Tin đăng này đã hết hạn trên sosanhnha.com
Bạn có thể sử dụng công cụ tìm kiếm trên website để tìm những tin đăng mới nhất.
hoặc xem chi tiết tin
Có thể bạn quan tâm
Cho thuê kho, nhà xưởng, đất
Cho Thuê 2300m đất Mt Trần Thị điệu(đường 61 Cũ), Phước Long B. Giá 43.4k/m2
100 triệu/tháng
2300m²
Đặc điểm
Mã tin
33321067
Cập nhật
16/08/2025
Loại tin
Cho thuê kho, nhà xưởng, đất
Mức giá
100 triệu/tháng
Diện tích
2300m²
Địa chỉ
Đường Trần Thị Điệu, Phường Phước Long B, Quận 9, Hồ Chí Minh
Cho thuê đất MT Trần Thị Điệu(đường 61 cũ), Phước Long, Tp Hồ Chí Minh.
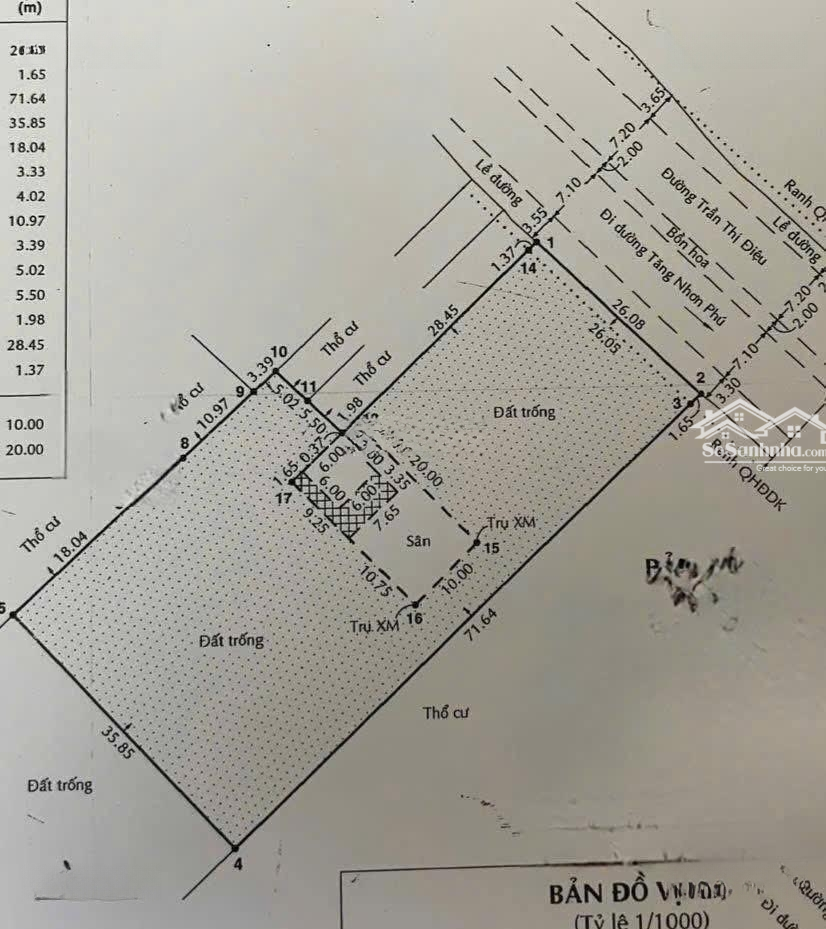
DT: 26 x 73m, nở hậu 36m. Tổng DT 2,300m².
Hiện trạng đất có tường bao quanh kiên cố, có 200m² thổ cư, đường rộng 30m, xe tải thoải mái. Đã có điện, nước. Giấy tờ hợp lệ.
Vị trí nằm mặt tiền đường 30m, gần ngay Cao Đẳng Công Thương, Ngã 4 Bình Thái, Chung Cư 9 Víew, Cty Dệt Phong Phú....
Thích hợp làm bãi xe, bãi vật liệu, sân thể thao, nhà hàng ngoài trời ...
Giá thuê 100tr/th (chưa bao gồm VAT).
Lh: Trung Đinh.
Hình ảnh
DT: 26 x 73m, nở hậu 36m. Tổng DT 2,300m².
Hiện trạng đất có tường bao quanh kiên cố, có 200m² thổ cư, đường rộng 30m, xe tải thoải mái. Đã có điện, nước. Giấy tờ hợp lệ.
Vị trí nằm mặt tiền đường 30m, gần ngay Cao Đẳng Công Thương, Ngã 4 Bình Thái, Chung Cư 9 Víew, Cty Dệt Phong Phú....
Thích hợp làm bãi xe, bãi vật liệu, sân thể thao, nhà hàng ngoài trời ...
Giá thuê 100tr/th (chưa bao gồm VAT).
Lh: Trung Đinh.
Đặc điểm nổi bật
Diện tích :
2300m2
Mặt tiền :
26m
Giá :
100 triệu/tháng
Có thể bạn quan tâm
-
cho thuê kho xưởng 1000 m2 ngay đường liên phường và đỗ xuân hợp giá 80tr/tháng.
80 triệu/tháng 1000m² Đường Liên Phường, Phường Phước Long B, Quận 9, Hồ Chí Minh
-
cho thuê kho mặt tiền đường liên phường
45 triệu/tháng 550m² Đường Liên Phường, Phường Phước Long B, Quận 9, Hồ Chí Minh
-
Mặt bằng showroom vị trí mặt tiền đường Liên Phường
30 triệu/tháng 200m² Khu dân cư gia hoà
-
kho 900m2 đường xe tải lớn, xe cont - 22x44m kiên cố trần cao sạch sẽ
75 triệu/tháng 900m² Đường Liên Phường, Phường Phước Long B, Quận 9, Hồ Chí Minh
-
*cho thuê kho xưởng*1000m2 đường tăng nhơn phú, phường phước long b, quận 9.
80 triệu/tháng 1000m² Đường Tăng Nhơn Phú, Phường Phước Long B, Quận 9, Hồ Chí Minh
-
cho thuê kho 1050m2 tại liên phường , quận 9 ( gần quận 2 )
80 triệu/tháng 1050m² Đường Liên Phường, Phường Phước Long B, Quận 9, Hồ Chí Minh