Đất Thổ Cư 1/Huỳnh Thị Na-Đông Thạnh-Hóc Môn.Dt 5x27~134m2~3,6ty
3,6 tỷ
134m²
Đặc điểm
Mã tin
33959013
Cập nhật
4 tuần trước
Loại tin
Bán đất
Mức giá
3,6 tỷ
Diện tích
134m²
Địa chỉ
Huỳnh Thị Na,Xã Đông Thạnh, Huyện Hóc Môn, Hồ Chí Minh
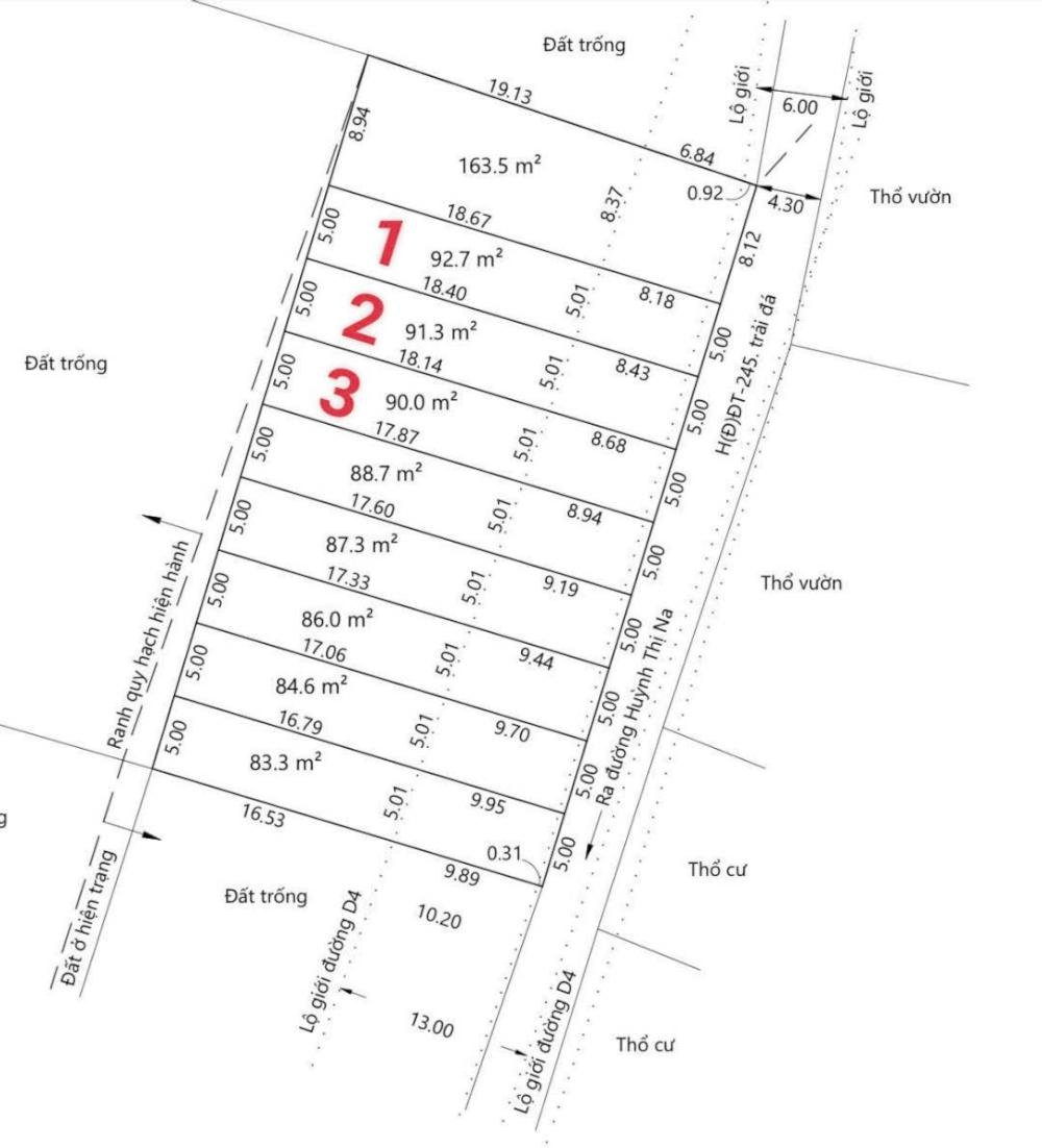
3 lô đất thổ cư liền kề, 1 xẹt 100m đ. Huỳnh Thị Na, Đông Thạnh, Hóc Môn. Cách Đặng Thúc Vịnh 800m.
* Dt mỗi lô: 5x27~134m2 có 90m2 thổ cư.
* Hướng Đông Nam, đường 6m cụt.
* Bản vẽ nội nghiệp đã duyệt, 1 tháng ra sổ công chứng.
* Giá 3ty600/1 lô thương lượng.
* Alo/Zalo 0346.700.466 cg
Hình ảnh
* Dt mỗi lô: 5x27~134m2 có 90m2 thổ cư.
* Hướng Đông Nam, đường 6m cụt.
* Bản vẽ nội nghiệp đã duyệt, 1 tháng ra sổ công chứng.
* Giá 3ty600/1 lô thương lượng.
* Alo/Zalo 0346.700.466 cg
Có thể bạn quan tâm
-
bán đất mặt tiền nguyễn thị sáng 5*18m, giá 4,750 tỷ bớt lộc
4,75 tỷ 80m² Đường Nguyễn Thị Sáng, Xã Đông Thạnh, Hóc Môn, Hồ Chí Minh
-
bán lô đất sổ hồng riêng ấp 6 đông thạnh
3,68 tỷ 104m² Đường Huỳnh Thị Na, Xã Đông Thạnh, Hóc Môn, Hồ Chí Minh
-
lô đất góc 2 mặt tiền n5, đông thạnh, hóc môn. dt 8.2mx20m. khu víp cao cấp. giá : 5.850 tỷ
5,85 tỷ 165m² Đường N5, Xã Đông Thạnh, Hóc Môn, Hồ Chí Minh
-
bán đất tại nguyễn thị đẹt, đông thạnh, hóc môn, tphcm
3,5 tỷ 100m² Xã Đông Thạnh, Hóc Môn, Hồ Chí Minh
-
BÁN ĐẤT MẶT TIỀN – ĐÔNG THẠNH 2, HÓC MÔN – 106M2 - GIÁ RẺ CHỈ 3.85 TỶ (TL)
3,85 tỷ 106m² Đông Thạnh, Hóc Môn
-
đất đẹp full thổ cư 54 m2 ở đường nguyễn công trừng, đông thạnh, hóc môn giá 1 tỷ3. shr
1,3 tỷ 54m² Đường Bùi Công Trừng, Xã Đông Thạnh, Hóc Môn, Hồ Chí Minh