Tin đăng này đã hết hạn trên sosanhnha.com
Bạn có thể sử dụng công cụ tìm kiếm trên website để tìm những tin đăng mới nhất.
hoặc xem chi tiết tin
Có thể bạn quan tâm
Bán nhà mặt phố
Bán Quán Cf Kingcoi Góc 2mt Số 468 Lê Văn Việt, Tăng Nhơn Phú A, Q9. Dt 1400,3m 200 Tỷ
200 tỷ
1400.3m²
Đặc điểm
Mã tin
34108394
Cập nhật
27/11/2025
Loại tin
Bán nhà mặt phố
Mức giá
200 tỷ
Diện tích
1400.3m²
Địa chỉ
Đường Lê Văn Việt, Phường Tăng Nhơn Phú A, Quận 9, Hồ Chí Minh
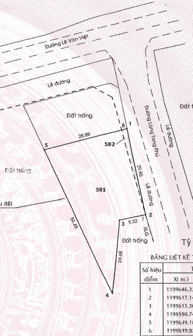
Bán quán cà phê King Coi. Mặt tiền 468 Lê Văn Việt.
Có 30m mặt tiền LÊ VĂN VIỆT, 50m mặt tiền Làng Tăng Phú.
Diện tích 1400,3m đất thổ cư.
Giá bán 200 tỷ.
Hiện đang làm quán cf King Coi. Đường 40m thuận tiện cho việc xây cao ốc văn phòng, trụ sở tập đoàn, công ty lớn.
Lh a Vinh .
Xin cảm ơn quý khách.
Hình ảnh
Có 30m mặt tiền LÊ VĂN VIỆT, 50m mặt tiền Làng Tăng Phú.
Diện tích 1400,3m đất thổ cư.
Giá bán 200 tỷ.
Hiện đang làm quán cf King Coi. Đường 40m thuận tiện cho việc xây cao ốc văn phòng, trụ sở tập đoàn, công ty lớn.
Lh a Vinh .
Xin cảm ơn quý khách.
Đặc điểm nổi bật
Diện tích :
1400.3m2
Giá :
200 tỷ
Có thể bạn quan tâm
-
hot! nhà mtkd lê văn việt ~ 10m*26m = 261m2. 2mt trước & sau. ctxd : 1 hầm 7 lầu. bán: 160 triệu/m2
42 tỷ 261m² Đường Lê Văn Việt, Phường Tăng Nhơn Phú A, Quận 9, Hồ Chí Minh
-
hiếm!! nhà 3 tầng mặt tiền đg 30m lê văn việt 63m( 4.4x 14), chỉ 9,99 tỷ, tăng nhơn phú, q9 cũ
9,99 tỷ 63m² 3 Đường Lê Văn Việt, Phường Tăng Nhơn Phú A, Quận 9, Hồ Chí Minh
-
bán nhà mặt tiền 597 lê văn việt, quận 9 ngang 14m nhận diện thương hiệu có dòng tiền kd
58 tỷ 308m² 597, Đường Lê Văn Việt, Phường Tăng Nhơn Phú A, Quận 9, Hồ Chí Minh
-
bán nhà mtkd đường làng tăng phú giao lã xuân oai lê văn việt, p.tăng nhơn phú q9
15 tỷ 137m² 2 Đường Làng Tăng Phú, Phường Tăng Nhơn Phú A, Quận 9, Hồ Chí Minh
-
gấp bán - giảm 500 triệu
bán nhà 4 tầng - mặt tiền đường 447b - tnp a - q9
8,5 tỷ 72m² 4 Đường 447B, Phường Tăng Nhơn Phú A, Quận 9, Hồ Chí Minh
-
bán căn hộ dịch vụ mới xây đường 160 p. tăng nhơn phú a, quận 9, full nội thất, kinh doanh ngay
20 tỷ 138m² Đường 160, Phường Tăng Nhơn Phú A, Quận 9, Hồ Chí Minh