Tin đăng này đã hết hạn trên sosanhnha.com
Bạn có thể sử dụng công cụ tìm kiếm trên website để tìm những tin đăng mới nhất.
hoặc xem chi tiết tin
Có thể bạn quan tâm
Bán đất
Chính Chủ Gửi Bán Lô đất Góc 2 Mặt Tiền 303 Thân Văn Nhiếp - đường Số 1, P. An Phú, Q2,
Liên hệ
1564m²
Đặc điểm
Mã tin
33873428
Cập nhật
27/10/2025
Loại tin
Bán đất
Mức giá
Liên hệ
Diện tích
1564m²
Địa chỉ
303 Thân Văn Nhiếp - Đường Số 1, Phường An Phú, Quận 2, Hồ Chí Minh
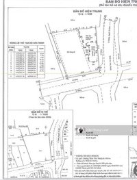
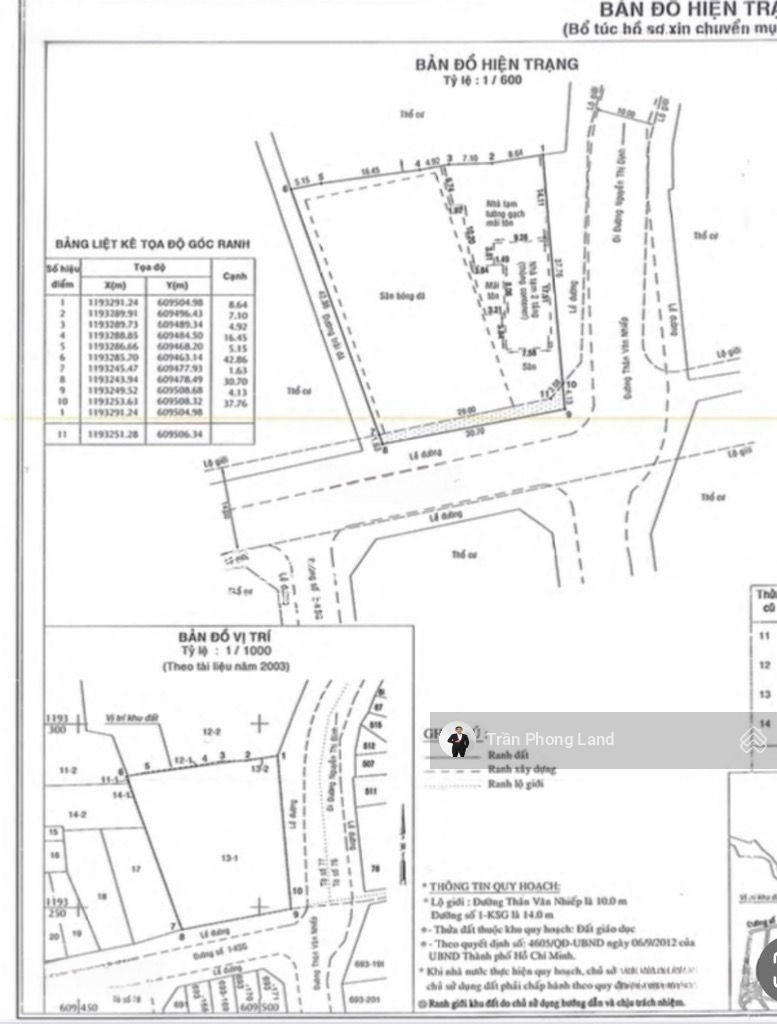
Chính chủ gửi bán lô đất góc 2 mặt tiền 303 Thân Văn Nhiếp - Đường Số 1, Phường An Phú, Quận 2.
- Diện tích: 30m x 45m
- Công nhận: 1564m2.
- Giá bán: thỏa thuận.
- Đang cho thuê làm sân bóng đá cỏ nhân tạo.
- Vị trí: https://maps.app.goo.gl/YxsyDU5VyrTczpRz9
Liên hệ xem đất: hoặc - Trần Phong Land.
Website: thodianhapho.vn
Hình ảnh
- Diện tích: 30m x 45m
- Công nhận: 1564m2.
- Giá bán: thỏa thuận.
- Đang cho thuê làm sân bóng đá cỏ nhân tạo.
- Vị trí: https://maps.app.goo.gl/YxsyDU5VyrTczpRz9
Liên hệ xem đất: hoặc - Trần Phong Land.
Website: thodianhapho.vn
Đặc điểm nổi bật
Diện tích :
1564m2
Giá :
Giá thỏa thuận
Có thể bạn quan tâm
-
sở hữu bđs tiềm năng ngay nguyễn hoàng, gần metro an phú, quận 2, dt 80m2, giá 3 tỷ 500tr, sổ riêng
3,5 tỷ 80m² Đường Nguyễn Hoàng, Phường An Phú, Quận 2, Hồ Chí Minh
-
170tr/m2 góc 2mt thân văn nhiếp, an phú. 50 tỷ. dt: 17x18m cn 294m2
50 tỷ 294m² Đường Thân Văn Nhiếp, Phường An Phú, Quận 2, Hồ Chí Minh
-
cần bán gấp đất hàng ngộp khu cao đức lân,quận 2 chỉ 5 lô từ 5tỷ2 95m² còn thương lượng chính chủ
5,2 tỷ 95m² Đường Cao Đức Lân, Phường An Phú, Quận 2, Hồ Chí Minh
-
169tr/m2 bùi tá hán, duy nhất 30 tỷ. dt: 10,5 x 17m cn 177m2 (xd: 1 hầm 4 tầng)
30 tỷ 177m² Đường Bùi Tá Hán, Phường An Phú, Quận 2, Hồ Chí Minh
-
bán đất nền thân văn nhiếp, p.an phú, q.2, giá 1,9 tỷ,dt 80m2(5x16), mặt tiền 12m, sổ hồng từng nền
1,9 tỷ 80m² Đường Thân Văn Nhiếp, Phường An Phú, Quận 2, Hồ Chí Minh
-
7,3ha siêu đất vàng đại lộ mai chí thọ tp. thủ đức chỉ 55tr/m2 (đối diện metro), bao pháp lý
4.015 tỷ 73000m² Đường Mai Chí Thọ, Phường An Phú, Quận 2, Hồ Chí Minh