Chính Chủ Bán Gấp Lô Góc F0 Ghép Kín Tại đào Yêu Hải Phòng Giá Chỉ 1,xxxtỷ
1,49 tỷ
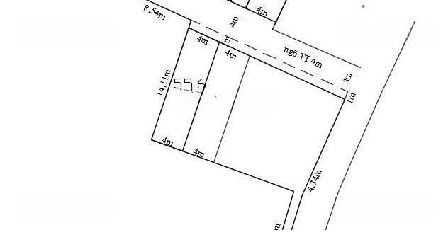
55m²
Đặc điểm
Mã tin
34628769
Cập nhật
2 ngày trước
Loại tin
Bán đất
Mức giá
1,49 tỷ
Diện tích
55m²
Địa chỉ
Phường Hồng Thái, Quận An Dương, Hải Phòng
Đất tại Phường An Hải, Hải Phòng, trước đây Quận An Dương, Hải Phòng là cơ hội tuyệt vời cho những ai đang tìm kiếm một không gian sống lý tưởng.
- Diện tích: 55m2, phù hợp cho việc xây dựng nhà ở hoặc đầu tư.
- Pháp lý đầy đủ với sổ đỏ, đảm bảo an toàn cho giao dịch.
- Giá bán chỉ 1,49 tỷ VND, rất hợp lý so với thị trường.
- Đất có vị trí thuận lợi, dễ dàng kết nối đến các khu vực lân cận.
- Có thể xây dựng theo nhu cầu, linh hoạt cho các ý tưởng thiết kế.
- Không gian yên tĩnh, thích hợp cho cuộc sống gia đình.
- Đầy đủ tiện nghi xung quanh như siêu thị, chợ, và các dịch vụ tiện ích.
- Phong thủy tốt, mang lại may mắn và tài lộc cho gia chủ.
Liên hệ ngay với Tỉn Đức qua số điện thoại để được tư vấn chi tiết.
Hình ảnh
- Diện tích: 55m2, phù hợp cho việc xây dựng nhà ở hoặc đầu tư.
- Pháp lý đầy đủ với sổ đỏ, đảm bảo an toàn cho giao dịch.
- Giá bán chỉ 1,49 tỷ VND, rất hợp lý so với thị trường.
- Đất có vị trí thuận lợi, dễ dàng kết nối đến các khu vực lân cận.
- Có thể xây dựng theo nhu cầu, linh hoạt cho các ý tưởng thiết kế.
- Không gian yên tĩnh, thích hợp cho cuộc sống gia đình.
- Đầy đủ tiện nghi xung quanh như siêu thị, chợ, và các dịch vụ tiện ích.
- Phong thủy tốt, mang lại may mắn và tài lộc cho gia chủ.
Liên hệ ngay với Tỉn Đức qua số điện thoại để được tư vấn chi tiết.
Đặc điểm nổi bật
Diện tích :
55m2
Giá :
1,49 tỷ
Có thể bạn quan tâm
-
bán gấp đất tại hồng thái, 950 triệu, 62,5m2, pháp lý đầy đủ
1,05 tỷ 62.5m² Phường Hồng Thái, Quận An Dương, Hải Phòng
-
Bán đất 60m2 Xích Thổ An Dương Hải Phòng
1,19 tỷ 60m² Xích Thổ
-
Bán lô góc 50m2 Kiều Trung An Dương Hải Phòng
1,5 tỷ 50m² Kiều Trung
-
bán đất lô góc đào yêu - hồng thái giá 1 tỷ 900 tr
1,9 tỷ 60.9m² Phường Hồng Thái, Quận An Dương, Hải Phòng
-
Mặt đường 351 Hồng Thái An Dương Hải Phòng
4,45 tỷ 80m² Phan Đăng Lưu
-
lô biệt thự 150m2 tại cc hồng thái an dương hp
3,95 tỷ 150m² Phường Hồng Thái, An Dương, Hải Phòng