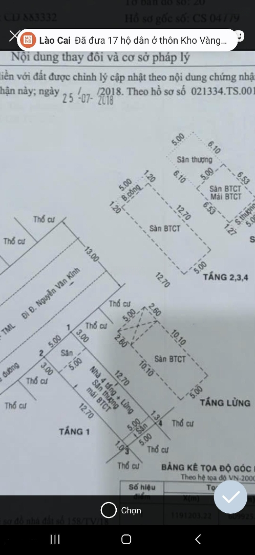
Bán nhà mặt tiền đường 72 phường Thạnh Mỹ Lợi TP. Thủ Đức.
* Căn 1: Nhà đường 72.
- Diện tích đất: 85m2 (5m x 17m),
- Hướng Tây Bắc.
- Gần co. Op Mart Đồng Văn Cống và TTHC TP Thủ Đức cũ.
- Kết cấu: 1 trệt, 5lầu và sân thượng.
- Nhà gồm 1 PK, 1 bếp, 8PN, 7WC.
- Kề bên công viên và hồ điều hòa, cách sông Sài Gòn 400m.
- Giá bán: 20 tỷ thương lượng.
* Hiện tại chúng tôi đang có nhiều sản phẩm đất nền thổ cư, nhà phố, biệt thự vườn, shophouse...
* Quý khách hàng có nhu cầu xin liên hệ Mr Tuấn.
* Hotline:
Hình ảnh
* Căn 1: Nhà đường 72.
- Diện tích đất: 85m2 (5m x 17m),
- Hướng Tây Bắc.
- Gần co. Op Mart Đồng Văn Cống và TTHC TP Thủ Đức cũ.
- Kết cấu: 1 trệt, 5lầu và sân thượng.
- Nhà gồm 1 PK, 1 bếp, 8PN, 7WC.
- Kề bên công viên và hồ điều hòa, cách sông Sài Gòn 400m.
- Giá bán: 20 tỷ thương lượng.
* Hiện tại chúng tôi đang có nhiều sản phẩm đất nền thổ cư, nhà phố, biệt thự vườn, shophouse...
* Quý khách hàng có nhu cầu xin liên hệ Mr Tuấn.
* Hotline:
Đặc điểm nổi bật
Diện tích :
85m2
Mặt tiền :
5m
Giá :
20 tỷ
Số tầng :
6 tầng
Phòng ngủ :
8 phòng
Phòng tắm :
7 phòng
Đường vào :
12m
Có thể bạn quan tâm
-
chỉ 35 tỷ có toà nhà hầm 6 tầng mặt tiền trương văn bang - thạnh mỹ lợi
35 tỷ 100m² 7 Đường Trương Văn Bang, Phường Thạnh Mỹ Lợi, Quận 2, Hồ Chí Minh
-
view sông trực diện! bán nhà góc 2 mt trần quý kiên, thạnh mỹ lợi - 25x40m, xd cao tầng - 150 tỷ tl
150 tỷ 900m² Phố Trần Quý Kiên, Phường Thạnh Mỹ Lợi, Quận 2, Hồ Chí Minh
-
bán nhà mặt tiền đường trương văn bang, 5x20,5, xây dựng hầm trệt 4 lầu sân thượng, giá 34 tỷ 8
34,8 tỷ 102.5m² KDC Thế kỉ 21, Đường Trương Văn Bang, Phường Thạnh Mỹ Lợi, Quận 2, Hồ Chí Minh
-
chỉ hơn 11 tỷ có nhà 170m2 mặt tiền đường ngay lê văn thịnh - q2
11,5 tỷ 170m² 3 Đường Lê Văn Thịnh, Phường Thạnh Mỹ Lợi, Quận 2, Hồ Chí Minh
-
ct hầm 6 tầng. góc 2 mt khu huy hoàng 8,4 x 20m. cn 168.38m2. hđt 50tr. giá 34.92 tỷ. pháp lý sạch
34,92 tỷ 168.38m² Đường Số 56, Phường Thạnh Mỹ Lợi, Quận 2, Hồ Chí Minh
-
nhà ngon khu hành chính thạnh mỹ lợi q2 (cũ) -4 tầng kiên cố - 98m2 (7x14m) - giá chào 17,9 tỷ
17,9 tỷ 98m² 4 Khu dân cư Thạnh Mỹ Lợi, Phường Thạnh Mỹ Lợi, Quận 2, Hồ Chí Minh