Tin đăng này đã hết hạn trên sosanhnha.com
Bạn có thể sử dụng công cụ tìm kiếm trên website để tìm những tin đăng mới nhất.
hoặc xem chi tiết tin
Có thể bạn quan tâm
Bán đất
Chính Chủ Gửi Bán đất 532/ Lê Trọng Tấn Phương Tây Thạnh- Tân Phú
18 tỷ
238m²
Đặc điểm
Mã tin
33289537
Cập nhật
13/08/2025
Loại tin
Bán đất
Mức giá
18 tỷ
Diện tích
238m²
Địa chỉ
Đường Lê Trọng Tấn, Phường Tây Thạnh, Tân Phú, Hồ Chí Minh
Hàng hiếm giá tốt
*** Giá 18,5 tỷ giảm 500 triệu còn 18tỷ Tl
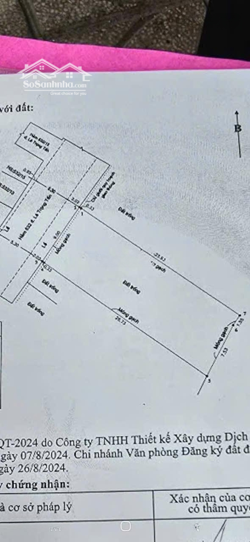
Chu gửi bán đất 532/ Lê Trọng Tấn phương Tây Thạnh- Tân Phú
-Dt : 9x27 mét no hậu
- DTcông nhận 238m2 không lộ giới
Giá: 18 tỷ thương lương
LH/ Điệp
Hình ảnh
*** Giá 18,5 tỷ giảm 500 triệu còn 18tỷ Tl
Chu gửi bán đất 532/ Lê Trọng Tấn phương Tây Thạnh- Tân Phú
-Dt : 9x27 mét no hậu
- DTcông nhận 238m2 không lộ giới
Giá: 18 tỷ thương lương
LH/ Điệp
Đặc điểm nổi bật
Diện tích :
238m2
Mặt tiền :
9m
Giá :
18 tỷ
Có thể bạn quan tâm
-
lô góc 2 mặt tiền nguyễn sáng - ngay đh công thương quỹ đất hiếm, 7269m2. lh:
270 tỷ 7269m² Đường Nguyễn Sáng, Phường Tây Thạnh, Tân Phú, Hồ Chí Minh
-
còn sót lại 1lô duy nhất 55m2 odt - gần aeon, tân phú giá 4.4 tỷ
4,4 tỷ 55m² Phường Tây Thạnh, Tân Phú, Hồ Chí Minh
-
chủ thiện chí hạ giá tốt bán khuôn đất đường huỳnh văn gấm p. tây thạnh tân phú. dt 10x35m giá 36tỷ
36 tỷ 301.1m² Đường Huỳnh Văn Gấm, Phường Tây Thạnh, Tân Phú, Hồ Chí Minh
-
đất trống tiện xây chdv - ngay đh công thương lê trọng tấn - dt: 5,3x21m (101tr/1m2)
11,24 tỷ 111.3m² Đường Lê Trọng Tấn, Phường Tây Thạnh, Tân Phú, Hồ Chí Minh
-
bán đất mặt phố 532 hẻm lê trọng tấn, 19,7 tỷ, 238m2 giá ưu đãi
19,7 tỷ 238m² 532 hẻm Lê Trọng Tấn, Phường Tây Thạnh, Tân Phú, Hồ Chí Minh
-
đất trống dt 12x18, hxh thông, giá 8.x tỷ, tây thạnh, tân phú
Liên hệ 203m² Đường Tây Thạnh, Phường Tây Thạnh, Tân Phú, Hồ Chí Minh