Tin đăng này đã hết hạn trên sosanhnha.com
Bạn có thể sử dụng công cụ tìm kiếm trên website để tìm những tin đăng mới nhất.
hoặc xem chi tiết tin
Có thể bạn quan tâm
Bán nhà mặt phố
Bán Nhà Mtkd Lý Thái Tổ, Phường 2, Quận 3. Liên Hệ
26,5 tỷ
58m²
Đặc điểm
Mã tin
33246979
Cập nhật
08/08
Loại tin
Bán nhà mặt phố
Mức giá
26,5 tỷ
Diện tích
58m²
Địa chỉ
Đường Lý Thái Tổ, Phường 2, Quận 3, Hồ Chí Minh
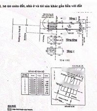
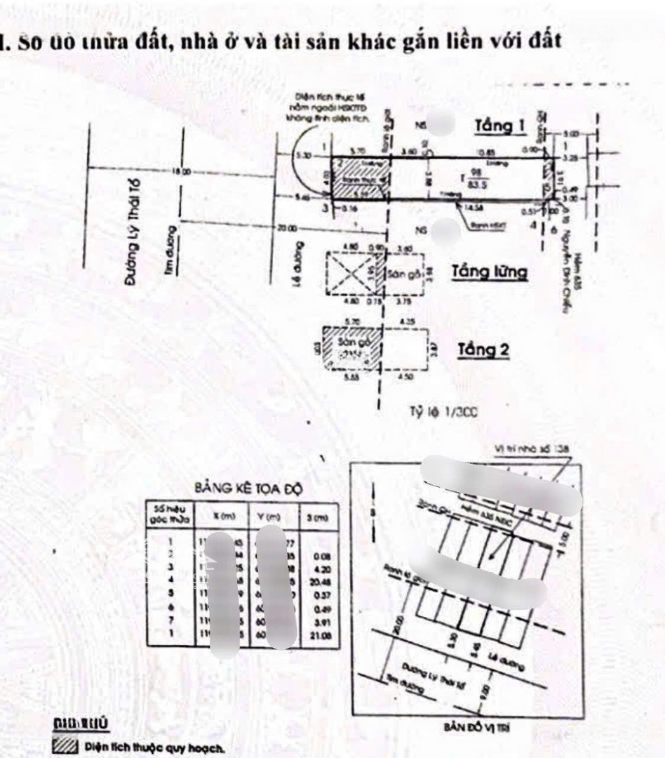
Bán nhà MTKD Lý Thái Tổ, Phường 2, Quận 3
- CN 57.6m2, DT 4x14.5m
- 1 trệt 1 lửng 1 lầu.
- Nhà cấp 4 cũ tiện xây mới. Pháp lý hoàn chỉnh, không tranh chấp
*** Giá: 26.5 Tỷ
- LH: Điệp
Hình ảnh
- CN 57.6m2, DT 4x14.5m
- 1 trệt 1 lửng 1 lầu.
- Nhà cấp 4 cũ tiện xây mới. Pháp lý hoàn chỉnh, không tranh chấp
*** Giá: 26.5 Tỷ
- LH: Điệp
Đặc điểm nổi bật
Diện tích :
58m2
Mặt tiền :
4m
Giá :
26,5 tỷ
Có thể bạn quan tâm
-
bán nhà mặt tiền nguyễn thiện thuật, q 3 - 7x18m - ctxd: hầm + 7 tầng - hđt: 135tr/th - giá 39 tỷ
39 tỷ 118m² Phố Nguyễn Thiện Thuật, Phường 2, Quận 3, Hồ Chí Minh
-
mặt tiền nguyễn thị minh khai, vị trí hoa hậu (14x34m) 470m2. chỉ tiêu 15 tầng, phường 2, quận 3
360 tỷ 370m² Đường Nguyễn Thị Minh Khai, Phường 2, Quận 3, Hồ Chí Minh
-
bán nhà mặt tiền lý thái tổ, quận 3. diện tích: 10m x 19,5m - xd: 1 hầm + 6 tầng - giá: 73 tỷ
73 tỷ 153m² Đường Lý Thái Tổ, Phường 2, Quận 3, Hồ Chí Minh
-
mặt tiền nguyễn thị minh khai, p.2, q.5- dt 10x20m cn 200m2- ctxd hầm 8 tầng giá 90 tỷ thương lượng
90 tỷ 200m² Đường Nguyễn Thị Minh Khai, Phường 2, Quận 3, Hồ Chí Minh
-
(13,5 tỷ tl) nhà 4 tầng mới đẹp, mặt tiền đường nhựa lớn 12m ,nguyễn đình chiểu ( đoạn 2 chiều)
13,5 tỷ 41m² 3 Đường Nguyễn Đình Chiểu, Phường 2, Quận 3, Hồ Chí Minh
-
nhà mặt tiền kinh doanh đường nguyễn đình chiểu, quận 3, ngang trên 7m, 3 tầng, giá 17 tỷ
17 tỷ 22m² 3 Đường Nguyễn Đình Chiểu, Phường 2, Quận 3, Hồ Chí Minh