đất Giãn Dân Phan Sào Nam Hưng Yên Vị Trí Cửa Sau Của Hai Khu Công Nghiệp được Quy Hoạch.
1,9 tỷ
87m²
Đặc điểm
Mã tin
34552788
Cập nhật
3 tuần trước
Loại tin
Bán đất
Mức giá
1,9 tỷ
Diện tích
87m²
Địa chỉ
Đường ĐT 386, Xã Phan Sào Nam, Phù Cừ, Hưng Yên
PHAN SÀO NAM HƯNG YÊN
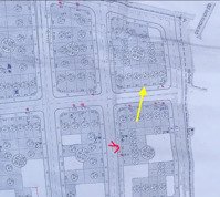
Khu Giãn Dân Chợ Ba Đông Phan Sào Nam Hưng Yên
Diện tích:87m² | Mặt tiền - hậu: 5,8m vuông vắn
Giá 1,900
Đường hai ô tô tải 2.5t tránh nhau
Dân cư hiện hữu đông đúc, bán kính 1km full tiện ích.
Gần UB, trường học, giáp sông, quy hoạch nằm giữa và ở cửa sau hai khu công nghiệp - bên cạnh còn hơn 30 lô chưa đấu giá- tiềm năng tăng giá.
------------------------------------
Zalo: chính chủ
Hình ảnh
Khu Giãn Dân Chợ Ba Đông Phan Sào Nam Hưng Yên
Diện tích:87m² | Mặt tiền - hậu: 5,8m vuông vắn
Giá 1,900
Đường hai ô tô tải 2.5t tránh nhau
Dân cư hiện hữu đông đúc, bán kính 1km full tiện ích.
Gần UB, trường học, giáp sông, quy hoạch nằm giữa và ở cửa sau hai khu công nghiệp - bên cạnh còn hơn 30 lô chưa đấu giá- tiềm năng tăng giá.
------------------------------------
Zalo: chính chủ
Đặc điểm nổi bật
Diện tích :
87m2
Giá :
1,9 tỷ
Có thể bạn quan tâm
-
lô biệt thự đất giãn dân đẹp - bán đầu năm lấy lộc buôn bán may mắn cả năm
2,25 tỷ 135m² Đất chợ Ba Đông - xã Phan Xào Nam, Đường ĐT 386, Xã Phan Sào Nam, Huyện Phù Cừ, Hưng Yên
-
duy nhất lô đất giãn dân đẹp tại phù cừ - hưng yên
1,65 tỷ 87m² Chợ Ba Đông - Phan sào nam - phù cừ - Hưng yên, Đường ĐT 386, Xã Phan Sào Nam, Huyện Phù Cừ, Hưng Yên
-
chủ gửi lô đất tại xã phan sào nam, huyện phù cừ, tỉnh hưng yên. diện tích 81,9 m2
980 triệu 81.9m² Xã Phan Sào Nam, Phù Cừ, Hưng Yên
-
chủ gửi lô kl3-84 đất giãn dân tại xã phan xào nam huyện phù cừ tỉnh hưng yên địa chỉ mới xã
2,4 tỷ 120m² Xã Phan Sào Nam, Phù Cừ, Hưng Yên
-
chính chủ cần bán lô góc 86,5m2, mt 5,73m, nở hậu 5,9m đấu giá xã phan sào nam, phù cừ, hưng yên
2,3 tỷ 86.5m² Xã Phan Sào Nam, Phù Cừ, Hưng Yên
-
tôi chính chủ đang có 2 lô đất giá rẻ nhất khu chỉ từ hơn 1 tỷ /123 m2
Liên hệ 123m² Đường ĐT 386, Xã Phan Sào Nam, Phù Cừ, Hưng Yên