BÁN NHÀ XƯỞNG – KCN TRẢNG BÀNG, TÂY NINH
Liên hệ
Đặc điểm
Mã tin
33671874
Cập nhật
04/10
Loại tin
Bán kho, nhà xưởng
Mức giá
Liên hệ
Địa chỉ
Tân Uyên, Bình Dương,Thị trấn Trảng Bàng, Huyện Trảng Bàng, Tây Ninh
BÁN NHÀ XƯỞNG – KCN TRẢNG BÀNG, TÂY NINH
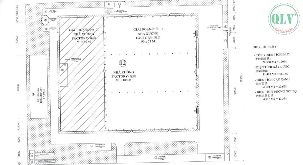
Diện tích khuôn viên: 20.308m²
Diện tích xây dựng: 8.312m²
Thông tin chi tiết:
Nhà xưởng: 7.952m²
Văn phòng: 360m²
Hạn sử dụng đất: đến năm 2058
Năm hoàn thành: 2016
Giá bán: 89 tỷ đồng
Tiện ích & hạ tầng:
Nhà xưởng xây dựng kiên cố, thiết kế hiện đại
Hạ tầng hoàn chỉnh trong KCN Trảng Bàng
Đường container ra vào thuận tiện
Phù hợp sản xuất, làm kho bãi hoặc nhiều ngành nghề khác
Liên hệ: CTY TNHH MTV QUÝ LỘC VƯỢNG
Hotline: 0931 769 444
Website: https://nhaxuongchinhchu.vn
Hình ảnh
Diện tích khuôn viên: 20.308m²
Diện tích xây dựng: 8.312m²
Thông tin chi tiết:
Nhà xưởng: 7.952m²
Văn phòng: 360m²
Hạn sử dụng đất: đến năm 2058
Năm hoàn thành: 2016
Giá bán: 89 tỷ đồng
Tiện ích & hạ tầng:
Nhà xưởng xây dựng kiên cố, thiết kế hiện đại
Hạ tầng hoàn chỉnh trong KCN Trảng Bàng
Đường container ra vào thuận tiện
Phù hợp sản xuất, làm kho bãi hoặc nhiều ngành nghề khác
Liên hệ: CTY TNHH MTV QUÝ LỘC VƯỢNG
Hotline: 0931 769 444
Website: https://nhaxuongchinhchu.vn
Có thể bạn quan tâm
-
bán đất trong kcn thành thành công trảng bàng tây ninh, dt đất 2,77ha, giá 70 tỷ
70 tỷ 27727m² Thị trấn Trảng Bàng, Trảng Bàng, Tây Ninh
-
bán 10.000m kho xưởng khu công nghiệp trảng bàng
73 tỷ 10000m² Đường Quốc Lộ 22, Thị trấn Trảng Bàng, Trảng Bàng, Tây Ninh
-
Bán kho xưởng 35,000m2 Trảng Bàng, Tây Ninh
Liên hệ 35000m² Trảng Bàng, Tây Ninh
-
bán xưởng 1182.6 m2 ngay đường huỳnh thị hương thị trấn trảng bàng tây ninh, 25 tỷ tl
25 tỷ 1182.6m² Đường Huỳnh Thị Hương, Thị trấn Trảng Bàng, Trảng Bàng, Tây Ninh
-
Bán nhà máy 19000m2 tdt hơn 3.8ha KCN Trảng Bàng Tây Ninh
153 tỷ 38300m² Trảng Bàng
-
Bán nhà xưởng diện tích 8.033 m2 trong KCN Tây Ninh giá 4,2 triệu USD
Liên hệ Phường Mỹ Phước, Đường 13, Bến Cát, Bình Dương