Tin đăng này đã hết hạn trên sosanhnha.com
Bạn có thể sử dụng công cụ tìm kiếm trên website để tìm những tin đăng mới nhất.
hoặc xem chi tiết tin
Có thể bạn quan tâm
Bán đất
đất Lô Góc 5x18, Mặt Tiền đường Ngay Phạm Văn Bạch, P15, Tb Nhỉnh 8 Tỷ
Liên hệ
90m²
Đặc điểm
Mã tin
33831375
Cập nhật
22/10
Loại tin
Bán đất
Mức giá
Liên hệ
Diện tích
90m²
Địa chỉ
Đường Phạm Văn Bạch, Phường 15, Tân Bình, Hồ Chí Minh
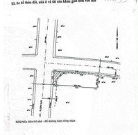
Vị trí: Gần chợ Phạm Văn Bạch, P15, Q. Tân Bình.
---
DT: 5x18, mặt tiền đường 10m thông.
Sổ vuông vức, xây 5 tầng.
---
Giá chủ gửi bán nhỉnh 8 tỷ xíu, thương lượng.
---
ĐT: bds Trường Chinh.
Hình ảnh
---
DT: 5x18, mặt tiền đường 10m thông.
Sổ vuông vức, xây 5 tầng.
---
Giá chủ gửi bán nhỉnh 8 tỷ xíu, thương lượng.
---
ĐT: bds Trường Chinh.
Đặc điểm nổi bật
Diện tích :
90m2
Mặt tiền :
5m
Giá :
Giá thỏa thuận
Đường vào :
12m
Có thể bạn quan tâm
-
quá ngộp! bán gấp khuôn đất mặt tiền ngay nhà ga t3 - dt 1800m2 ctxd 2 hầm 12tầng - giá giảm 128 tỷ
128 tỷ 1800m² Đường Phan Huy Ích, Phường 15, Tân Bình, Hồ Chí Minh
-
đường nhựa 8m - hẻm thông - sát mặt tiền phạm văn bạch - tân bình - dt 58m2 - ngang 5 cực hiếm
7,6 tỷ 58m² Phạm Văn Bạch, 15, Tân Bình, Hồ Chí Minh
-
cách mặt tiền nguyễn sỹ sách chỉ 10m, gần ubnd phường tân sơn nhà ga t3 metro trường chinh.
7,5 tỷ 100m² Đường Nguyễn Sỹ Sách, Phường 15, Tân Bình, Hồ Chí Minh
-
vị trí vàng - giảm sốc 12 tỷ - đất vàng phan huy ích qtb 2.129m2 - khổ 18m x 103m - bán 228 tỷ
228 tỷ 2129m² Đường Phan Huy Ích, Phường 15, Tân Bình, Hồ Chí Minh
-
bán đất100m2, phan huy ích, rẻ nhất phường 15 tân bình, 94m2 , nhỉnh 7 tỷ
7,85 tỷ 94m² Đường Phan Huy Ích, Phường 15, Tân Bình, Hồ Chí Minh
-
bán đất, 94m2,( ngang 5,5) cống lỡ, p15, tân binh, nhỉnh 7tỷ
7,8 tỷ 94m² Đường Hoàng Bật Đạt, Phường 15, Tân Bình, Hồ Chí Minh