Tin đăng này đã hết hạn trên sosanhnha.com
Bạn có thể sử dụng công cụ tìm kiếm trên website để tìm những tin đăng mới nhất.
hoặc xem chi tiết tin
Có thể bạn quan tâm
Bán đất
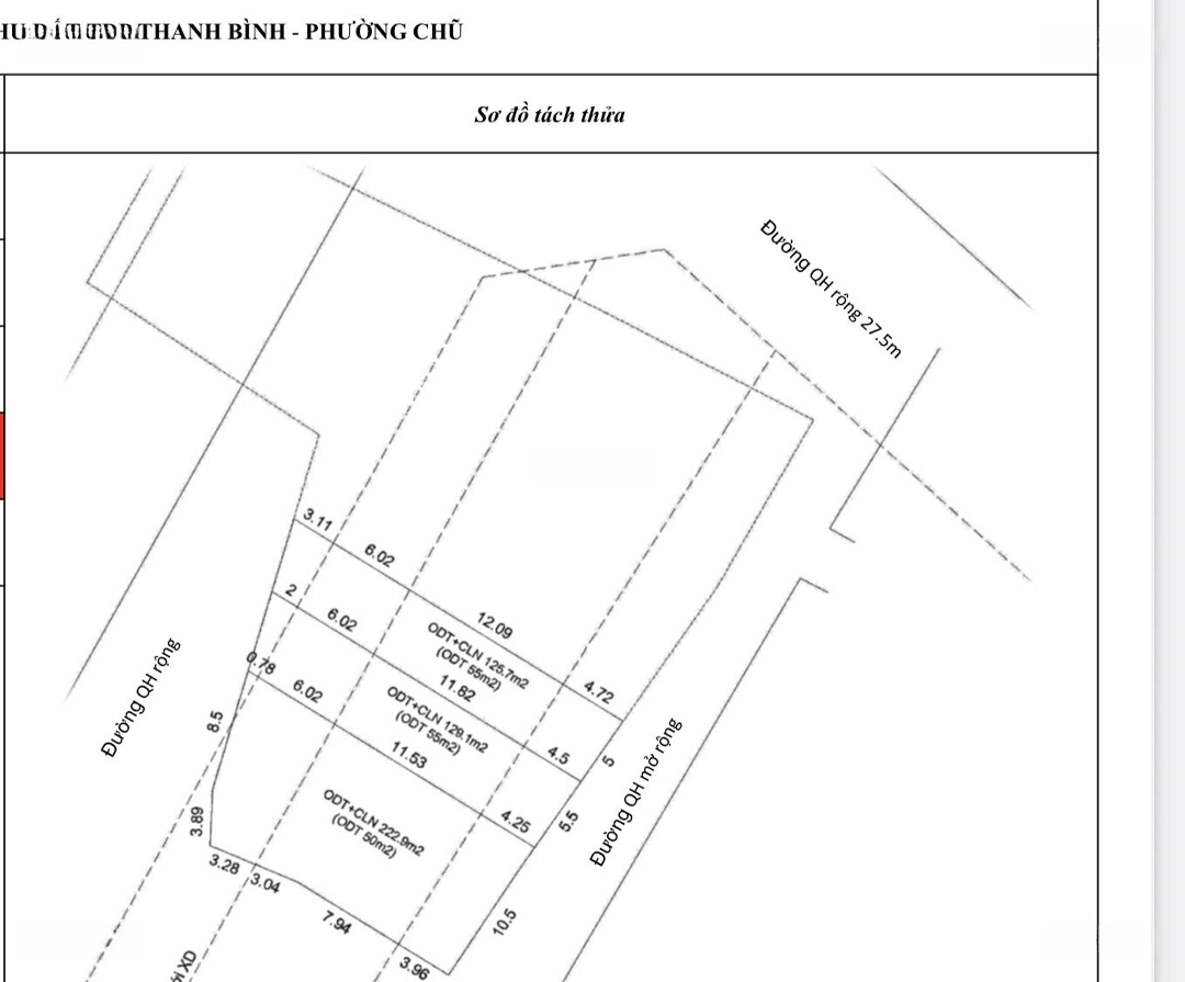
Cực Hiếm Lô đất 2 Mặt Tiền, Trung Tâm Tổ Dân Phố Thanh Bình, Phường Chũ, Giá Chỉ 690 Triệu/lô
690 triệu
125.7m²
Đặc điểm
Mã tin
33693498
Cập nhật
06/10
Loại tin
Bán đất
Mức giá
690 triệu
Diện tích
125.7m²
Địa chỉ
Thị trấn Chũ, Lục Ngạn, Bắc Giang
Cực hiếm Lô đất 2 mặt tiền, trung tâm tổ dân phố Thanh Bình, phường Chũ, giá chỉ 690 triệu/lô. Diện tích 125,7m vuông hai mặt tiền trước, sau.
Cách khu đô thị Thanh Hải chỉ 500m, gần trường học các cấp. Chợ. Trung tâm hành chính..
Đường bê tông hiện hữu 7m, mặt tiền trước 5,5m. Mặt tiền sau. Quy hoạch mở rộng đường 27.5m có vỉa hè
Sổ đỏ từng lô, pháp lý rõ ràng
Dân cư hiện hữu đông, hàng xóm thân thiện
2 mặt tiền thoáng trước sau, thuận tiện kinh doanh, xây nhà ở, đầu tư sinh lời
Chỉ còn hai lô duy nhất, vị trí đắc địa
Liên hệ chính chủ Nguyễn Huy Bất động sản để giữ lô đẹp nhất ngay nhé.
Hình ảnh
Cách khu đô thị Thanh Hải chỉ 500m, gần trường học các cấp. Chợ. Trung tâm hành chính..
Đường bê tông hiện hữu 7m, mặt tiền trước 5,5m. Mặt tiền sau. Quy hoạch mở rộng đường 27.5m có vỉa hè
Sổ đỏ từng lô, pháp lý rõ ràng
Dân cư hiện hữu đông, hàng xóm thân thiện
2 mặt tiền thoáng trước sau, thuận tiện kinh doanh, xây nhà ở, đầu tư sinh lời
Chỉ còn hai lô duy nhất, vị trí đắc địa
Liên hệ chính chủ Nguyễn Huy Bất động sản để giữ lô đẹp nhất ngay nhé.
Đặc điểm nổi bật
Diện tích :
125.7m2
Mặt tiền :
7m
Giá :
690 triệu
Đường vào :
8m
Có thể bạn quan tâm
-
em chỉ còn 3 lô lõi đô thị, dt 390 m2. 2 tr nhỉnh 3 phút ra trung tâm chũ bắc ninh
830 triệu 390m² Thị trấn Chũ, Lục Ngạn, Bắc Giang
-
dt 380m2 mt 7 m chỉ 2 tr nhỉnh, lõi đô thị, trung tâm quảng trường, bao sổ đỏ
820 triệu 382m² Thị trấn Chũ, Lục Ngạn, Bắc Giang
-
bán lô đất đẹp, trung tâm phường chũ, bắc ninh, giá đầu tư tốt
820 triệu 380m² Đường 31, Thị trấn Chũ, Lục Ngạn, Bắc Giang
-
đất nền đẹp xuất sắc tại thị trấn chũ, lục ngạn, bắc giang, 835 triệu, 150m2
835 triệu 150m² Thị trấn Chũ, Lục Ngạn, Bắc Giang
-
bán đất tại tdp chính, phường chũ, bắc ninh, 880 triệu, 111m2 cạnh khu du lich đập đá mài
880 triệu 111m² Thị trấn Chũ, Lục Ngạn, Bắc Giang
-
lô góc 2 mt ô tô tránh 800tr nhỉnh, dt 114 m2 mt 5 m, gần hồ du lịch sinh thái, trường chợ ubnd
876 triệu 114m² Thị trấn Chũ, Lục Ngạn, Bắc Giang