Chỉ 470tr, Sở Hữu Ngay 109.7m2, đất Diên Tân Cũ, Sát Hl62, Hợp Vk Ck Trẻ Xây Nhà
470 triệu
109m²
Đặc điểm
Mã tin
34586245
Cập nhật
1 giờ trước
Loại tin
Bán đất
Mức giá
470 triệu
Diện tích
109m²
Địa chỉ
Xã Diên Tân, Huyện Diên Khánh, Khánh Hòa
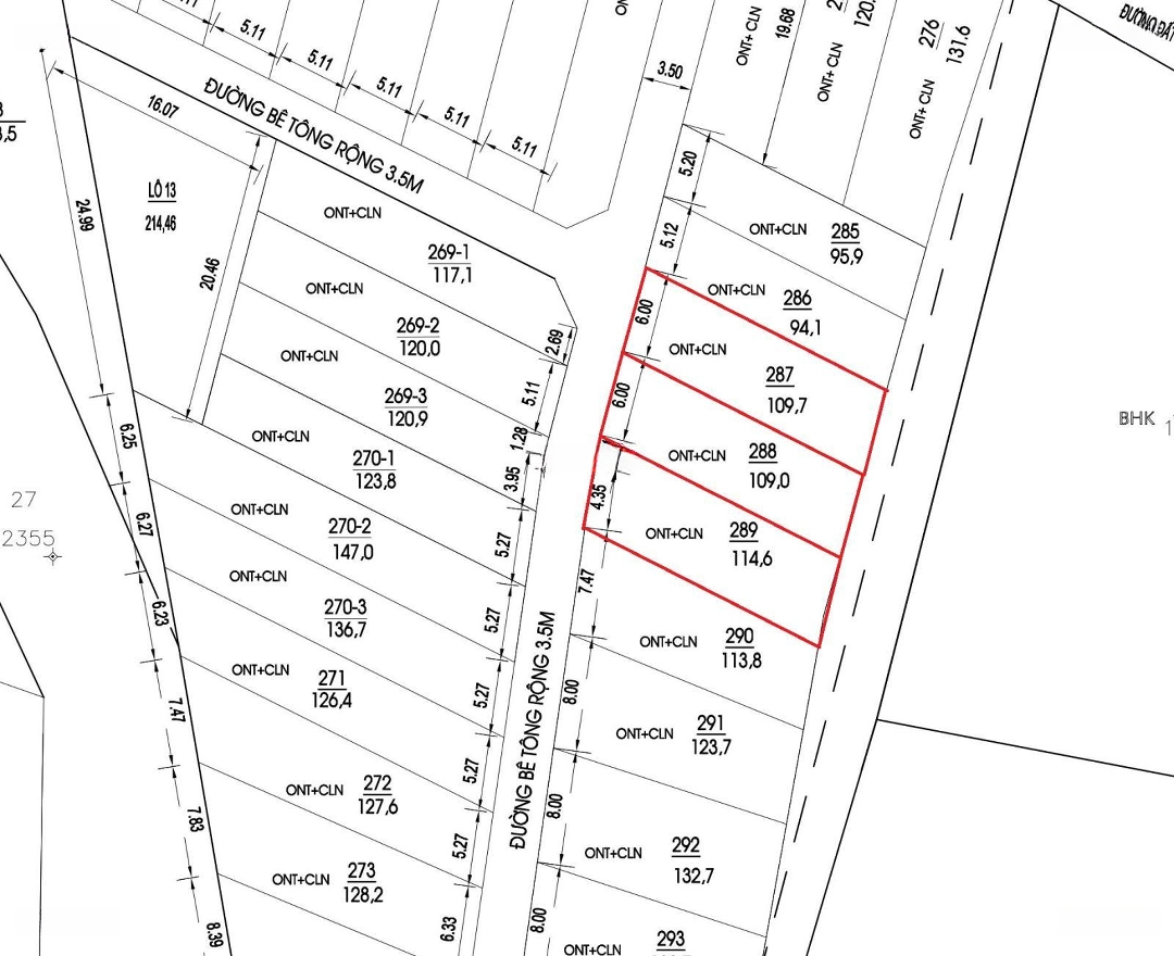
Nhà mình ra nhanh lô liền kề, Diên Tân cũ, sát HL 62, giá rẻ, hợp cho ACE nhà mình tài chính thấp xây nhà.
- Lô 287 - DT: 109,7m2 - Giá: 470tr.
- Thổ: 60m2.
- Ngay đường HL 62, hiện trạng 12m (đường quy hoạch 30m).
Tel:
Hình ảnh
- Lô 287 - DT: 109,7m2 - Giá: 470tr.
- Thổ: 60m2.
- Ngay đường HL 62, hiện trạng 12m (đường quy hoạch 30m).
Tel:
Đặc điểm nổi bật
Diện tích :
109m2
Mặt tiền :
6m
Giá :
470 triệu
Đường vào :
3.5m
Có thể bạn quan tâm
-
bán đất đẹp, nhiều tiện ích tại xã diên tân, huyện diên khánh, khánh hòa, 1,15 tỷ, 1600 m2
1,15 tỷ 1600m² Xã Diên Tân, Huyện Diên Khánh, Khánh Hòa
-
Bán đất mặt tiền Hương Lộ 62 - Diên Tân gần công ty nước khoáng Đảnh Thạnh
1,74 tỷ 269m² Hương Lộ 62, Diên Tân, Diên Khánh, Khánh Hoà
-
cần bán đất 2.196m2, ngang 50m tại xã diên tân, gần hương lộ 62, khánh hoà
850 triệu 2196m² Đường Hương lộ 62, Xã Diên Tân, Diên Khánh, Khánh Hòa
-
bán đất 2 mặt tiền đường full thổ cư diên tân diên khánh full thổ cư phù hợp làm vườn hay phân lô
3 tỷ 1007.6m² Đường Hương lộ 62, Xã Diên Tân, Diên Khánh, Khánh Hòa
-
bán mảnh vườn ngay ubnd xã diên tân, có thổ cư giá tốt
1,3 tỷ 603m² Xã Diên Tân, Huyện Diên Khánh, Khánh Hòa
-
đất rừng trồng cây diên tân - diên khánh 15 tỷ
15 tỷ 14705.7m² Xã Diên Tân, Diên Khánh, Khánh Hòa