Tin đăng này đã hết hạn trên sosanhnha.com
Bạn có thể sử dụng công cụ tìm kiếm trên website để tìm những tin đăng mới nhất.
hoặc xem chi tiết tin
Có thể bạn quan tâm
Bán đất
Chính Chủ Bán Lô đất 2 Mặt Tiền Suối Cá, Khánh Trung, Khánh Vĩnh
499 triệu
513m²
Đặc điểm
Mã tin
34036206
Cập nhật
18/11/2025
Loại tin
Bán đất
Mức giá
499 triệu
Diện tích
513m²
Địa chỉ
Xã Khánh Trung, Khánh Vĩnh, Khánh Hòa
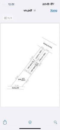
Chính chủ bán lô đất 2 mặt tiền Suối Cá, Khánh Trung, Khánh Vĩnh.
- Diện tích: 513m² (đã tách 2 sổ, chia được 3 lô).
Thổ cư: 270m² pháp lý rõ ràng.
Hai mặt tiền:
Đường liên xã quy hoạch 20m ngang 10,15m hướng Đông Bắc.
Đường bê tông 5m ngang 12,34m, hướng Tây Nam.
Giá bán: 499 triệu (bớt lộc).
- Tiện ích: Cách chợ trường trạm y tế UBND chỉ 700m; khu dân cư hiện hữu; điện nước đầy đủ; ô tô vào tận đất; view núi thoáng.
Phù hợp: Ở, kinh doanh nhỏ, đầu tư giữ đất, đón quy hoạch.
Liên hệ chính chủ:
https://maps.app.goo.gl/7z9Zi3VfqrQYUpMC6?g_st=ipc
Hình ảnh
- Diện tích: 513m² (đã tách 2 sổ, chia được 3 lô).
Thổ cư: 270m² pháp lý rõ ràng.
Hai mặt tiền:
Đường liên xã quy hoạch 20m ngang 10,15m hướng Đông Bắc.
Đường bê tông 5m ngang 12,34m, hướng Tây Nam.
Giá bán: 499 triệu (bớt lộc).
- Tiện ích: Cách chợ trường trạm y tế UBND chỉ 700m; khu dân cư hiện hữu; điện nước đầy đủ; ô tô vào tận đất; view núi thoáng.
Phù hợp: Ở, kinh doanh nhỏ, đầu tư giữ đất, đón quy hoạch.
Liên hệ chính chủ:
https://maps.app.goo.gl/7z9Zi3VfqrQYUpMC6?g_st=ipc
Đặc điểm nổi bật
Diện tích :
513m2
Mặt tiền :
10.15m
Giá :
499 triệu
Đường vào :
20m
Có thể bạn quan tâm
-
Bán đất Khánh Trung giá rẻ sẵn thổ cư ngay trung tâm xã - đường bê tông ô tô tận nơi
285 triệu 233m² Thôn Suối Cá, Khánh Trung, Khánh Vĩnh, Khánh Hoà
-
chính chủ cần tiền bán rẻ lô đất 1026m2 sẵn thổ mặt tiền tỉnh lộ 8b xã khánh trung, khánh vĩnh
1,45 tỷ 1026m² Đường Tỉnh lộ 8B, Xã Khánh Trung, Khánh Vĩnh, Khánh Hòa
-
Bán đất Khánh Trung full thổ cư mặt tiền Tỉnh Lộ 8B - cạnh trường tiểu học trung tâm xã
599 triệu 372m² Tỉnh Lộ 8B, Khánh Trung, Khánh Vĩnh, Khánh Hoà
-
bán gấp đất triền đồi vườn bưởi siêu đẹp - thích hợp xây biệt thự nghỉ dưỡng - chỉ 485 triệu
485 triệu 1132m² Đường Tỉnh lộ 8B, Xã Khánh Trung, Khánh Vĩnh, Khánh Hòa
-
bán đất 8.000m2 giáp Suối gần uỷ ban xã Khánh Trung, Khánh Vĩnh giá rẻ LH 0788.558.552
1,35 tỷ 8000m² uỷ ban xã Khánh Trung
-
chính chủ bán đất 576m2 full thổ cư, tl 8b, thôn suối cá, xã khánh trung, khánh vĩnh. t. khánh hoà
576 triệu 576m² Đường Tỉnh lộ 8B, Xã Khánh Trung, Khánh Vĩnh, Khánh Hòa