BÁN NHÀ MẶT TIỀN MẬU THÂN XUÂN KHÁNH CẦN THƠ NGANG 11,5M
45 tỷ
287m²
Đặc điểm
Mã tin
32884236
Cập nhật
20/06
Loại tin
Bán nhà mặt phố
Mức giá
45 tỷ
Diện tích
287m²
Phòng ngủ
1 phòng ngủ
Vệ sinh
2 vệ sinh
Địa chỉ
Mậu Thân,Phường Xuân Khánh, Quận Ninh Kiều, Cần Thơ
( NẮM CHỦ )
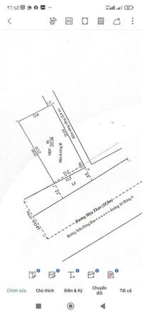
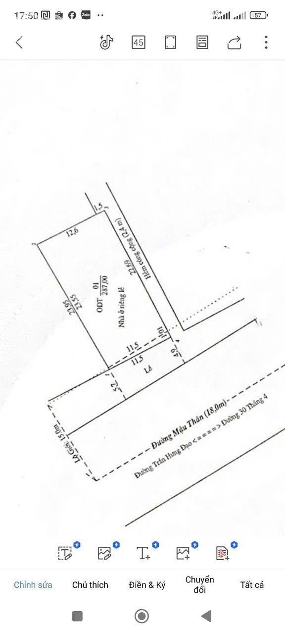
+ BÁN NHÀ MẶT TIỀN ĐƯỜNG MẬU THÂN, P. AN PHÚ, Q. NINH KIỀU, TP. CẦN THƠ.
- Vị trí nhà: Nhà Mặt Tiền Đường Mậu Thân, P. An Phú, Q. Ninh Kiều, Tp. Cần Thơ. ( cách ngã tư 79m )
+ Diện tích: 11,5m x 23.95m = 287m²
+ Pháp Lý: Sổ Hồng hoàn công
+ Hướng: Tây Nam
+ Lộ giới: 20m
+ Tiện ích: thuận tiện kinh doanh buôn bán mọi ngành nghề. Nhà hiện tại đang cho thuê khách mua có thu nhập ổn định hàng tháng.
- Giá Bán: 45 Tỷ ( thương lượng )
Liên hệ: 0916.3569.98 NC
Hình ảnh
+ BÁN NHÀ MẶT TIỀN ĐƯỜNG MẬU THÂN, P. AN PHÚ, Q. NINH KIỀU, TP. CẦN THƠ.
- Vị trí nhà: Nhà Mặt Tiền Đường Mậu Thân, P. An Phú, Q. Ninh Kiều, Tp. Cần Thơ. ( cách ngã tư 79m )
+ Diện tích: 11,5m x 23.95m = 287m²
+ Pháp Lý: Sổ Hồng hoàn công
+ Hướng: Tây Nam
+ Lộ giới: 20m
+ Tiện ích: thuận tiện kinh doanh buôn bán mọi ngành nghề. Nhà hiện tại đang cho thuê khách mua có thu nhập ổn định hàng tháng.
- Giá Bán: 45 Tỷ ( thương lượng )
Liên hệ: 0916.3569.98 NC
Có thể bạn quan tâm
-
mặt tiền 6,5 tỷ nguyễn thị minh khai, đoạn quang trung và chợ xuân khánh, q ninh kiều, tp cần thơ
6,5 tỷ 55m² 2 Đường Nguyễn Thị Minh Khai, Phường Xuân Khánh, Ninh Kiều, Cần Thơ
-
nhà mặt tiền đường 3/2 đối diện cổng a trường đại học cần thơ, thành phố cần thơ 35 tỷ
35 tỷ 165m² 6 Đường 3/2, Phường Xuân Khánh, Ninh Kiều, Cần Thơ
-
nhà một lầu mặt tiền nguyễn văn trỗi 6,9 tỷ trung tâm thành phố cần thơ
6,9 tỷ 69.3m² 3 Đường Nguyễn Văn Trỗi, Phường Xuân Khánh, Ninh Kiều, Cần Thơ
-
Bán nhà MẶT TIỀN, 1T3L đúc, sổ hoàn công, gần cầu Gạch Ngỗng (Mậu Thân)
5,88 tỷ 46m² 4 3 Mặt Tiền
-
Bán nhà MẶT TIỀN, 1T3L đúc, sổ hoàn công. Gần cầu Gạch Ngỗng (Mậu Thân)
5,88 tỷ 46m² 4 3 Mặt Tiền
-
cho thuê hoặc bán nhà 5 tầng mặt tiền đường 30/4 tp cần thơ, full nội thất
17 tỷ 48m² 5 4 mặt tiền đường 30 tháng 4