Tin đăng này đã hết hạn trên sosanhnha.com Bạn có thể sử dụng công cụ tìm kiếm trên website để tìm những tin đăng mới nhất. hoặc xem chi tiết tin
Có thể bạn quan tâm Bán nhà riêng
Bán Nhà Phố Đẹp Đường Quang Trung, Phường 10, Quận Gò Vấp, Hồ Chí Minh
Bán Nhà Phố Đẹp Đường Quang Trung, Phường 10, Quận Gò vấp, Hồ chí Minh
6,68 tỷ 50m²
3 phòng ngủ 3 vệ sinh
Quận Gò Vấp, Hồ Chí Minh
Hôm nay
Bán Nhà Riêng Chính Chủ Mặt Tiền 5.6m, đường ỷ Lan, Quận Tân Phú, đường Nội Bộ ô Tô
bán nhà riêng chính chủ mặt tiền 5.6m, đường ỷ lan, quận tân phú, đường nội bộ ô tô
15,7 tỷ 78.9m²
8 phòng ngủ
Quận Tân Phú, Hồ Chí Minh
58 giây trước
Mặt Tiền Nội Bộ 3/2 Khu Cx Nguyễn Trung Trực, 7x18m, 4 Tầng, Giá Chỉ 34 Tỷ
mặt tiền nội bộ 3/2 khu cx nguyễn trung trực, 7x18m, 4 tầng, giá chỉ 34 tỷ
34 tỷ 126m²
16 phòng ngủ
Quận 10, Hồ Chí Minh
4 phút trước
Cần Bán Gấp Nhà Tân Sơn Nhì - 4.1m X13m - 2 Tầng - Hẻm Nhựa 5m - Giảm Còn 5.3 Tỷ
cần bán gấp nhà tân sơn nhì - 4.1m x13m - 2 tầng - hẻm nhựa 5m - giảm còn 5.3 tỷ
5,3 tỷ 52m²
2 phòng ngủ
Quận Tân Phú, Hồ Chí Minh
10 phút trước
Nhà đẹp Ngay Etown Cộng Hòa Kế Nhà Ga T3 Ngang 4m Dài 12m Với 2pn
nhà đẹp ngay etown cộng hòa kế nhà ga t3 ngang 4m dài 12m với 2pn
5,56 tỷ 48m²
2 phòng ngủ
Quận Tân Bình, Hồ Chí Minh
10 phút trước

Chính Chủ Bán Toà Nhà Chdv Hxh Cao Cấp 5,7x9,8 46,4m 4t St 8pn 8wc Hđt 50tr C6 19,9 Tỷ

19,9 tỷ 46.4m²
Đặc điểm
Mã tin 34476319
Cập nhật 21/01
Loại tin Bán nhà riêng
Mức giá 19,9 tỷ
Diện tích 46.4m²
Phòng ngủ 8 phòng ngủ
Địa chỉ Đường Cách Mạng Tháng Tám, Phường 15, Quận 10, Hồ Chí Minh
Thông tin chi tiết
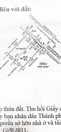
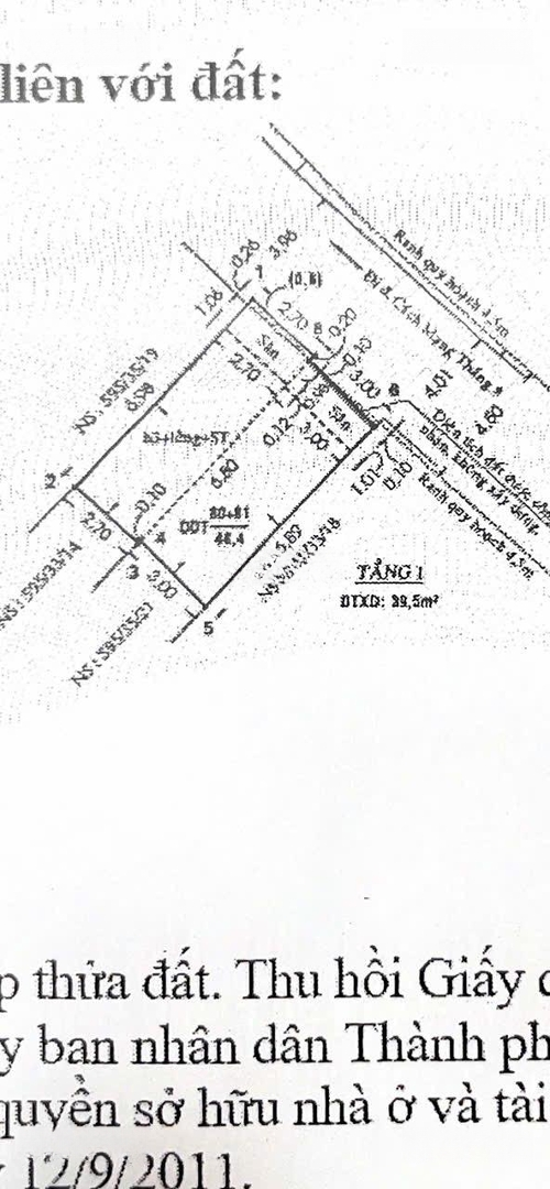
Chính chủ bán toà nhà CHDV HXH cao cấp 5,7x9,8m, 46,4m2, 4T ST, 8PN 8WC.
HĐT 50tr cọc 6 tháng.
Giá 19,9 tỷ TL.

LH Thanh Ngân.
Đặc điểm nổi bật
Diện tích :
46.4m2
Mặt tiền :
8.18m
Giá :
19,9 tỷ
Số tầng :
4 tầng
Phòng ngủ :
8 phòng
Phòng tắm :
8 phòng
Đường vào :
20m
Hình ảnh
Có thể bạn quan tâm
Được đăng bởi:
Thanh Ngân
Thanh Ngân