Tin đăng này đã hết hạn trên sosanhnha.com
Bạn có thể sử dụng công cụ tìm kiếm trên website để tìm những tin đăng mới nhất.
hoặc xem chi tiết tin
Có thể bạn quan tâm
Bán đất
Chính Chủ Bán đất đấu Giá Thành Phố Vĩnh Yên. Lh 035334666
Liên hệ
41m²
Đặc điểm
Mã tin
33113679
Cập nhật
18/07
Loại tin
Bán đất
Mức giá
Liên hệ
Diện tích
41m²
Địa chỉ
Phường Tích Sơn, Vĩnh Yên, Vĩnh Phúc
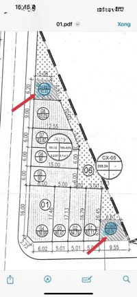
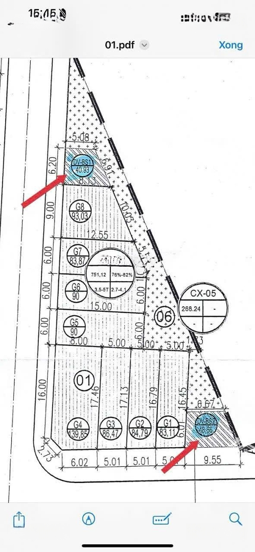
Chính chủ bán đất thành phố Vĩnh Yên.
- Diện tích 41 m2.
- Nguồn gốc sử dụng đất, đất đấu giá nhà nước - Hình thức sử dụng lâu dài.
- Xây dựng tự do.
- Hạ tầng đô thị, đường ô tô tránh, vỉa hè 4 m.
Lô góc, mặt tiền 6.2 m. Lưu không gần 100 m.
- Xung quanh hạ tầng đồng bộ, gần trường học, chung cư, khu vực hành chính thành phố.
- LH chính chủ
Hình ảnh
- Diện tích 41 m2.
- Nguồn gốc sử dụng đất, đất đấu giá nhà nước - Hình thức sử dụng lâu dài.
- Xây dựng tự do.
- Hạ tầng đô thị, đường ô tô tránh, vỉa hè 4 m.
Lô góc, mặt tiền 6.2 m. Lưu không gần 100 m.
- Xung quanh hạ tầng đồng bộ, gần trường học, chung cư, khu vực hành chính thành phố.
- LH chính chủ
Đặc điểm nổi bật
Diện tích :
41m2
Mặt tiền :
6.2m
Giá :
Giá thỏa thuận
Có thể bạn quan tâm
-
Lô đất 2 mặt tiền view hồ – thế đất hiếm – vị trí đắt giá bậc nhất đường Điện Biên Phủ.
17 tỷ 377m² điện biên phủ, tích sơn, vĩnh yên
-
273m2 đất kinh doanh - khu tây hồ - vĩnh yên - vĩnh phúc
19,11 tỷ 273m² Đường Tô Ngọc Vân, Phường Tích Sơn, Vĩnh Yên, Vĩnh Phúc
-
cần bán lô đất quy hoạch mặt hồ sinh thái phường tích sơn, tp vĩnh yên (cũ )
Liên hệ 100m² Tích Sơn, Vĩnh Yên, Vĩnh Phúc
-
bán đất lô góc, view đẹp 17,65 tỷ, 377,5 m2, mặt tiền 18m tại đường điện biên phủ, phường vĩnh phúc
17,65 tỷ 377.5m² Đường Điện Biên Phủ, Phường Tích Sơn, Vĩnh Yên, Vĩnh Phúc
-
Bán đất đẹp khu Tây hồ, Vĩnh yên. Sống an toàn trọn vẹn bên hồ Đầm vạc.+
10 tỷ 200m² Tích Sơn, Vĩnh Yên , Vĩnh Phúc
-
Chính chủ bán gấp lô đất DV Tích Sơn, Vĩnh Yên 105m2, MT 6m full thổ cư sổ đỏ CC 3,45 tỷ 0988296228
3,45 tỷ 105m² Hùng Vương, Tích Sơn, Vĩnh Yên