Tin đăng này đã hết hạn trên sosanhnha.com
Bạn có thể sử dụng công cụ tìm kiếm trên website để tìm những tin đăng mới nhất.
hoặc xem chi tiết tin
Có thể bạn quan tâm
Bán đất
Chính Chủ Bán đất đẹp Tp Bảo Lộc Vị Trí Gần Trung Tâm
2,15 tỷ
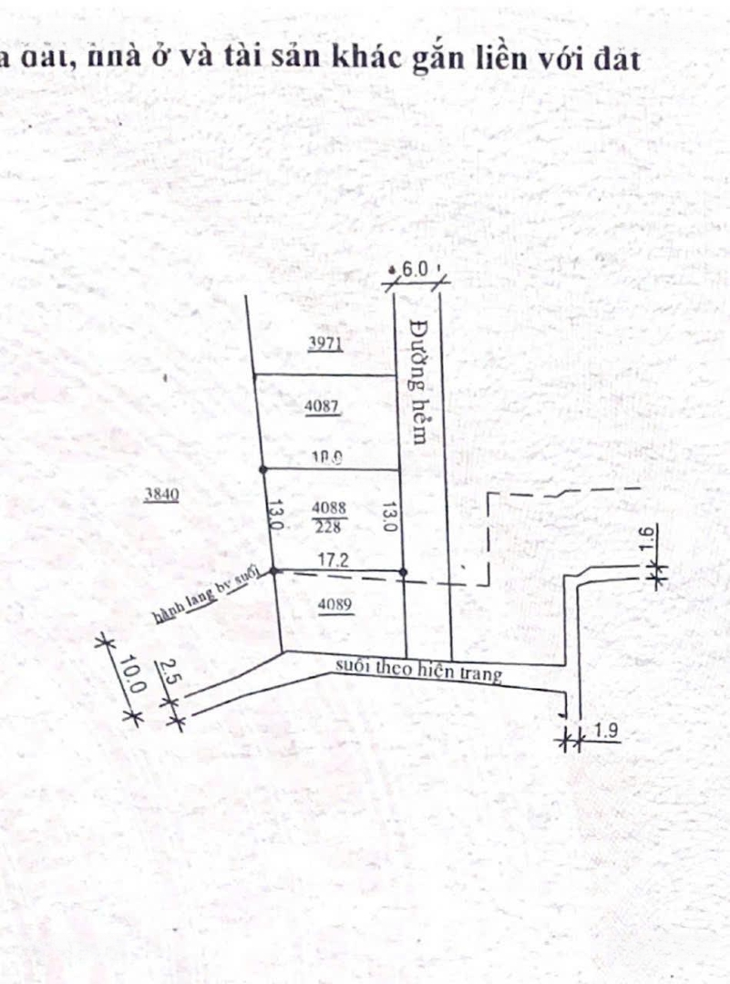
228m²
Đặc điểm
Mã tin
33853514
Cập nhật
25/10
Loại tin
Bán đất
Mức giá
2,15 tỷ
Diện tích
228m²
Địa chỉ
Phường 2, Bảo Lộc, Lâm Đồng
Chính Chủ Bán Đất Đẹp TP Bảo Lộc Vị Trí Gần Trung Tâm
chỉ 2.150 tỷ (Thương lượng)
Cuối năm cần tiền nhập hàng xả nhanh lô đất đẹp phường 2, TP bảo lộc
Diện tích khủng : 13m x 18m (228m2)
Tiện ích :
+ Bán kính 1km đầy đủ cửa hàng, trường học, quán ăn, dịch vụ, sân pickleball, nhà hàng, công viên bảo lộc....
+ 200m ra Phan Đình Phùng
+ 600m ra Huynh Thúc Kháng
+ 3-5 phút ra ngay Trần Phú + trung tâm chính TP Bảo Lộc
Liên hệ chính chủ : A. Phương)
Vị trí : https://www.google.com/maps?q=11.5504301,107.7941608
Hình ảnh
chỉ 2.150 tỷ (Thương lượng)
Cuối năm cần tiền nhập hàng xả nhanh lô đất đẹp phường 2, TP bảo lộc
Diện tích khủng : 13m x 18m (228m2)
Tiện ích :
+ Bán kính 1km đầy đủ cửa hàng, trường học, quán ăn, dịch vụ, sân pickleball, nhà hàng, công viên bảo lộc....
+ 200m ra Phan Đình Phùng
+ 600m ra Huynh Thúc Kháng
+ 3-5 phút ra ngay Trần Phú + trung tâm chính TP Bảo Lộc
Liên hệ chính chủ : A. Phương)
Vị trí : https://www.google.com/maps?q=11.5504301,107.7941608
Đặc điểm nổi bật
Diện tích :
228m2
Giá :
2,15 tỷ
Có thể bạn quan tâm
-
ĐẤT HẺM 78 MẠC ĐĨNH CHI, P 2, BẢO LỘC - CHƯA TỚI NHÀ XE NHẬT ĐOAN GIÁ TỪ 1,1 TỶ
1,1 tỷ 110m² 78 mạc đĩnh chi, phường 2, bảo lộc, lâm đồng
-
chủ cần bán gấp lô đất phía sau lưng khu lâu đài trắng bảo lộc
750 triệu 130m² Phường 2, Bảo Lộc, Lâm Đồng
-
ĐẤT MẶT TIỀN HẺM 268 PHAN ĐÌNH PHÙNG, P 2, BẢO LỘC - GIÁ 950 TRIỆU
950 triệu 150m² phan đình phùng, phường 2, bảo lộc, lâm đồng
-
200m2 view đồi chè Tâm Châu giá chỉ 1 tỷ 2
1,2 tỷ 200m² Lý Thái Tổ, Phường 2, Tp. Bảo Lộc, Lâm Đồng
-
7 triệu/m²siêu phẩm nghỉ dưỡng view hồ tự nhiên- rừng thông chuẩn resort 5 sao tại bảo lộc-lâm đồng
1,25 tỷ 177.3m² Lý Thái Tổ, 2, Bảo Lộc, Lâm Đồng
-
BÁN ĐẤT BIỆT THỰ HẺM 91 NGUYỄN HỮU CHỈNH, PHƯỜNG 2, BẢO LỘC - KHU TRUNG TÂM TP
3,4 tỷ 213m² nguyễn hữu chỉnh, phường 2, bảo lộc, lâm đồng