Tin đăng này đã hết hạn trên sosanhnha.com Bạn có thể sử dụng công cụ tìm kiếm trên website để tìm những tin đăng mới nhất. hoặc xem chi tiết tin
Có thể bạn quan tâm Bán đất
5x24 Gần Nhựa, Gần Kcn. Gần Nút Cao Tốc. 385tr
5x24 gần nhựa, gần kcn. gần nút cao tốc. 385tr
385 triệu 120m²
Huyện Gò Dầu, Tây Ninh
11 giờ trước
10x50m đất Luk Phù Hợp Anh Chị Mở Quán Café Sân Vườn
10x50m đất luk phù hợp anh chị mở quán café sân vườn
1,38 tỷ 1000m²
Huyện Gò Dầu, Tây Ninh
12 giờ trước
đất Giá Rẻ, Dt 180m2, Shr, Trảng Bàng Tây Ninh, Giá 1 Tỷ Có Thương Lượng
đất giá rẻ, dt 180m2, shr, trảng bàng tây ninh, giá 1 tỷ có thương lượng
1 tỷ 180m²
Huyện Trảng Bàng, Tây Ninh
12 giờ trước
Chính Chủ Bán đất Tây Ninh 5x25m, Full Thổ Cư Nhà Dân đông Giá 180tr, Sổ Riêng Hh 5%
chính chủ bán đất tây ninh 5x25m, full thổ cư nhà dân đông giá 180tr, sổ riêng hh 5%
180 triệu/m² 125m²
Huyện Tân Biên, Tây Ninh
13 giờ trước
2 Lô 5x40m Full Thổ Cư. đường Bêtông. Sát Khu Công Nghiệp. Chỉ 550 Triệu
2 lô 5x40m full thổ cư. đường bêtông. sát khu công nghiệp. chỉ 550 triệu
550 triệu 200m²
Huyện Gò Dầu, Tây Ninh
14 giờ trước

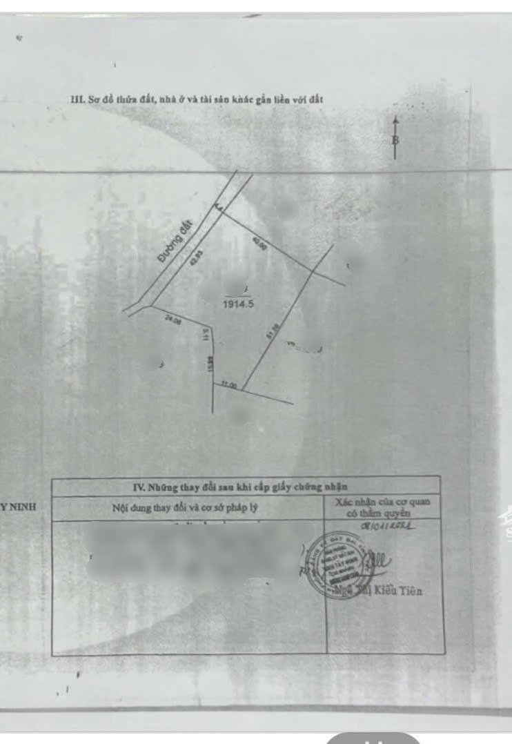
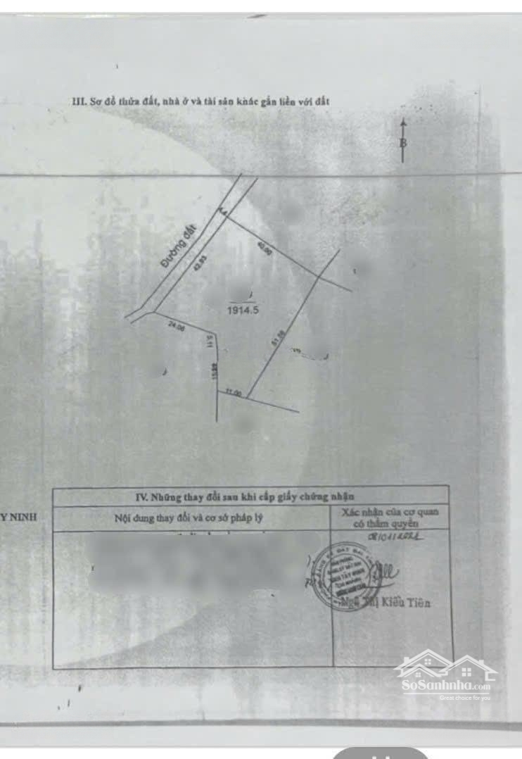
Chính Chủ Cần Bán Lô đất ở Xã Phan, Dương Minh Châu Có Ont Thích Hợp Làm Khu Nghĩ Dưỡng

9,5 tỷ 1914.5m²
Đặc điểm
Mã tin 33839959
Cập nhật 23/10
Loại tin Bán đất
Mức giá 9,5 tỷ
Diện tích 1914.5m²
Địa chỉ Xã Phan, Dương Minh Châu, Tây Ninh
Thông tin chi tiết
Với tổng diện tích 1914,5m2 có sẵn ONT

Đường xá rộng rãi, thuận tiện cho xe cộ ra vào

Không gian rộng rãi, thích hợp đầu tư xây dựng nhà vườn hoặc khu nghĩ dưỡng

Sổ hồng pháp lý đầy đủ

Giao dịch chính chủ không qua trung gian
Đặc điểm nổi bật
Diện tích :
1914.5m2
Giá :
9,5 tỷ
Hình ảnh
Có thể bạn quan tâm
Được đăng bởi:
Huỳnh Như
Huỳnh Như