Tin đăng này đã hết hạn trên sosanhnha.com
Bạn có thể sử dụng công cụ tìm kiếm trên website để tìm những tin đăng mới nhất.
hoặc xem chi tiết tin
Có thể bạn quan tâm
Bán đất
đất Dtsd 175m2 Xuân Thới Sơn 16, 4,1 Tỷ Thông Toàn đường Lớn. Hẻm ô Tô
4,1 tỷ
135m²
Đặc điểm
Mã tin
34334539
Cập nhật
27/12/2025
Loại tin
Bán đất
Mức giá
4,1 tỷ
Diện tích
135m²
Địa chỉ
Đường Xuân Thới Sơn 16, Xã Xuân Thới Sơn, Hóc Môn, Hồ Chí Minh
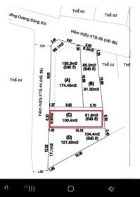
Lô đất đẹp sát mặt tiền đường nhựa Xuân Thới Sơn.
Nguyễn Thị Đành, Dương Công Khi, Hóc Môn, TP. HCM.
Diện tích: 175m2 (công nhận 135m2).
Ngang: Hơn 9m đất vuông vức.
Hiện trạng: Đất trống, tiện xây mới.
Pháp lý: Sổ hồng riêng chính chủ gấp bán.
Giá: 4.1 tỷ (thương lượng).
Hình ảnh
Nguyễn Thị Đành, Dương Công Khi, Hóc Môn, TP. HCM.
Diện tích: 175m2 (công nhận 135m2).
Ngang: Hơn 9m đất vuông vức.
Hiện trạng: Đất trống, tiện xây mới.
Pháp lý: Sổ hồng riêng chính chủ gấp bán.
Giá: 4.1 tỷ (thương lượng).
Đặc điểm nổi bật
Diện tích :
135m2
Mặt tiền :
9m
Giá :
4,1 tỷ
Đường vào :
5m
Có thể bạn quan tâm
-
mặt tiền đồng bà canh ngang 8,8m chỉ hơn 40tr/m2 gần vinhomes hóc môn
9,9 tỷ 359.4m² Đường Đồng Bà Canh, Xã Xuân Thới Sơn, Huyện Hóc Môn, Hồ Chí Minh
-
bán lô đất xuân thới sơn - gần đặng công bỉnh kế vinhomes hoc môn
2,3 tỷ 103m² Đường Đặng Công Bỉnh, Xã Xuân Thới Sơn, Huyện Hóc Môn, Hồ Chí Minh
-
bán đất hóc môn 85m2 gần nguyễn thị đành - đồng bờ canh , shr , khu dân cư . chỉ 3,1 tỷ .
3,1 tỷ 85m² Đường Nguyễn Thị Đành, Xã Xuân Thới Sơn, Huyện Hóc Môn, Hồ Chí Minh
-
siêu phẩm mặt tiền nguyễn văn bứa 60m x 130m - 01 sân duy nhất dành cho ông chủ/ bà chủ lớn
135 tỷ 7650m² Đường Nguyễn Văn Bứa, Xã Xuân Thới Sơn, Huyện Hóc Môn, Hồ Chí Minh
-
gấp bán nhanh lô đất vị trí vip kinh doanh gần vinhomes hocmon
3,1 tỷ 85m² Đường Dương Công Khi, Xã Xuân Thới Sơn, Huyện Hóc Môn, Hồ Chí Minh
-
mặt tiền đường nguyễn thị thử khu võ thị hồi, xuân thới sơn tphcm . kế vinhome
3,8 tỷ 80m² Đường Nguyễn Thị Thử, Xã Xuân Thới Sơn, Huyện Hóc Môn, Hồ Chí Minh