Đấu Giá Văn Khê- Mê Linh. Gần Cầu Hồng Hà
Liên hệ
92m²
Đặc điểm
Mã tin
32841879
Cập nhật
14/06
Loại tin
Bán đất
Mức giá
Liên hệ
Diện tích
92m²
Địa chỉ
Văn khê- Mê linh,Đường Vành Đai 4, Huyện Mê Linh, Hà Nội
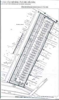
Đấu giá X3 Văn khê- Mê linh- Hà Nội
Gần nút giao Vành đai 4- #Chỉ_4, x TỶ
Diện tích 92,5m2 mặt tiền 5m
Cách Vành Đai 4 chỉ 1km
Gần cầu Hồng Hà kết nối Mê Linh và Đan Phượg
Cách đường trục chính mê linh chỉ 2km
Lh xem đất 0989726892
Hình ảnh
Gần nút giao Vành đai 4- #Chỉ_4, x TỶ
Diện tích 92,5m2 mặt tiền 5m
Cách Vành Đai 4 chỉ 1km
Gần cầu Hồng Hà kết nối Mê Linh và Đan Phượg
Cách đường trục chính mê linh chỉ 2km
Lh xem đất 0989726892
Có thể bạn quan tâm
-
bán đất 80m2 tại văn khê, mê linh, hà nội, giá thỏa thuận, đẹp, nhiều tiện ích
Liên hệ 80m² Xã Văn Khê, Huyện Mê Linh, Hà Nội
-
bán lô đất 90m sát đường 48m trong đê giá đẹp
Liên hệ 90m² Xã Văn Khê, Huyện Mê Linh, Hà Nội
-
chính chủ cần bán nhanh lô đất đẹp 90m2 tại văn khê, mê linh, hà nội
Liên hệ 90m² Xã Văn Khê, Mê Linh, Hà Nội
-
sát đường 48m.cách cầu hồng hà 2km
Liên hệ 90m² Xã Văn Khê, Mê Linh, Hà Nội
-
cần bán lô đất 180m² tại khu văn quán 1 - văn khê, mê linh đất đã lên thổ cư mt,mặt hậu 12.6m
Liên hệ 180m² Xã Văn Khê, Mê Linh, Hà Nội
-
bán đất đẹp 180m² full thổ cư văn quán 1, văn khê, mê linh, mặt tiền 12,6m siêu đẹp
Liên hệ 180m² Xã Văn Khê, Mê Linh, Hà Nội