Đất 5,5x18m Góc 2 Mặt Tiền đối Diện Hồ Tân Mỹ Phường Tân Thuận Tây Q7
13,5 tỷ
75m²
Đặc điểm
Mã tin
32802180
Cập nhật
10/06
Loại tin
Bán đất
Mức giá
13,5 tỷ
Diện tích
75m²
Địa chỉ
hẻm 236 nguyễn văn linh phường tân thuận tây Quận 7,Đường Nguyễn Văn Linh, Quận 7, Hồ Chí Minh
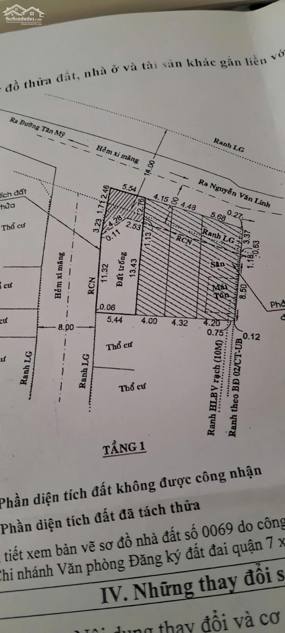
Bán lô đất Trống hẻm chính 236 Nguyễn văn linh Phường Tân Thuận Tây Quận 7.
Vị trí kế Bên Uỷ Ban ND Phường Tân Thuận Tây. wie Hồ Tân Mỹ . đường 10m xe tải vi vu, đường thông với đường Tân Mỹ, gần Trường ĐH Tài chính Marketing, Hướng Tây bắc
Diện Tích góc 2 mặt tiền 5,5x18m CN 75m2 . hiện trạng đất trống xây dựng ngay
giá 13,5 tỷ Thương Lượng
LH xem vị trí + pháp lý duy Trường 0918912139
Hình ảnh
Vị trí kế Bên Uỷ Ban ND Phường Tân Thuận Tây. wie Hồ Tân Mỹ . đường 10m xe tải vi vu, đường thông với đường Tân Mỹ, gần Trường ĐH Tài chính Marketing, Hướng Tây bắc
Diện Tích góc 2 mặt tiền 5,5x18m CN 75m2 . hiện trạng đất trống xây dựng ngay
giá 13,5 tỷ Thương Lượng
LH xem vị trí + pháp lý duy Trường 0918912139
Có thể bạn quan tâm
-
bán đất 4m8x 19 cn 70,3m2 tại tân mỹ, tân thuận tây, quận 7, 11,8 tỷ
11,8 tỷ 70.3m² Đường Tân Mỹ, Phường Tân Thuận Tây, Quận 7, Hồ Chí Minh
-
Bán Đất KDC HOÀN CẦU -ECOGREEN Quận 7 dt 5x14m,H.đông
12,3 tỷ 70m² KDC HOÀN CẦU -ECOGREEN Quận 7
-
bán đất tại huỳnh tấn phát, tân thuận tây, quận 7, hồ chí minh, giá siêu hời 5,2 tỷ, 50m2
5,2 tỷ 50m² Đường Huỳnh Tấn Phát, Phường Tân Thuận Tây, Quận 7, Hồ Chí Minh
-
đất hẻm 10m xe tải tránh kdc vip nguyễn văn linh, 4,7x17, tân thuận tây, quận 7, 11 tỷ thương lượng
11 tỷ 77.5m² Đường Nguyễn Văn Linh, Phường Tân Thuận Tây, Quận 7, Hồ Chí Minh
-
bán đất hiếm nguyễn thị thập, f. tân hưng - gần chợ tân mỹ - ngang hiếm 6m x 13m - nhỉnh 6 tỷ
6,8 tỷ 80m² Đường Nguyễn Thị Thập, Phường Tân Thuận Tây, Quận 7, Hồ Chí Minh
-
đất ở đối diện trường đh marketing q7, tân mỹ, dt ~104m2, xây căn hộ dịch vụ góc 2 mặt hẻm, 6.7 tỷ
6,7 tỷ 103.5m² Hẻm 132.22, Đường Tân Mỹ, Phường Tân Thuận Tây, Quận 7, Hồ Chí Minh