Tin đăng này đã hết hạn trên sosanhnha.com
Bạn có thể sử dụng công cụ tìm kiếm trên website để tìm những tin đăng mới nhất.
hoặc xem chi tiết tin
Có thể bạn quan tâm
Bán đất
đất Thổ Cư Gần Vinhomes Hạ Long Xanh Khu 3 Hà An
2,84 tỷ
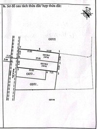
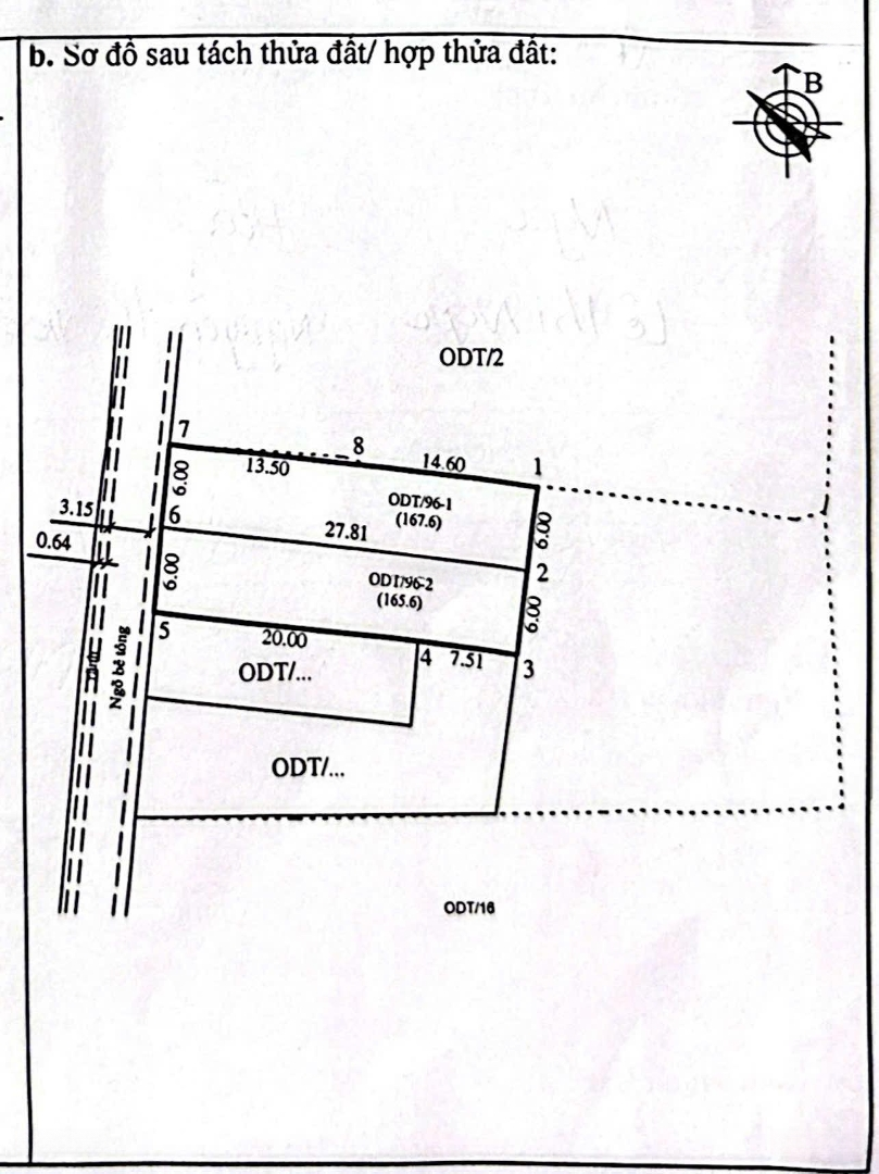
167m²
Đặc điểm
Mã tin
34198744
Cập nhật
10/12/2025
Loại tin
Bán đất
Mức giá
2,84 tỷ
Diện tích
167m²
Địa chỉ
Phường Hà An, Quảng Yên, Quảng Ninh
Đất thổ cư 100% xây dựng
Khu dân cư đông đúc
Ô tô chạy thông các ngả
Khu phố 3 Hà An Vị trí trung tâm
Gần và thông dự án VinHomes Hạ Long Xanh
Hình ảnh
Khu dân cư đông đúc
Ô tô chạy thông các ngả
Khu phố 3 Hà An Vị trí trung tâm
Gần và thông dự án VinHomes Hạ Long Xanh
Đặc điểm nổi bật
Diện tích :
167m2
Mặt tiền :
6m
Giá :
2,84 tỷ
Đường vào :
5m
Có thể bạn quan tâm
-
bán ô góc khu quy hoạch dân cư khu 12 hà an, đối diện vin hạ long xanh - quảng yên
5 tỷ 200m² Phường Hà An, Quảng Yên, Quảng Ninh
-
bán đất sát vinhomes hạ long xanh phường hà an, quảng yên gần quy hoạch khu trường học, giá đầu tư
1,8 tỷ 100m² Phường Hà An, Huyện Quảng Yên, Quảng Ninh
-
bán đất khu 14 giá tốt có thể chia tách làm 2 lô
2,4 tỷ 453m² Phường Hà An, Quảng Yên, Quảng Ninh
-
bán đất khu 8 phường hà an, diện tích 140m2 giá bán 23 triệu/m2
3,22 tỷ 140m² Phường Hà An, Quảng Yên, Quảng Ninh
-
cần tiền bán gấp lô đất 263m2 mặt tiền 15m liền kề với vinhomes hạ long xanh, phường hà an
4,73 tỷ 263m² Đường Hồng Phong, Phường Hà An, Quảng Yên, Quảng Ninh
-
bán đất đấu giá khu 11, phường hà an, tỉnh quảng ninh. diện tích 285m2 mặt tiền 15m giá 18tr/m2
5,13 tỷ 285m² Đường Hồng Phong, Phường Hà An, Quảng Yên, Quảng Ninh