Tin đăng này đã hết hạn trên sosanhnha.com
Bạn có thể sử dụng công cụ tìm kiếm trên website để tìm những tin đăng mới nhất.
hoặc xem chi tiết tin
Có thể bạn quan tâm
Bán đất
đường 16,99 Tỷ Mặt Tiền đường Trần Văn Hoài Gần Vincom Xuân Khánh Trung Tâm Thành Phố Cần Thơ
16,99 tỷ
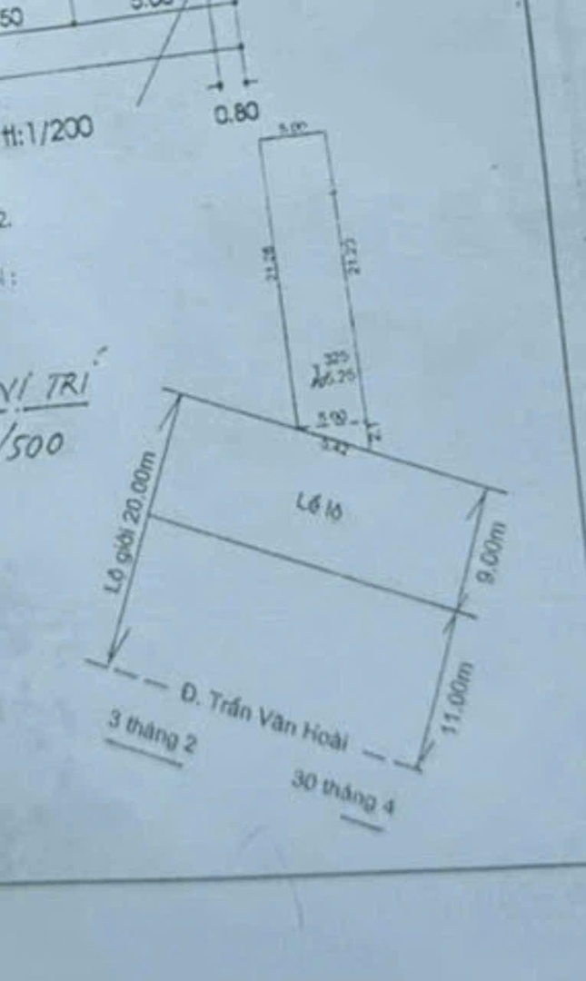
105m²
Đặc điểm
Mã tin
34140573
Cập nhật
01/12/2025
Loại tin
Bán đất
Mức giá
16,99 tỷ
Diện tích
105m²
Địa chỉ
Đường Trần Văn Hoài, Phường Xuân Khánh, Ninh Kiều, Cần Thơ
Đường Trần Văn Hoài dài chưa tới 550m mà rộng kinh khủng, mỗi bên tới 4 làn xe.
Trên đoạn này có Vincom, Vinmec, rồi mấy công ty văn phòng san sát. Riêng mấy anh em làm báo thì khỏi nói, nguyên một dãy 45 văn phòng đại diện, sát nách Đại học Cần Thơ luôn.
Đường này giờ đẹp và đông vui. Vị trí đẹp và HOT
SẴN TIỆN E CÓ 1 nền 5 X 21 = 105 m2 full thổ cư
GIÁ CHỐT BÁN : 16,99 tỷ
LIÊN HỆ : Quân
Hình ảnh
Trên đoạn này có Vincom, Vinmec, rồi mấy công ty văn phòng san sát. Riêng mấy anh em làm báo thì khỏi nói, nguyên một dãy 45 văn phòng đại diện, sát nách Đại học Cần Thơ luôn.
Đường này giờ đẹp và đông vui. Vị trí đẹp và HOT
SẴN TIỆN E CÓ 1 nền 5 X 21 = 105 m2 full thổ cư
GIÁ CHỐT BÁN : 16,99 tỷ
LIÊN HỆ : Quân
Đặc điểm nổi bật
Diện tích :
105m2
Mặt tiền :
5m
Giá :
16,99 tỷ
Đường vào :
47m
Có thể bạn quan tâm
-
BÁN ĐẤT MẶT TIỀN ĐƯỜNG LÊ LỢI , ĐỐI DIỆN SÂN VẬN ĐỘNG CẦN THƠ
31,5 tỷ 248m² ĐƯỜNG LÊ LỢI , ĐỐI DIỆN SÂN VẬN ĐỘNG CẦN THƠ
-
quỹ đất 1.1ha ptda resort hotel mt sông 140m xuân khánh, ninh kiều, cần thơ
850 tỷ 10905m² Đường Tầm Vu, Phường Xuân Khánh, Quận Ninh Kiều, Cần Thơ
-
BÁN ĐẤT MẶT TIỀN ĐƯỜNG VÕ VĂN KIỆT , GẦN SIÊU THỊ LOTTE CẦN THƠ
9,5 tỷ 121m² ĐƯỜNG VÕ VĂN KIỆT , GẦN SIÊU THỊ LOTTE CẦN THƠ
-
đất nền thổ cư sổ hồng riêng tại trung tâm cần thơ
1,3 tỷ 80m² Phường Xuân Khánh, Ninh Kiều, Cần Thơ
-
bán đất thổ cư mặt tiền đường nguyễn văn trỗi (cặp vách đại học cần thơ)
2,6 tỷ 54m² Đường Nguyễn Văn Trỗi, Phường Xuân Khánh, Ninh Kiều, Cần Thơ
-
nên mặt tiền tầm vu trong 64 mét vuông 15,5 tỷ gần trần ngọc quế, tp cần thơ
15,5 tỷ 164m² Đường Tầm Vu, Phường Xuân Khánh, Ninh Kiều, Cần Thơ