Tin đăng này đã hết hạn trên sosanhnha.com
Bạn có thể sử dụng công cụ tìm kiếm trên website để tìm những tin đăng mới nhất.
hoặc xem chi tiết tin
Có thể bạn quan tâm
Bán đất
Cần Bán Lô 85m2 Full Thổ Cư, Sổ Vuông, Giá Chỉ 630tr. Lh:0868536136
630 triệu
85m²
Đặc điểm
Mã tin
33746240
Cập nhật
13/10
Loại tin
Bán đất
Mức giá
630 triệu
Diện tích
85m²
Địa chỉ
Xã Tu Vũ, Thanh Thủy, Phú Thọ
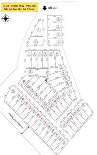
Mình cần bán lô 85m2 full thổ cư
+ tu vũ - thanh thuỷ - phú thọ
+ mặt tiền 5m, vuông vắn
+ sát khu dân cư đông đúc và các tiện ích địa phương
+ cách cầu đồng quang 8km
+ cách đường tỉnh 317 chỉ 80m
+ đường rộng thông thoáng, 2 oto tránh nhau
+ giá 630tr
+ hỗ trợ ngân hàng 50-70%
Quý anh chị đầu tư quan tâm liên hệ em Luyện :
Hình ảnh
+ tu vũ - thanh thuỷ - phú thọ
+ mặt tiền 5m, vuông vắn
+ sát khu dân cư đông đúc và các tiện ích địa phương
+ cách cầu đồng quang 8km
+ cách đường tỉnh 317 chỉ 80m
+ đường rộng thông thoáng, 2 oto tránh nhau
+ giá 630tr
+ hỗ trợ ngân hàng 50-70%
Quý anh chị đầu tư quan tâm liên hệ em Luyện :
Đặc điểm nổi bật
Diện tích :
85m2
Mặt tiền :
5m
Giá :
630 triệu
Đường vào :
5m
Có thể bạn quan tâm
-
bán đất 100m2 tại tỉnh lộ 317, tu vũ, thanh thủy, phú thọ, giá anh thủy, phú thọ, giá 700 triệu vnd
700 triệu 100m² Đường Tỉnh Lộ 317, Xã Tu Vũ, Thanh Thủy, Phú Thọ
-
chính chủ bán 73m2 đất full thổ cư lô góc 3 mặt tiền. đường ô tô tránh nhau, view hồ. đt:0941765688
790 triệu 73m² Tu Vũ, Thanh Thủy, Phú Thọ
-
chỉ 680 triệu có ngay lô đất nền sẵn sổ đỏ gần biệt thự vườn vua resort, đầu tư sinh lời nhanh
680 triệu 108.8m² Đường ĐT 317B, Xã Tu Vũ, Thanh Thủy, Phú Thọ
-
em sẵn vài lốc f0 vừa ra lò tại thanh thuỷ phú thọ tài chính từ 500tr (lốc 33 lô bám hồ, lốc 48
600 triệu 85m² Xã Tu Vũ, Thanh Thủy, Phú Thọ
-
hot hot... bán đất mặt đường hồ chí minh xã tu vũ giá 15tr/m2
4,67 tỷ 311m² Xã Tu Vũ, Thanh Thủy, Phú Thọ
-
400tr sở hữu ngay đất full thổ cư mặt đường tỉnh lộ, trung tâm huyện thanh thủy
Liên hệ 80m² Đường Tỉnh Lộ 317, Xã Tu Vũ, Thanh Thủy, Phú Thọ