Tin đăng này đã hết hạn trên sosanhnha.com
Bạn có thể sử dụng công cụ tìm kiếm trên website để tìm những tin đăng mới nhất.
hoặc xem chi tiết tin
Có thể bạn quan tâm
Bán đất
Chính Chủ Cần Bán Gấp Siêu Phẩm Góc 2 Mặt Tiền Ngay Khu Tđc Phú Chánh C _ Trung Tâm Tp Mới Giá Tốt
16 tỷ
827m²
Đặc điểm
Mã tin
33469511
Cập nhật
05/09
Loại tin
Bán đất
Mức giá
16 tỷ
Diện tích
827m²
Địa chỉ
Đường Số 55, Phường Phú Tân, Thủ Dầu Một, Bình Dương
* Hàng Víp Trung Tâm TP Mới Sài Gòn 2
_____\\\__Giá chỉ 16tỷ ( Nói chuyên Chủ )
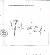
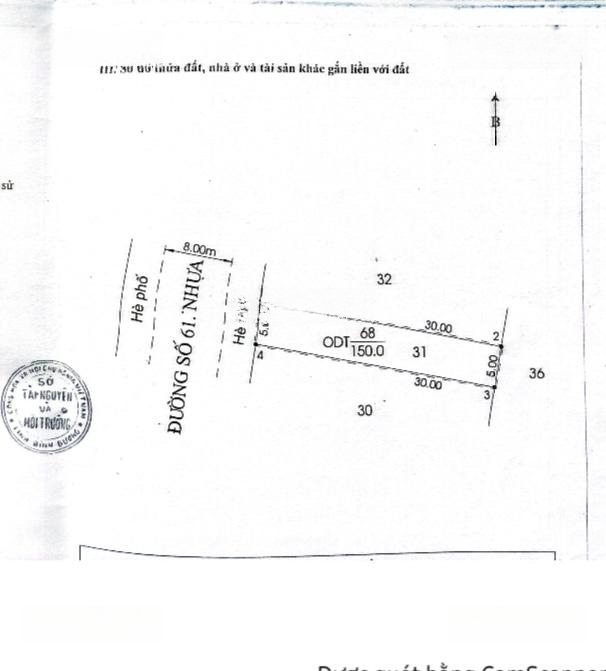
* Góc 2 mặt tiền đường số 55 và 61 TĐC Phú Chánh C Siêu Đẹp, Siêu Hiếm
* Kp Phú Tân 2,Phường Bình Dương, TP HCM
* DT: 28x30 thổ cư 100% ( Tổng 827m2 )
* Phù hợp mở Công Ty, Kho Xưởng cho thuê, xây dưng Biệt Thự, Nhà Nghĩ, Khách Sạn...
* LH: gặp em Nhật làm việc với Chủ
Hình ảnh
_____\\\__Giá chỉ 16tỷ ( Nói chuyên Chủ )
* Góc 2 mặt tiền đường số 55 và 61 TĐC Phú Chánh C Siêu Đẹp, Siêu Hiếm
* Kp Phú Tân 2,Phường Bình Dương, TP HCM
* DT: 28x30 thổ cư 100% ( Tổng 827m2 )
* Phù hợp mở Công Ty, Kho Xưởng cho thuê, xây dưng Biệt Thự, Nhà Nghĩ, Khách Sạn...
* LH: gặp em Nhật làm việc với Chủ
Đặc điểm nổi bật
Diện tích :
827m2
Mặt tiền :
55m
Giá :
16 tỷ
Đường vào :
16m
Có thể bạn quan tâm
-
hàng ngộp vị trí kinh doanh mặt chợ tự phát, khu phát triển nhất khu tdc thành phố mới,giá 3,6tỷ
3,58 tỷ 100m² Đường Số 65, Phường Phú Tân, Thủ Dầu Một, Bình Dương
-
chính chủ cần bán gấp lô đất đường số 51 vị trí kinh doanh,cách ga metro, kcn kim huy, visip2 200m
3,35 tỷ 100m² Đường Số 51, Phường Phú Tân, Thủ Dầu Một, Bình Dương
-
chính chủ cần bán đất đường số 51 tdc phú chánh d, phường bình dương, đường lớn, trục chính kdc
3,3 tỷ 100m² Đường Số 51, Phường Phú Tân, Thủ Dầu Một, Bình Dương
-
mặt tiền kinh doanh trục chính trung tâm tp mới bình dương 10x30m thổ cư 100% chỉ 42tr/m2
12,6 tỷ 300m² Đường Võ Văn Kiệt, Phường Phú Tân, Thủ Dầu Một, Bình Dương
-
bán đất gần trung tâm metro, trung tâm tài chính mới, thành phố mới, trục đường chính kinh doanh,
3,2 tỷ 95m² Đường Số 51, Phường Phú Tân, Thủ Dầu Một, Bình Dương
-
chính chủ cần bán gấp lô đất đối diện công viên trong khu tđc phú chánh giá tốt đầu tư
2,43 tỷ 100m² Đường Số 81, Phường Phú Tân, Thủ Dầu Một, Bình Dương