Tin đăng này đã hết hạn trên sosanhnha.com
Bạn có thể sử dụng công cụ tìm kiếm trên website để tìm những tin đăng mới nhất.
hoặc xem chi tiết tin
Có thể bạn quan tâm
Bán đất
Chủ Bán Lô đất Ngang 5m đẹp điên Ngay đường Hiệp Bình đi Vào 30m, đường Xe Hơi Thông 2 đầu
7,6 tỷ
76m²
Đặc điểm
Mã tin
33727748
Cập nhật
10/10/2025
Loại tin
Bán đất
Mức giá
7,6 tỷ
Diện tích
76m²
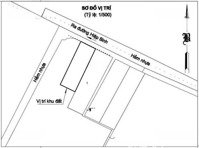
Địa chỉ
Đường Hiệp Bình, Phường Hiệp Bình Phước, Thủ Đức, Hồ Chí Minh
Bán đất ngang 5m ngay đường Hiệp Bình đi vào 30m, đẹp mê ly quên lối về.
- Diện tích: 75m2 ngang 5m
- Pháp lý: Đất Hiện trạng, xây dựng 5 tầng hoàn công
- Vị trí: Nằm ngay giữa đường Hiệp Bình, khu vực sầm uất nhất Phường Hiệp Bình, đường oto thông 2 đầu, 3p Qua tới Vạn Phúc City, 5p qua tới Giga Mall.
- Lợi thế: Nằm ở khu vực tiện ích đầy đủ, chợ cách 200m, trường các cấp cách 300m, Ngân hàng, siêu thị vây quanh
Liên hệ: em hỗ trợ xem thực tế và làm việc chính chủ ạ
Hình ảnh
- Diện tích: 75m2 ngang 5m
- Pháp lý: Đất Hiện trạng, xây dựng 5 tầng hoàn công
- Vị trí: Nằm ngay giữa đường Hiệp Bình, khu vực sầm uất nhất Phường Hiệp Bình, đường oto thông 2 đầu, 3p Qua tới Vạn Phúc City, 5p qua tới Giga Mall.
- Lợi thế: Nằm ở khu vực tiện ích đầy đủ, chợ cách 200m, trường các cấp cách 300m, Ngân hàng, siêu thị vây quanh
Liên hệ: em hỗ trợ xem thực tế và làm việc chính chủ ạ
Đặc điểm nổi bật
Diện tích :
76m2
Mặt tiền :
5m
Giá :
7,6 tỷ
Đường vào :
6m
Có thể bạn quan tâm
-
lô đất hẻm xe hơi hiếm có 57m2, xây 4 tầng, gần quốc lộ 13, hiệp bình phước chỉ 3.85 tỷ tl
3,85 tỷ 57m² Đường Số 10, Phường Hiệp Bình Phước, Thành phố Thủ Đức, Hồ Chí Minh
-
đất 531m2 ( ngang 10m nở hậu ) - ngay chợ phước bình - kdc hiện hữu - hxt - nhỉnh 15ty
15,9 tỷ 531m² Đường Đỗ Xuân Hợp, Phường Phước Bình, Thành phố Thủ Đức, Hồ Chí Minh
-
Bán giá tốt 76m2 Đất hẻm xe hơi Quốc Lộ 13 gần KĐT Vạn Phúc Thủ Đức
6,2 tỷ 76m² Đường Quốc Lộ 13 phường Hiệp Bình Phước quận Thủ Đức thành phố Hồ Chí Minh
-
bán đất tặng nhà mặt tiền hiệp phú - ngang khủng 5m - ngay vincom, đường lê văn việt -giá chỉ 5,3ty
5,3 tỷ 57m² Đường Số 275, Phường Hiệp Phú, Thành phố Thủ Đức, Hồ Chí Minh
-
bán lô đất 455m2 mặt tiền đường hiệp bình gần cụm ngân hàng, phù hợp xây tòa nhà cao tầng
54 tỷ 455m² Đường Hiệp Bình, Phường Hiệp Bình Phước, Thành phố Thủ Đức, Hồ Chí Minh
-
ĐẤT VÀNG TƯƠNG LAI SÁT BÊN GA METRO - HẺM XE TẢI KHÔNG QUY HOẠCH
2,65 tỷ 141m² 2/8/3 No.9 Street