Tin đăng này đã hết hạn trên sosanhnha.com
Bạn có thể sử dụng công cụ tìm kiếm trên website để tìm những tin đăng mới nhất.
hoặc xem chi tiết tin
Có thể bạn quan tâm
Bán đất
Cần Bán 1 Phần đất Mặt Tiền đường Nguyễn Duy Trinh , Quận 9
361,08 tỷ
5555m²
Đặc điểm
Mã tin
34269498
Cập nhật
19/12/2025
Loại tin
Bán đất
Mức giá
361,08 tỷ
Diện tích
5555m²
Địa chỉ
Đường Nguyễn Duy Trinh, Phường Phú Hữu, Quận 9, Hồ Chí Minh
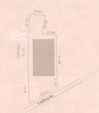
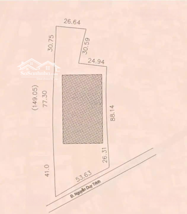
Tôi chính chủ cần bán 1 phần đất Mặt tiền đường Nguyễn Duy Trinh , quận 9 (cũ), TPHCM, đất có diện tích 5.555m2 thuộc phường Phú Hữu, đã lên đất ở
Bề ngang tiếp giáp với mặt tiền đường 54m
Đất thuận tiện làm Dự án khu dân cư, Chung cư, Cao ốc Văn phòng, v.
Khu vực rất sầm uất, Miếng đất nằm giữa 3 trục đường : Nguyễn Duy Trinh, Cao tốc Long Thành - Dầu giây, Võ Chí Công
Giá bán : 65tr/1m2
Công chứng bán và giao đất trong ngày
KHÔNG TIẾP MÔI GIỚI
Liên hệ:
Hình ảnh
Bề ngang tiếp giáp với mặt tiền đường 54m
Đất thuận tiện làm Dự án khu dân cư, Chung cư, Cao ốc Văn phòng, v.
Khu vực rất sầm uất, Miếng đất nằm giữa 3 trục đường : Nguyễn Duy Trinh, Cao tốc Long Thành - Dầu giây, Võ Chí Công
Giá bán : 65tr/1m2
Công chứng bán và giao đất trong ngày
KHÔNG TIẾP MÔI GIỚI
Liên hệ:
Đặc điểm nổi bật
Diện tích :
5555m2
Giá :
361,08 tỷ
Có thể bạn quan tâm
-
100m2 đất mặt tiền bưng ông thoàn ngang 5,8m giá nhỉnh 7 tỷ
7 tỷ 100m² Phường Phú Hữu, Quận 9, Hồ Chí Minh
-
bán lô đất hẻm nhựa 8m dự án việt phát ngay cầu làng khu nhà lầu dân trí cao
4,95 tỷ 60m² Đường Bưng Ông Thoàn, Phường Phú Hữu, Quận 9, Hồ Chí Minh
-
đất 100m (5.7x17.5) 1/ bưng ông thoàn , phú hữu , q9 (6ty690)
6,69 tỷ 100m² Đường Bưng Ông Thoàn, Phường Phú Hữu, Quận 9, Hồ Chí Minh
-
146m2 5x29m đường 10m sổ hồng riêng kẹt bán trước tết giá không có lô thứ 2 so sánh
4,3 tỷ 146m² Đường Đặng Thanh Hiếu, Phường Phú Hữu, Quận 9, Hồ Chí Minh
-
lô góc tư dự án kiến á, q9, trục chính thông đường liên phường, cách liên phường 100m, dt 16x20
27,5 tỷ 312m² Đường Liên Phường, Phường Phú Hữu, Quận 9, Hồ Chí Minh
-
bán đất phân lô đồng bộ - trục nguyễn duy trinh - gò cát - cc ricca gò cát - phú hữu - ngang 5,6m
6,2 tỷ 90m² Phường Phú Hữu, Quận 9, Hồ Chí Minh