Tin đăng này đã hết hạn trên sosanhnha.com
Bạn có thể sử dụng công cụ tìm kiếm trên website để tìm những tin đăng mới nhất.
hoặc xem chi tiết tin
Có thể bạn quan tâm
Bán đất
đất Giang điền 2 Mặt Tiền Sổ Riêng Giá Tốt Hiếm
1,7 tỷ
110.2m²
Đặc điểm
Mã tin
34441928
Cập nhật
14/01
Loại tin
Bán đất
Mức giá
1,7 tỷ
Diện tích
110.2m²
Địa chỉ
Đường Bình Minh, Xã Giang Điền, Trảng Bom, Đồng Nai
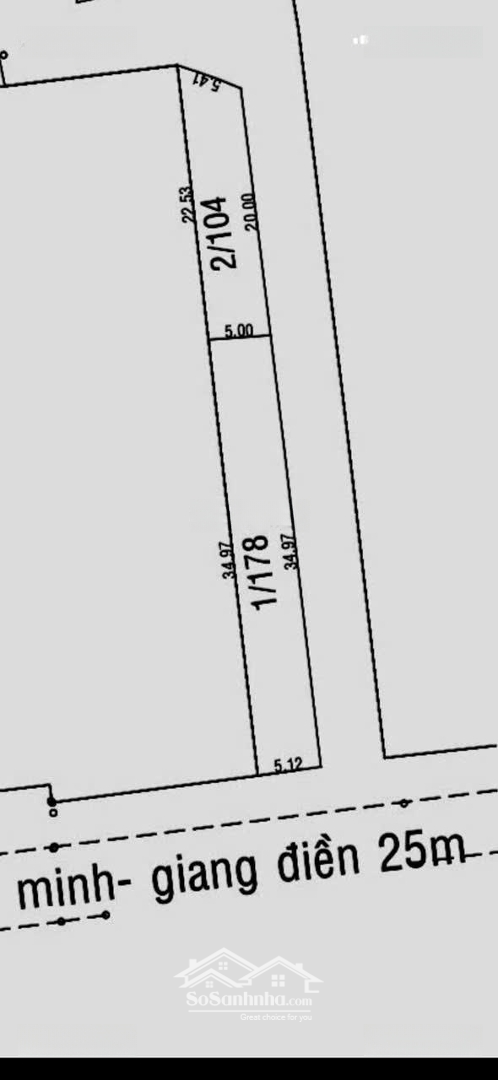
ĐẤT GIANG ĐIỀN 2 MẶT TIỀN SỔ RIÊNG GIÁ TỐT HIẾM
Lô ngoài mặt tiền Quốc lộ Giang Điền 20m, xe tải lưu thông
110,2m² full thổ cư kinh doanh cực tốt
Giá 1,7 tỷ
Lô sau 2 mặt tiền thông thoáng
121,9m² sổ riêng full thổ cư
Chỉ 4,5 tỷ cơ hội đầu tư hiếm
Nhi | Gọi ngay xem đất
Hình ảnh
Lô ngoài mặt tiền Quốc lộ Giang Điền 20m, xe tải lưu thông
110,2m² full thổ cư kinh doanh cực tốt
Giá 1,7 tỷ
Lô sau 2 mặt tiền thông thoáng
121,9m² sổ riêng full thổ cư
Chỉ 4,5 tỷ cơ hội đầu tư hiếm
Nhi | Gọi ngay xem đất
Đặc điểm nổi bật
Diện tích :
110.2m2
Giá :
1,7 tỷ
Có thể bạn quan tâm
-
cần bán lô đất nền ngay kcn giang điền giá 1,5 tỷ hỗ trợ vay nh ls ưu đãi, sổ hồng riêng
1,5 tỷ 90m² Đường Giang Điền, Xã Giang Điền, Huyện Trảng Bom, Đồng Nai
-
cần bán lô đất ngay kcn giang điền- trảng bom giá 1.5 tỷ sổ hồng riêng lh
1,5 tỷ 90m² Đường Giang Điền, Xã Giang Điền, Huyện Trảng Bom, Đồng Nai
-
cần bán đất ngay kcn giang điền giá 1.5 tỷ, sổ hồng riêng hỗ trợ vay nh lh
1,5 tỷ 90m² Xã Giang Điền, Huyện Trảng Bom, Đồng Nai
-
bán đất bình minh, giang điền, trảng bom, đồng nai, 1,6 tỷ, 110m2 siêu hot
1,6 tỷ 110m² Đường Bình Minh, Xã Giang Điền, Trảng Bom, Đồng Nai
-
cơ hội đầu tư vàng lô đất 867.5m² mặt tiền lớn, khai thác dòng tiền ngay
Liên hệ 867.5m² Đường Bình Minh, Xã Giang Điền, Trảng Bom, Đồng Nai
-
bán đất sẵn 2 nhà 3 kiot thông 2 mặt tiền đường lớn vào kcn t. giang điền, chính chủ full thổ cư
Liên hệ 867.5m² Ấp Độc Lập, Đường Bình Minh, Xã Giang Điền, Trảng Bom, Đồng Nai