CHO THUÊ KHO XƯỞNG ĐƯỜNG QUỐC LÔ 22B HUYÊN GÒ DẦU , TỈNH TÂY NINH
100 triệu/tháng
37000m²
Đặc điểm
Mã tin
33915613
Cập nhật
01/11/2025
Loại tin
Cho thuê kho, nhà xưởng, đất
Mức giá
100 triệu/tháng
Diện tích
37000m²
Địa chỉ
11,Xã Cẩm Giang, Huyện Gò Dầu, Tây Ninh
- Cho thuê kho xưởng đường quốc lô 22B ,Huyện Gò Dầu ,Tỉnh Tây Ninh
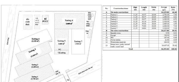
- Diên tích : 37,000m2 xây dựng 20,000m2
_ xây dựng có 7 xưởng
- xưởng 1 : 2704m2
- xưởng 2 : 2480m2
- xưởng 3 : 2368m2
- xưởng 4 : 1665m2
- xưởng 5 : 2660m2
- xưởng 6 : 2318m2
- xưởng 7 : 1920m2
- VĂN PHÒNG 300m2
- Trạm điện: 3 trạm gồm 320kva + 560kva + 630kva.
Xưởng dành cho tất cả các loại nhựa ô nhiễm, có mùi ,xả thải, ó keo, nhựa tái chế.....vv
- PCCC Vách tường nhiệm thu
- Có hầm Dock cho xe contino
-giá : 45 ngàn/m2 == Nghành sạch
- giá :70 ngàn/m2 == Nghành ô nhiễm
- Cọc 2 tháng
==Gía cả thương lượng
.
Hình ảnh
- Diên tích : 37,000m2 xây dựng 20,000m2
_ xây dựng có 7 xưởng
- xưởng 1 : 2704m2
- xưởng 2 : 2480m2
- xưởng 3 : 2368m2
- xưởng 4 : 1665m2
- xưởng 5 : 2660m2
- xưởng 6 : 2318m2
- xưởng 7 : 1920m2
- VĂN PHÒNG 300m2
- Trạm điện: 3 trạm gồm 320kva + 560kva + 630kva.
Xưởng dành cho tất cả các loại nhựa ô nhiễm, có mùi ,xả thải, ó keo, nhựa tái chế.....vv
- PCCC Vách tường nhiệm thu
- Có hầm Dock cho xe contino
-giá : 45 ngàn/m2 == Nghành sạch
- giá :70 ngàn/m2 == Nghành ô nhiễm
- Cọc 2 tháng
==Gía cả thương lượng
.
Có thể bạn quan tâm
-
BÁN NHÀ XƯỞNG – QL22B, CẨM GIANG, GÒ DẦU, TN – 48.888m²
Liên hệ Phường Tân Phước Khánh, Tân Uyên, Bình Dương
-
cho thuê nhà xưởng gò dầu, tây ninh giá rẻ. tdt 4,8ha giá 150tr/tháng
150 triệu/tháng 48000m² Đường Quốc lộ 22B, Xã Cẩm Giang, Gò Dầu, Tây Ninh
-
cho thuê cụm kho nhà xưởng 800 - 1.800 m² gò dầu, tây ninh văn phòng 205,9 m² vào hoạt động ngay
140 triệu/tháng 50000m² Đường Quốc lộ 22B, Xã Cẩm Giang, Gò Dầu, Tây Ninh
-
cho thuê 50.000 ( 5ha) - có xưởng 6000m2 - sx viên nén giá tốt
150 triệu/tháng 50000m² Xã Cẩm Giang, Gò Dầu, Tây Ninh
-
cho thuê nhà xưởng đất mặt tiền quốc lộ 22 tại gò dầu, tây ninh
150 triệu/tháng 50000m² Đường 22B, Xã Cẩm Giang, Gò Dầu, Tây Ninh
-
cho thuê kho xưởng , có tiếp nhân nghành nghề ô nhiễm Tỉnh tây ninh
150 triệu/tháng 37000m² 11