Tin đăng này đã hết hạn trên sosanhnha.com
Bạn có thể sử dụng công cụ tìm kiếm trên website để tìm những tin đăng mới nhất.
hoặc xem chi tiết tin
Có thể bạn quan tâm
Bán đất
Cần Bán Dự án Khu Dân Cư 9.5ha - Nhơn Trạch: đại Phước 1.300 Tỷ Dự án Kdc Kết Hợp Noxh
1.300 tỷ
95000m²
Đặc điểm
Mã tin
32828117
Cập nhật
12/06
Loại tin
Bán đất
Dự án
Đại Phước Center City
Mức giá
1.300 tỷ
Diện tích
95000m²
Địa chỉ
Đại Phước Center City, Lý Thái Tổ, Đại Phước, Nhơn Trạch, Đồng Nai
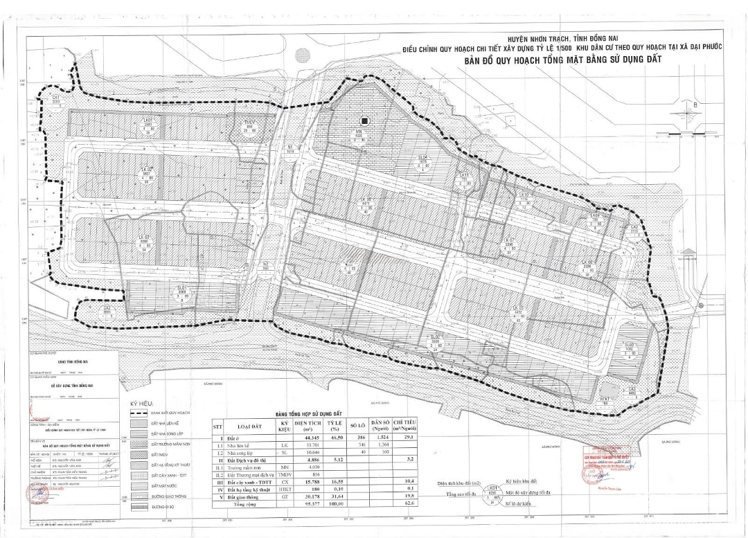
Cần bán dự án khu dân cư 9.5ha - Nhơn Trạch:
- Vị trí: Đại Phước, Nhơn Trạch.
- Diện tích: 9,5ha.
- Pháp lý: CTDT, có 1/500.
Tiện ích:
+ Gần Eco Saigon Village và sát quỹ đất của Phú Mỹ Hưng.
+ Gần trường tiểu học và chợ Đại Phước.
+ Khu dân cư hiện hữu, đầy đủ tiện ích.
+ Gần khu công nghiệp Nhơn Trạch.
(Bako).
Hình ảnh
- Vị trí: Đại Phước, Nhơn Trạch.
- Diện tích: 9,5ha.
- Pháp lý: CTDT, có 1/500.
Tiện ích:
+ Gần Eco Saigon Village và sát quỹ đất của Phú Mỹ Hưng.
+ Gần trường tiểu học và chợ Đại Phước.
+ Khu dân cư hiện hữu, đầy đủ tiện ích.
+ Gần khu công nghiệp Nhơn Trạch.
(Bako).
Đặc điểm nổi bật
Diện tích :
95000m2
Giá :
1300 tỷ
Có thể bạn quan tâm
-
hạ giá bán rẻ đất thổ, nhà vườn đại phước nhơn trạch sát tp.hcm,giá rẻ, mt đường, shr chính chủ.gọi
4,5 tỷ 246m² Đường Lý Thái Tổ, Xã Đại Phước, Nhơn Trạch, Đồng Nai
-
cần bán lô gốc tđc. đp - đối diện trường học sát chợ / shr - xây dựng tự do
6,8 tỷ 136m² Đường D3, Xã Đại Phước, Nhơn Trạch, Đồng Nai
-
cắt lỗ 300tr lô 140m2 - gần công viên ngay chợ đại phước - ra phà cát lái chỉ 3km, shr
Liên hệ 140m² Xã Đại Phước, Nhơn Trạch, Đồng Nai
-
tôi cần tiền tái đầu tư bán lô 100m2 chỉ giá 2 tỷ, phía sau chợ đại phước, dân cư đông đúc, sỗ sẵn.
2 tỷ 100m² Đường Lý Thái Tổ, Xã Đại Phước, Nhơn Trạch, Đồng Nai
-
hàng cực hiếm tại xã đại phước 3 mặt tiền đường hiện hữu full thổ cư giá cực tốt:
2,3 tỷ 100m² Xã Đại Phước, Nhơn Trạch, Đồng Nai
-
bán 5 lô đất sào xã đại phước,nhơn trạch. tổng diện tích 5.392m².
Liên hệ 5392m² Đường Võ Thị Sáu, Xã Đại Phước, Nhơn Trạch, Đồng Nai