Tin đăng này đã hết hạn trên sosanhnha.com
Bạn có thể sử dụng công cụ tìm kiếm trên website để tìm những tin đăng mới nhất.
hoặc xem chi tiết tin
Có thể bạn quan tâm
Bán đất
đất Thổ Cư đường Nguyễn Văn Quá Phường đông Hưng Thuận Quận 12 (5x23 Giá Chỉ 4,9 Tỷ)
4,9 tỷ
115m²
Đặc điểm
Mã tin
34397737
Cập nhật
08/01
Loại tin
Bán đất
Mức giá
4,9 tỷ
Diện tích
115m²
Địa chỉ
Đường Nguyễn Văn Quá, Phường Đông Hưng Thuận, Quận 12, Hồ Chí Minh
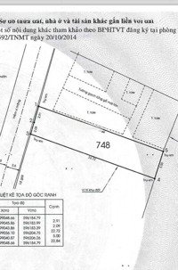
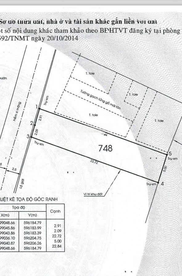
Bán lô đất cách đường Nguyễn Văn quá 80m gần kênh tham lương vị trí nằm giữa khúc Nguyễn Văn quá trường chinh và quang trung thuận tiện đi các quận hẻm trước lô đất 5-6m bê tông hướng Tây
DT.5m x23m ko lộ giới tiện cho anh chị xây căn hộ dịch vụ v.v
Giá chỉ 4,9 tỷ còn bớt
LH chính chủ thương lượng
Hình ảnh
DT.5m x23m ko lộ giới tiện cho anh chị xây căn hộ dịch vụ v.v
Giá chỉ 4,9 tỷ còn bớt
LH chính chủ thương lượng
Đặc điểm nổi bật
Diện tích :
115m2
Giá :
4,9 tỷ
Đường vào :
5m
Có thể bạn quan tâm
-
đấu giá qsdđ tại đường nguyễn văn quá, đông hưng thuận, tp.hcm
108 tỷ 785.1m² Đường Nguyễn Văn Quá, Phường Đông Hưng Thuận, Quận 12, Hồ Chí Minh
-
bán đất gần trường học cấp 1 nguyễn khuyến, đường nguyễn văn quá vào 2/ ngắn, dt 5x18m đường xe hơi
4,4 tỷ 80m² Đường Nguyễn Văn Quá, Phường Đông Hưng Thuận, Quận 12, Hồ Chí Minh
-
bán đất góc 2 mặt tiền hẻm xe hơi đường song hành phường đông hưng thuận q12
4,15 tỷ 66m² Đường Song Hành, Phường Đông Hưng Thuận, Quận 12, Hồ Chí Minh
-
bán đất mặt tiền tân thới nhất 02 quận 12 diện tích: 4,3m x 15m công nhận: 50m,
5,45 tỷ 50m² Đường Tân Thới Nhất 2, Phường Đông Hưng Thuận, Quận 12, Hồ Chí Minh
-
bán đất sổ đỏ đường đông hưng thuận 09, quận 12 cũ. 94m2 đất 83m2 thổ cư đường 12m. giá đẹp 6.4 tỷ
6,4 tỷ 94m² Đường Đông Hưng Thuận 9, Phường Đông Hưng Thuận, Quận 12, Hồ Chí Minh
-
đất mặt tiền đht19 ngay chợ cầu kề gò vấp
19,56 tỷ 254m² Đường Đông Hưng Thuận 19, Phường Đông Hưng Thuận, Quận 12, Hồ Chí Minh