Tin đăng này đã hết hạn trên sosanhnha.com Bạn có thể sử dụng công cụ tìm kiếm trên website để tìm những tin đăng mới nhất. hoặc xem chi tiết tin
Có thể bạn quan tâm Bán căn hộ chung cư
55 Triệu/m2 Căn 2 Phòng Ngủ. đầu Tư Căn Này ở Imperia The Parkland Mà Không Lãi Sau Này Em Mua Lại!
55 triệu/m2 căn 2 phòng ngủ. đầu tư căn này ở imperia the parkland mà không lãi sau này em mua lại!
Liên hệ 57m²
2 phòng ngủ
Huyện Văn Giang, Hưng Yên
24 phút trước
Độc Quyền Quỹ Hàng đẹp Căn 1PN 2PN 3PN Biển Hồ Tạo Sóng đơn Giá Từ 64tr/m2 Tại Masteri Grand Coast
Độc quyền quỹ hàng đẹp căn 1PN 2PN 3PN Biển Hồ Tạo Sóng đơn giá từ 64tr/m2 tại Masteri Grand Coast
3 tỷ 45m²
1 phòng ngủ 1 vệ sinh
Huyện Văn Giang, Hưng Yên
41 phút trước
Siêu Phẩm 3pn2vs View Hồ Aqua Giá Tốt Nhất Thị Trường
siêu phẩm 3pn2vs view hồ aqua giá tốt nhất thị trường
7,2 tỷ 100m²
3 phòng ngủ
Huyện Văn Giang, Hưng Yên
1 giờ trước
Bán Căn 2 Ngủ 2vs View Biệt Thự đảo Toà Skyforest Ecopark Giá 5.350 Tỷ Bao Phí
bán căn 2 ngủ 2vs view biệt thự đảo toà skyforest ecopark giá 5.350 tỷ bao phí
5,35 tỷ 63m²
2 phòng ngủ
Huyện Văn Giang, Hưng Yên
1 giờ trước
Bán Căn 3 Ngủ Toà Skyforest View đảo Giá Bán 7.85 Tỷ Bao Phí Giá Tốt Nhất Thị Trường
bán căn 3 ngủ toà skyforest view đảo giá bán 7.85 tỷ bao phí giá tốt nhất thị trường
7,85 tỷ 91m²
3 phòng ngủ
Huyện Văn Giang, Hưng Yên
1 giờ trước

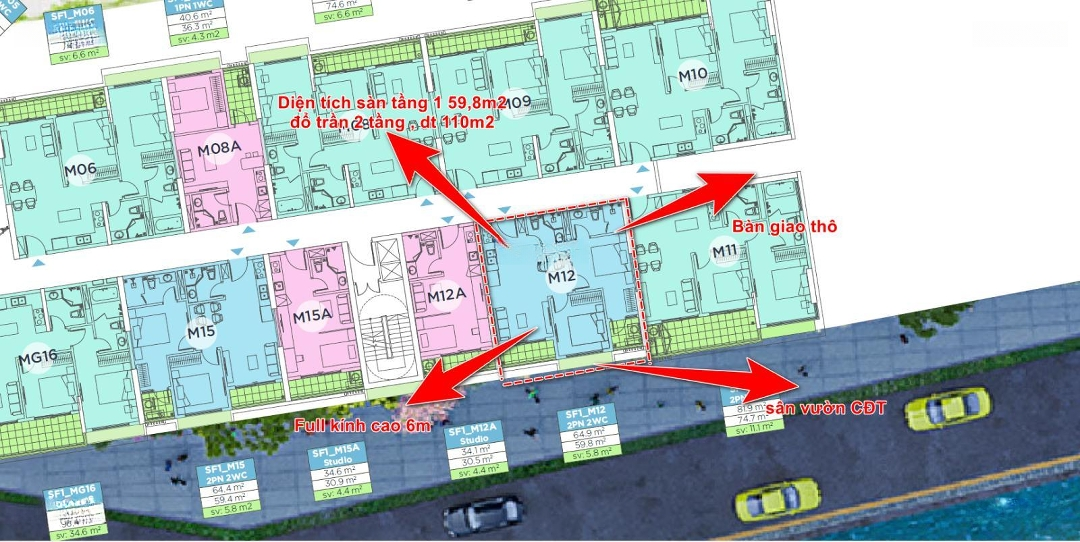
Bán Nhanh Căn Mezza 2 Tầng đặc Biệt Tại Ecopark, Giá Tốt Nhất Thị Trường

Liên hệ 110m²
Đặc điểm
Mã tin 34492063
Cập nhật 23/01
Loại tin Bán căn hộ chung cư
Mức giá Liên hệ
Diện tích 110m²
Địa chỉ Sky Forest Residences Ecopark, Xã Xuân Quan, Huyện Văn Giang, Hưng Yên
Thông tin chi tiết
- Em cảm ơn anh chị đã đọc tin của em Quỳnh, em Quỳnh chuyên viên bất động sản phía Đông Hà Nội, để được hỗ trợ thông tin nhanh nhất, anh chị vui lòng liên hệ số điện thoại
- Chủ nhà thiện chí bán căn Mezza làm được 2 tầng tại tòa SF1- Ecopark
+ Bàn giao thô nguyên bản chủ đầu tư, phù hợp với các bác thích thiết kế không gian theo đúng ý mình
+ Trần cao 6m, full kính
+ Tầng 1 diện tích 59,4m2 , đổ trần tăng diện tích sử dụng lên tới 110m2
+ Chia không gian sinh hoạt chung và phòn ngủ riêng biệt
+ Nhà hướng Nam, quanh năm mát mẻ và ấm áp
- Đặc biệt, mức giá chủ nhà thiện chí bán chỉ bằng mua căn chung cư 2 ngủ
- Anh chị cần xem nhà thì liên hệ em ạ
Đặc điểm nổi bật
Diện tích :
110m2
Giá :
Giá thỏa thuận
Hình ảnh
Dịch vụ và tiện ích quanh đây:
Giáo dục Giáo dục Mua sắm Mua sắm Ngân hàng Ngân hàng Y tế Y tế Công viên Công viên
Cửa Hàng Văn Phòng Phẩm 4.1 km 3 Ngõ 107 Thúy Lĩnh, Lĩnh Nam, Hoàng Mai, Hà Nội
Đường Z 4.8 km Trâu Quỳ, Gia Lâm, Hà Nội
Công Ty TNHH Cơ Khí Khuôn Mẫu - Nhựa Hiền Linh 5.1 km 11, Ngõ 615 Đ. Lĩnh Nam, Lĩnh Nam, Hoàng Mai, Hà Nội
Shop Mỹ Phẩm Luân Anh 7.7 km 79 Đ. Hoàng Mai, Hoàng Văn Thụ, Hoàng Mai, Hà Nội
Quầy thuốc Thanh Hoa 8.2 km Yên Mỹ, Gia Lâm, Hà Nội
Công ty cổ phần dược thú y TECHVET 8.2 km 17 Ng. 14 P. Sài Đồng, TT. Sài Đồng, Long Biên, Hà Nội 11814
Phòng khám chuyên khoa Mắt Kỹ thuật cao 8.4 km 55 P. Sài Đồng, TT. Sài Đồng, Long Biên, Hà Nội
Nhà Thuốc Đức Tâm 8.7 km 275 Phố Tân Mai, Tân Mai, Hoàng Mai, Hà Nội 100000
Salon Hải Chi 8.7 km 664B H6, Phố Tân Mai, Tân Mai, Hoàng Mai, Hà Nội
Phòng Khám Răng - Bs Lý Thị Hậu 8.7 km 101 P. Quỳnh Lôi, Quỳnh Mai, Hai Bà Trưng, Hà Nội
Công Ty Cổ Phần Dược Thú Y Đại Nam 6.8 km 26 Đ. Mỹ Ả, Đông Mỹ, Thanh Trì, Hà Nội
Công Ty Cổ Phần Thiết Bị Kỹ Thuật Labvietchem 8.2 km Số 219 Nguyễn Khoái, Thanh Lương, Hoàn Kiếm, Hà Nội
Hena Beauty Center 8.8 km P. Lương Khánh Thiện, Tân Mai, Hai Bà Trưng, Hà Nội
Mỹ Phẩm Giang Boutique 9 km 58 Nguyễn Đức Cảnh, Tân Mai, Hoàng Mai, Hà Nội
Công ty Cổ phần Cơ khí công trình Thép Việt 9.2 km tổ 85 Ng. 9 P. Minh Khai, Trương Định, Hai Bà Trưng, Hà Nội
Công Ty Tnhh Dược Phẩm Polipharm Việt Nam 9.3 km 637 Trương Định, Giáp Bát, Hoàng Mai, Hà Nội
Nhà Thuốc Tư Nhân Đa Phúc 8.4 km 144 Đ. Đê Trần Khát Chân, Thanh Lương, Hai Bà Trưng, Hà Nội
Shop Na Du 8.7 km 686 Ngách 147/2 Phố Tân Mai, Tân Mai, Hoàng Mai, Hà Nội
Cửa Hàng Mỹ Phẩm Cường Hương 8.9 km 165, Tân Mai, Quận Hoàng Mai, Thành Phố Hà Nội, Tân Mai, Hoàng Mai, Hà Nội 100000
Cửa Hàng Đồ Gỗ Cao Cấp Quang Vinh 9.2 km 58 P. Minh Khai, Trương Định, Hai Bà Trưng, Hà Nội
Thuong Quán 9.7 km 2 P. Trần Thánh Tông, Phạm Đình Hổ, Hai Bà Trưng, Hà Nội
Công Ty Cổ Phần Dịch Vụ Thương Mại Xây Dựng Thc 68 8.9 km 2, Ngách 164, 2 P. Hồng Mai, Hai Bà Trưng, Hà Nội
Nha Khoa Quốc Tế Bạch Mai 9.2 km P. Lê Quý Đôn, Bạch Đằng, Hai Bà Trưng, Hà Nội
Có thể bạn quan tâm
Được đăng bởi:
Nguyễn Hoa Quỳnh
Nguyễn Hoa Quỳnh