Tin đăng này đã hết hạn trên sosanhnha.com Bạn có thể sử dụng công cụ tìm kiếm trên website để tìm những tin đăng mới nhất. hoặc xem chi tiết tin
Có thể bạn quan tâm Bán đất
Bán Gấp đất Mặt Phố 110m Mt 5,2m Giá Rẻ,cổ Nhuế Bắc Từ Liêm,
bán gấp đất mặt phố 110m mt 5,2m giá rẻ,cổ nhuế bắc từ liêm,
31,23 tỷ 110m²
Quận Bắc Từ Liêm, Hà Nội
21 giây trước
đất Chính Chủ 88,4m2. đẹp, Rẻ Nhất Phụng Châu
đất chính chủ 88,4m2. đẹp, rẻ nhất phụng châu
4,5 tỷ 88.4m²
Huyện Chương Mỹ, Hà Nội
4 phút trước
Lô Góc 100m² Full Thổ Cư Mặt Trục Liên Xã Hòa Lạc
lô góc 100m² full thổ cư mặt trục liên xã hòa lạc
Liên hệ 100m²
Huyện Thạch Thất, Hà Nội
5 phút trước
Cần Mua Một Số Hồ Sơ Lô đất Dịch Vụ Xã An Thượng-hoài đức-hà Nội.
cần mua một số hồ sơ lô đất dịch vụ xã an thượng-hoài đức-hà nội.
Liên hệ 100m²
Huyện Hoài Đức, Hà Nội
8 phút trước

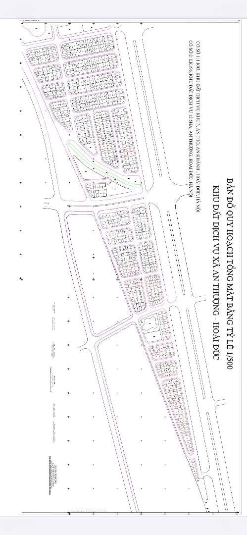
Chính Chủ Bán 6 Lô đất Dịch Vụ Khu 12.5ha An Thượng Vị Trí đẹp, Giá Tốt 55m2, 56m2, 58m2,70m2, 97m2

9 tỷ 70m²
Đặc điểm
Mã tin 34101717
Cập nhật 26/11
Loại tin Bán đất
Mức giá 9 tỷ
Diện tích 70m²
Địa chỉ Đường Liên Khu 8, Xã An Khánh, Hoài Đức, Hà Nội
Thông tin chi tiết
Vị trí: Khu đất dịch vụ 12.5ha An Thượng hạ tầng đồng bộ, dân cư đông đúc, gần hồ điều hòa và các tiện ích trung tâm.

Thông tin 6 lô đất đang bán:
Lô 1: 55m2 Đường 11m Giá 16x triệu/m2.
Lô 2: 56m2 Đường 17m Trục chính, view hồ điều hòa Giá 19x triệu/m2.
Lô 3: Lô góc 58m2 Gần nhà văn hoá & hồ điều hoà Giá 17x triệu/m2.
Lô 4: 70m2 Đường 11m Giá 14x triệu/m2.
Lô 5: 74m2 Đường 11m Giá 14x triệu/m2.


Ưu điểm nổi bật:
Khu vực phát triển nhanh, tính thanh khoản cao.
Hạ tầng hoàn thiện, đường rộng, dân cư đông.
Phù hợp đầu tư sinh lời hoặc xây nhà ở lâu dài.
Sổ đỏ đẹp, pháp lý rõ ràng.

Liên hệ chính chủ: Call/Zalo).
Đặc điểm nổi bật
Diện tích :
70m2
Mặt tiền :
6m
Giá :
9 tỷ
Đường vào :
17m
Hình ảnh
Dịch vụ và tiện ích quanh đây:
Giáo dục Giáo dục Công viên Công viên Mua sắm Mua sắm Ngân hàng Ngân hàng Y tế Y tế
Trung Tâm Phục Hồi SK Dr.B 2 km Chung cư Thăng Long Victory, Căn 14, Hoài Đức, Hà Nội
Công Ty TNHH Giấy và Bao Bì Vipack 4 km 66 Lô CL29-04,05 khu đất, La Nội, Hà Đông, Hà Nội 10000
hanh 4.4 km 70, street, Nam Từ Liêm, 100000
Dịch vụ diệt côn trùng BioX 5.8 km Tòa 101 Usilk city, Khu đô thị Văn Khê, Hà Đông, Hà Nội
Công ty cổ phần đầu tư và sản xuất nội thất tân thịnh phát 6.3 km Ng. 22 Phố Ngô Quyền, La Khê, Hà Đông, Hà Nội 100000
Cửa Hàng Thiết Bị Bảo Hộ Lao Động & Phòng Cháy Chữa Cháy 6.5 km 849 Đ. Quang Trung, La Khê, Hà Đông, Hà Nội
Cửa Hàng Bảo Hộ Lao Động 638 6.6 km 638 Đ. Quang Trung, La Khê, Hà Đông, Hà Nội
Trường 6.8 km Trường Cao đẳng Đại, Mỹ Đình 1, Nam Từ Liêm, Hà Nội
Công Ty Cổ Phần Đầu Tư Và Xuất Nhập Khẩu Y Tế Việt 6.8 km Số 368B Đ. Quang Trung, La Khê, Hà Đông, Hà Nội
Nhà Thuốc Thúy Hằng 6.9 km 7 P. Lụa, Vạn Phúc, Hà Đông, Hà Nội
Plastic Joint Stock Company Phu Hoa An 3.8 km 272 Hữu Hưng, Đai Mỗ, Hà Đông, Hà Nội 100000
Du học Bảo Anh - GMS 6 km Số 27, Liền kề 18, Khu đô thị Văn Khê, Hà Đông, Hà Nội 152261
Trọ của Na 7.5 km 19 Ng. 36 P. Miếu Đầm, Mễ Trì, Từ Liêm, Hà Nội
Khoa nội tiết 8.3 km 9 P. Trần Bình, Mai Dịch, Cầu Giấy, Hà Nội
Công ty TNHH Sơn Đông 8.3 km Toà nhà Kim Hoàn, Ngõ 19, Từ Liêm, Hà Nội
Đoàn Thanh niên Bộ Nội vụ 8.4 km Tôn Thất Thuyết, Mỹ Đình, Cầu Giấy, Hà Nội
Công ty cổ phần giáo dục và du lịch Vietkite 8.4 km P1006, Tòa nhà B6B, Hanoi City, Khu đô thị Nam Trung Yên, Cầu Giấy, Hà Nội 100000
Công ty TNHH Thương Mại Dược Phẩm Minh Quân 8.5 km LK3, Ngõ 67 Phùng Khoang, Trung Văn, Nam Từ Liêm, Hà Nội
Nha khoa thẩm mỹ Seoul 8.9 km 237 Khuất Duy Tiến, Nhân Chính, Thanh Xuân, Hà Nội 100000
Khoa Dược 9.6 km 2 P. Lê Văn Thiêm, Nhân Chính, Thanh Xuân, Hà Nội
Viện Nghiên Cứu & Phát Triển Trung Tâm Nắng Mai 6.8 km 56 Khu Đô Thị Mỹ Đình 1, Cầu Diễn, Từ Liêm, Hà Nội
Khoa Tim mạch - Lão học 7.1 km 2 Bế Văn Đàn, P. Quang Trung, Hà Đông, Hà Nội
Khoa mắt 8.3 km 9 P. Trần Bình, Mai Dịch, Cầu Giấy, Hà Nội
Công Ty Cổ Phần Phát Triển Công Nghệ Tài Nguyên Xanh 9.1 km số 30 Phạm Văn Đồng, Mai Dịch, Hoàn Kiếm, Hà Nội
Công Ty Cổ Phần Đầu Tư T&C Hà Nội 9.4 km 10A Khuất Duy Tiến, Thanh Xuân Trung, Thanh Xuân, Hà Nội
Trung tâm Ngoại ngữ ECE 9.4 km Ng. Số 7 Đ. Hoàng Minh Giám, Trung Hòa Nhân Chính, Thanh Xuân, Hà Nội
Phòng Khám Chuyên Khoa Răng Hàm Mặt BS Đào Thu Hằng 9.5 km 198B Đ. Nguyễn Tuân, Nhân Chính, Thanh Xuân, Hà Nội
Công Ty Cổ Phần Truyền Thông Bất Động Sản Gtland Việt Nam 9.8 km 131 Trần Đăng Ninh, Dịch Vọng, Cầu Giấy, Hà Nội
Răng Hàm Mặt 7.3 km 2 P. Lưu Hữu Phước, Mỹ Đình, Từ Liêm, Hà Nội
Cà Phê Tít 7.7 km 40 Đ. Mỹ Đình, Mỹ Đình, Từ Liêm, Hà Nội
CCIC 8.7 km Yên Hoà, Cầu Giấy, Hà Nội
Phòng Khám YHCT Khánh Thiện Đường 9.7 km 71 Ng. 116 Đ. Nguyễn Xiển, Thanh Xuân Nam, Thanh Xuân, Hà Nội
Nha Khoa Thẩm Mỹ 108 8.4 km 88 Hòa Sơn, TT. Chúc Sơn, Chương Mỹ, Hà Nội
Có thể bạn quan tâm
Được đăng bởi:
Nguyễn Hữu Huyền
Nguyễn Hữu Huyền