Tin đăng này đã hết hạn trên sosanhnha.com
Bạn có thể sử dụng công cụ tìm kiếm trên website để tìm những tin đăng mới nhất.
hoặc xem chi tiết tin
Có thể bạn quan tâm
Bán đất
Cần Bán Hàng Hiếm đường đồng Cây Viết Chỉ 5,190 Tỷ
5,19 tỷ
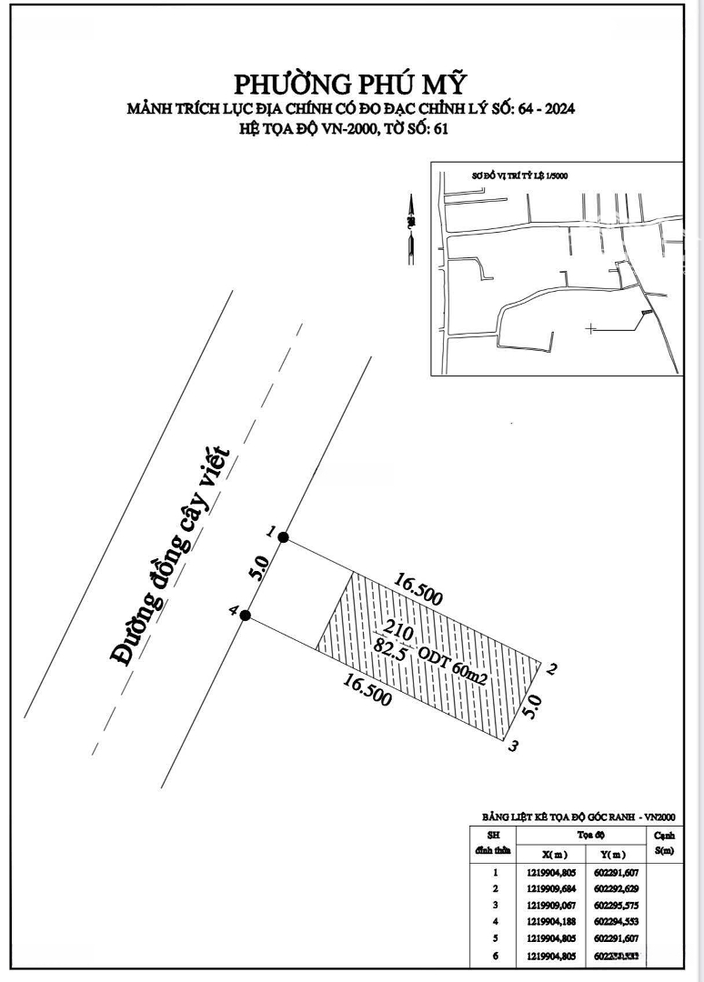
82.5m²
Đặc điểm
Mã tin
33876303
Cập nhật
28/10
Loại tin
Bán đất
Mức giá
5,19 tỷ
Diện tích
82.5m²
Địa chỉ
Đường Đồng Cây Viết, Phường Phú Mỹ, Thủ Dầu Một, Bình Dương
Đất mặt tiền Đồng Cây Viết Phú Mỹ trục chính kinh doanh đa nghề...
Giá đầu tư: 5.19 tỷ (20 - 30 ngày ký).
- DT: 5mx16.5m = 82.5m2, TC = 60m2.
- Hướng: Tây Bắc.
- Vị trí: Gân vòng xoay Đồng Cây Viết, vị trí đẹp nhất của con đường.
- Đất không quy hoạch, không mồ mã...
LH:
Hình ảnh
Giá đầu tư: 5.19 tỷ (20 - 30 ngày ký).
- DT: 5mx16.5m = 82.5m2, TC = 60m2.
- Hướng: Tây Bắc.
- Vị trí: Gân vòng xoay Đồng Cây Viết, vị trí đẹp nhất của con đường.
- Đất không quy hoạch, không mồ mã...
LH:
Đặc điểm nổi bật
Diện tích :
82.5m2
Mặt tiền :
5m
Giá :
5,19 tỷ
Đường vào :
10m
Có thể bạn quan tâm
-
chính chủ bán đất đường dx20 phú mỹ, 5x30 thổ cư 60m sát bên chợ phú mỹ, đường nhựa thông giá 3ty3
3,3 tỷ 150m² Đường DX 020, Phường Phú Mỹ, Thủ Dầu Một, Bình Dương
-
bán đất mặt tiền đồng cây viết phú mỹ 224m2 qua đường nhựa dt742 100m sổ sẵn có sẵn thổ cư 60m2
Liên hệ 82.5m² Đường Đồng Cây Viết, Phường Phú Mỹ, Thủ Dầu Một, Bình Dương
-
chủ giảm sâu cắt lỗ tđc phú mỹ giá 1.65tỷ 96m2 shr cách tthc chỉ 2p di chuyển, dân cư đông đúc
1,65 tỷ 96m² Đường D2, Phường Phú Mỹ, Thủ Dầu Một, Bình Dương
-
bán đất mặt tiền kinh doanh ngay chợ tạm mặt tiền dx 26 phú mỹ thủ dầu một bình dương.
nay hồ chí
4,88 tỷ 150m² Đường DX 026, Phường Phú Mỹ, Thủ Dầu Một, Bình Dương
-
đất mt đx-006 - hcm, 162m2 gần full thổ cư. rẻ hơn thị trường 200tr, vừa ở vừa kd tốt.
3,65 tỷ 162m² Đường DX 006, Phường Phú Mỹ, Thủ Dầu Một, Bình Dương
-
bán đất phú mỹ mặt tiền gần chợ phú mỹ
chủ cần ra gấp lô gốc mặt tiền dx 013 ở phú mỹ
dt :309m2 odt
6,05 tỷ 309m² Đường DX 013, Phường Phú Mỹ, Thủ Dầu Một, Bình Dương