Tin đăng này đã hết hạn trên sosanhnha.com
Bạn có thể sử dụng công cụ tìm kiếm trên website để tìm những tin đăng mới nhất.
hoặc xem chi tiết tin
Có thể bạn quan tâm
Bán kho, nhà xưởng
Chuyển Nhượng đất Mặt Tiền đại Lộ Bình Dương Trung Tâm Thủ Dầu Một
136 tỷ
1435m²
Đặc điểm
Mã tin
34170093
Cập nhật
04/12/2025
Loại tin
Bán kho, nhà xưởng
Mức giá
136 tỷ
Diện tích
1435m²
Địa chỉ
Đường Quốc Lộ 13, Phường Phú Hòa, Thủ Dầu Một, Bình Dương
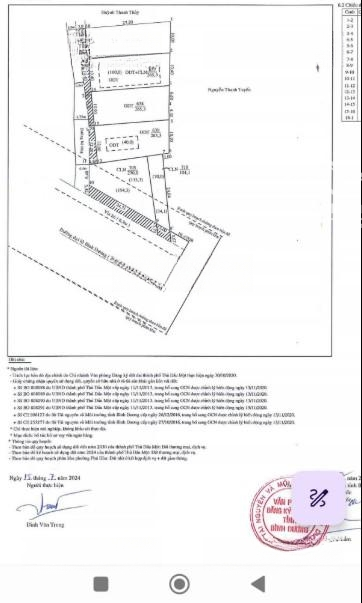
Chuyển nhượng đất mặt tiền Đại Lộ Bình Dương trung tâm Thủ Dầu Một.
- Diện tích: 1.435m² (trong đó 730,6m² thổ cư).
- Ngân hàng hỗ trợ vay: Lên đến 80 tỷ.
- Vị trí: Trung tâm đắc địa bậc nhất TP. Thủ Dầu Một, mặt tiền Đại lộ Bình Dương (30m x 50m).
- Quy hoạch: Đất TMDV thương mại dịch vụ, cho phép xây dựng cao tầng.
- Phù hợp: Phát triển tòa nhà văn phòng, trụ sở tập đoàn, khách sạn cao cấp...
- Hiện trạng: Đang cho thuê làm xưởng, dòng tiền ổn định trên 100 triệu đồng/tháng.
- Giá bán: 95 triệu/m2 (tổng giá trị: 136 tỷ đồng) thương lượng.
Liên hệ: Vũ Thúy.
Hình ảnh
- Diện tích: 1.435m² (trong đó 730,6m² thổ cư).
- Ngân hàng hỗ trợ vay: Lên đến 80 tỷ.
- Vị trí: Trung tâm đắc địa bậc nhất TP. Thủ Dầu Một, mặt tiền Đại lộ Bình Dương (30m x 50m).
- Quy hoạch: Đất TMDV thương mại dịch vụ, cho phép xây dựng cao tầng.
- Phù hợp: Phát triển tòa nhà văn phòng, trụ sở tập đoàn, khách sạn cao cấp...
- Hiện trạng: Đang cho thuê làm xưởng, dòng tiền ổn định trên 100 triệu đồng/tháng.
- Giá bán: 95 triệu/m2 (tổng giá trị: 136 tỷ đồng) thương lượng.
Liên hệ: Vũ Thúy.
Đặc điểm nổi bật
Diện tích :
1435m2
Mặt tiền :
30m
Giá :
136 tỷ
Đường vào :
46m
Có thể bạn quan tâm
-
shophouse từ giỏ hàng chủ đầu tư, sổ sẵn. diện tích 189m2, giá 6tỷ806
6,81 tỷ 189m² Happy One Central, Đường 30/4, Phường Phú Hòa, Thủ Dầu Một, Bình Dương
-
bán shophouse 2 tầng, happy one central 189m2, đã có sổ hồng. giá chỉ hơn 7 tỷ đã vat và pbt
6,81 tỷ 189m² Happy One Central, Đường 30/4, Phường Phú Hòa, Thủ Dầu Một, Bình Dương
-
bán căn shophouse thương mại tầng 1 - 2 tại happy one central. đã có sổ hồng, diện tích 189m2
6,81 tỷ 189m² Dự án Happy One Central, Đường 30/4, Phường Phú Hòa, Thủ Dầu Một, Bình Dương
-
happy one central bán lô shophouse cuối cùng giá chỉ 7 tỷ, dt 189m2, liên hệ đi xem nhà ngay
7 tỷ 189m² Dự án Happy One Central, Đường 30/4, Phường Phú Hòa, Thủ Dầu Một, Bình Dương
-
xưởng bán trong kcn sóng thần 3 thủ dầu một hcm. tổng dt 10.000m2. dt xưởng 6000m2. lh
130 tỷ 10000m² Đường Số 4, Phường Phú Hòa, Thủ Dầu Một, Bình Dương
-
Cần Bán đất Xây Xưởng 28.000M² Tại Hòa Phú, TP Thủ Dầu Một, Gần Vsip2.
Liên hệ Tân Uyên, Bình Dương