Tin đăng này đã hết hạn trên sosanhnha.com
Bạn có thể sử dụng công cụ tìm kiếm trên website để tìm những tin đăng mới nhất.
hoặc xem chi tiết tin
Có thể bạn quan tâm
Bán đất
Giá Này Làm Gì Còn Khách ơi Nhanh Tay đất Phú Mỹ Mà Có 8,1 Tr/m² Quá Rẻ đất 1 Sẹc Dx05 Vị Trí Vip
13,18 tỷ
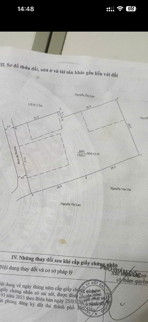
1627.6m²
Đặc điểm
Mã tin
34085507
Cập nhật
24/11
Loại tin
Bán đất
Mức giá
13,18 tỷ
Diện tích
1627.6m²
Địa chỉ
Đường DX 05, Phường Phú Mỹ, Thủ Dầu Một, Bình Dương
Giá này làm gì còn khách ơi nhanh tay.
Đất Phú Mỹ mà có 8tr1/m2 quá rẻ.
Đất 1 sẹc DX05 vị trí vip mặt tiền rộng 31.3mx52m.
TC 600m thích hợp mở nhà hàng khách sạn v. V. V đường xe tải vivu.
Ai có nhu cầu alo em GC nhé.
LH GC.
Hình ảnh
Đất Phú Mỹ mà có 8tr1/m2 quá rẻ.
Đất 1 sẹc DX05 vị trí vip mặt tiền rộng 31.3mx52m.
TC 600m thích hợp mở nhà hàng khách sạn v. V. V đường xe tải vivu.
Ai có nhu cầu alo em GC nhé.
LH GC.
Đặc điểm nổi bật
Diện tích :
1627.6m2
Mặt tiền :
31.3m
Giá :
13,18 tỷ
Có thể bạn quan tâm
-
chính chủ bán đất đường dx20 phú mỹ, 5x30 thổ cư 60m sát bên chợ phú mỹ, đường nhựa thông giá 3ty3
3,3 tỷ 150m² Đường DX 020, Phường Phú Mỹ, Thủ Dầu Một, Bình Dương
-
bán đất mặt tiền đồng cây viết phú mỹ 224m2 qua đường nhựa dt742 100m sổ sẵn có sẵn thổ cư 60m2
Liên hệ 82.5m² Đường Đồng Cây Viết, Phường Phú Mỹ, Thủ Dầu Một, Bình Dương
-
chủ giảm sâu cắt lỗ tđc phú mỹ giá 1.65tỷ 96m2 shr cách tthc chỉ 2p di chuyển, dân cư đông đúc
1,65 tỷ 96m² Đường D2, Phường Phú Mỹ, Thủ Dầu Một, Bình Dương
-
bán đất mặt tiền kinh doanh ngay chợ tạm mặt tiền dx 26 phú mỹ thủ dầu một bình dương.
nay hồ chí
4,88 tỷ 150m² Đường DX 026, Phường Phú Mỹ, Thủ Dầu Một, Bình Dương
-
đất mt đx-006 - hcm, 162m2 gần full thổ cư. rẻ hơn thị trường 200tr, vừa ở vừa kd tốt.
3,65 tỷ 162m² Đường DX 006, Phường Phú Mỹ, Thủ Dầu Một, Bình Dương
-
bán đất phú mỹ mặt tiền gần chợ phú mỹ
chủ cần ra gấp lô gốc mặt tiền dx 013 ở phú mỹ
dt :309m2 odt
6,05 tỷ 309m² Đường DX 013, Phường Phú Mỹ, Thủ Dầu Một, Bình Dương