Tin đăng này đã hết hạn trên sosanhnha.com
Bạn có thể sử dụng công cụ tìm kiếm trên website để tìm những tin đăng mới nhất.
hoặc xem chi tiết tin
Có thể bạn quan tâm
Bán đất
Chính Chủ Gửi Bán Lô đất Diện Tích Khủng đường Dương Quảng Hàm Thích Hợp Xây Chdv , Công Ty
63 tỷ
547m²
Đặc điểm
Mã tin
33107094
Cập nhật
17/07
Loại tin
Bán đất
Mức giá
63 tỷ
Diện tích
547m²
Địa chỉ
Đường Dương Quảng Hàm, Phường 6, Gò Vấp, Hồ Chí Minh
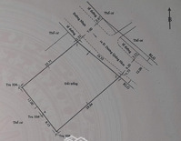
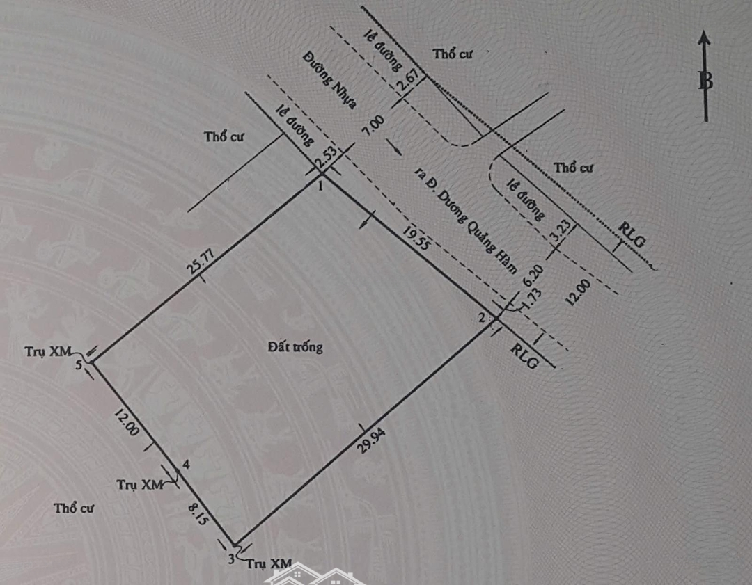
Chính chủ gửi bán lô đất diện tích khủng đường Dương Quảng Hàm P6 Gò Vấp
Diện tích 19,6x28 ( nở hậu 20.1m)
Đường trước nhà 12m
Rất thích hợp đầu tư , xây CHDV , Công ty ..vv
Giá 63tỷ TL
Liên hệ em Trường
Hình ảnh
Diện tích 19,6x28 ( nở hậu 20.1m)
Đường trước nhà 12m
Rất thích hợp đầu tư , xây CHDV , Công ty ..vv
Giá 63tỷ TL
Liên hệ em Trường
Đặc điểm nổi bật
Diện tích :
547m2
Giá :
63 tỷ
Có thể bạn quan tâm
-
ngang lớn 8m, 78m2, chỉ cách 1 căn ra mặt tiền, gần nguyễn oanh, p6, gò vấp, gần tuyến metro số 4.
6,5 tỷ 78m² Đường Nguyễn Oanh, Phường 6, Gò Vấp, Hồ Chí Minh
-
bán đất hẻm xe hơi đường số 27 - lê đức thọ, dt ngang 7,5mx20m giá chỉ 12.8 tỷ tl
12,8 tỷ 150m² Đường Số 27, Đường Lê Đức Thọ, Phường 6, Gò Vấp, Hồ Chí Minh
-
bán lô đất đẹp đường dương quảng hàm, p6, gò vấp, hcm, dt: 548m2, giá: 63 tỷ, lh:
63 tỷ 547.4m² Đường Dương Quảng Hàm, Phường 6, Gò Vấp, Hồ Chí Minh
-
184m2 chỉ 11 tỷ- cơ hội vàng đầu tư dùng đòn bẫy tài chính & khách hàng xây, khai thác dòng tiền
11 tỷ 184m² Đường Số 30, Phường 6, Gò Vấp, Hồ Chí Minh
-
khuôn đất 1 trục 2 mặt đường 6m thông dương quảng hàm p6, dt 4x17m, giá 9 tỷ tl
9 tỷ 68m² Đường Dương Quảng Hàm, Phường 6, Gò Vấp, Hồ Chí Minh
-
hàng vip đất xây chdv, tòa nhà, khách sạn dt 10x27 giá 32 tỷ tl
32 tỷ 270m² Phường 6, Gò Vấp, Hồ Chí Minh