Tin đăng này đã hết hạn trên sosanhnha.com Bạn có thể sử dụng công cụ tìm kiếm trên website để tìm những tin đăng mới nhất. hoặc xem chi tiết tin
Có thể bạn quan tâm Bán đất

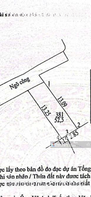
Gấp - Duy Nhất 1 Lô 52,5m Tại Thị Trấn Chúc Sơn P Chương Mỹ Giá Công Khai 3.15 Tỉ

3,15 tỷ 52.5m²
Đặc điểm
Mã tin 34060785
Cập nhật 21/11/2025
Loại tin Bán đất
Mức giá 3,15 tỷ
Diện tích 52.5m²
Địa chỉ Chúc Sơn, Chương Mỹ, Hà Nội
Thông tin chi tiết
ấp - Duy nhất 1 lô 52,5m tại Thị trấn Chúc Sơn P Chương Mỹ

khổ đất vuông đẹp, Mua xây nhà quá là Ok luôn. Mặt tiền 4m hậu 4m vuông đét như tờ A4. Cách vài chục mét là ra khu dịch vụ Đồng Tía.

Vị trí trung tâm của Chúc Sơn, tiện ích ngập tràn. Mua đất chỉ 3.15 tỉ + vài trăm triệu là có căn nhà đẹp mê ly,

Anh chị mua đất chủ bán đất nhé. Hiện trạng đất trống, chuẩn bị xây nhà.

Ngoài ra còn nhiều mảnh đất đẹp, ngõ nông, ô tô qua, LH em để có thêm thông tin.
Đặc điểm nổi bật
Diện tích :
52.5m2
Giá :
3,15 tỷ
Hình ảnh
Dịch vụ và tiện ích quanh đây:
Y tế Y tế Giáo dục Giáo dục Công viên Công viên Mua sắm Mua sắm
Nha Khoa Thẩm Mỹ 108 0.8 km 88 Hòa Sơn, TT. Chúc Sơn, Chương Mỹ, Hà Nội
Quầy Thuốc Thùy Dung Bán Lẻ Thuốc Thành Phẩm - Dụng Cụ Y Tế 3.4 km Đ. Liên Thôn, Cao Viên, Thanh Oai, Hà Nội
Công Ty Cổ Phần Năng Lượng Hiệu Quả 1.7 km Giang Chính, Hà Đông, Hà Nội
Cửa Hàng Thiết Bị Bảo Hộ Lao Động & Phòng Cháy Chữa Cháy 6.6 km 849 Đ. Quang Trung, La Khê, Hà Đông, Hà Nội
Cửa Hàng Bảo Hộ Lao Động 638 6.9 km 638 Đ. Quang Trung, La Khê, Hà Đông, Hà Nội
Công Ty Cổ Phần Đầu Tư Và Xuất Nhập Khẩu Y Tế Việt 7.7 km Số 368B Đ. Quang Trung, La Khê, Hà Đông, Hà Nội
Phòng khám sức khoẻ 7.8 km 21, Khu đô thị Văn Phú, Hà Đông, Hà Nội
Dịch vụ diệt côn trùng BioX 8.1 km Tòa 101 Usilk city, Khu đô thị Văn Khê, Hà Đông, Hà Nội
Công ty cổ phần đầu tư và sản xuất nội thất tân thịnh phát 8.3 km Ng. 22 Phố Ngô Quyền, La Khê, Hà Đông, Hà Nội 100000
Công Ty TNHH Giấy và Bao Bì Vipack 8.5 km 66 Lô CL29-04,05 khu đất, La Nội, Hà Đông, Hà Nội 10000
Nhà Thuốc 37 9.4 km 37 Đường Nguyễn Trãi, P. Nguyễn Trãi, Hà Đông, Hà Nội
Nhà Thuốc Thúy Hằng 9.5 km 7 P. Lụa, Vạn Phúc, Hà Đông, Hà Nội
Du học Bảo Anh - GMS 8.3 km Số 27, Liền kề 18, Khu đô thị Văn Khê, Hà Đông, Hà Nội 152261
Plastic Joint Stock Company Phu Hoa An 9.3 km 272 Hữu Hưng, Đai Mỗ, Hà Đông, Hà Nội 100000
Khoa Tim mạch - Lão học 8.9 km 2 Bế Văn Đàn, P. Quang Trung, Hà Đông, Hà Nội
Có thể bạn quan tâm
Được đăng bởi:
Nguyễn Duy Tuyến
Nguyễn Duy Tuyến