Tin đăng này đã hết hạn trên sosanhnha.com
Bạn có thể sử dụng công cụ tìm kiếm trên website để tìm những tin đăng mới nhất.
hoặc xem chi tiết tin
Có thể bạn quan tâm
Bán nhà biệt thự, liền kề
Hạ Giá Gần 1 Tỷ, Bán Nhanh Trước Tết, Nhà Phố Mặt Tiền Rộng 7,5m, 2 Mặt Tiền đường
6,6 tỷ
127.5m²
Đặc điểm
Mã tin
34359276
Cập nhật
30/12/2025
Loại tin
Bán nhà biệt thự, liền kề
Dự án
La Maison De Cần Giờ
Mức giá
6,6 tỷ
Diện tích
127.5m²
Phòng ngủ
5 phòng ngủ
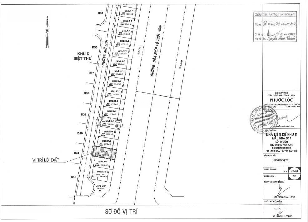
Địa chỉ
La Maison De Cần Giờ, Đường Lương Văn Nho, Xã Long Hòa, Cần Giờ, Hồ Chí Minh
Cần tiền tiêu Tết hạ giá từ 7 tỉ còn 6.6 tỷ lô đất nhà liền kề mặt tiền rộng 7,5 m, xây đủ đất 7,5 m rộng hơn diện tích xây biệt thự song lập, 2 mặt tiền đường.
+ Diện tích đất: 127,5 m², sở hữu lâu dài, tính ra có 51,7 triệu/m2
+ Tổng diện tích xây dựng thực tế: 430,33 m², tính ra có 20,68 triệu/m2 sàn xây dựng
+ Dạng nhà ở: xây thô và hoàn thiện mặt trước và mặt sau căn nhà, nhà đang xây sắp cất nóc
+ Xây dựng theo mẫu nhà: Mẫu số 1, là mẫu nhà 100% khách mua ưng ý vì công năng đẹp hơn cả biệt thự.
Bán nhanh trước Tết, LH:
Hình ảnh
+ Diện tích đất: 127,5 m², sở hữu lâu dài, tính ra có 51,7 triệu/m2
+ Tổng diện tích xây dựng thực tế: 430,33 m², tính ra có 20,68 triệu/m2 sàn xây dựng
+ Dạng nhà ở: xây thô và hoàn thiện mặt trước và mặt sau căn nhà, nhà đang xây sắp cất nóc
+ Xây dựng theo mẫu nhà: Mẫu số 1, là mẫu nhà 100% khách mua ưng ý vì công năng đẹp hơn cả biệt thự.
Bán nhanh trước Tết, LH:
Đặc điểm nổi bật
Diện tích :
127.5m2
Mặt tiền :
7.5m
Giá :
6,6 tỷ
Số tầng :
3 tầng
Phòng ngủ :
5 phòng
Phòng tắm :
4 phòng
Đường vào :
13m
Có thể bạn quan tâm
-
suất ngoại giao vinhomes cần giờ rẻ hơn thị trường 4-5 tỷ/căn. lh trực tiếp pkd cđt
19,7 tỷ 196.2m² 5 Vinhomes Green Paradise, Xã Long Hòa, Huyện Cần Giờ, Hồ Chí Minh
-
suất căn đẹp vinhomes green paradise cần giờ, ck 22%, giá 90 triệu/m2. lh trực tiếp cđt
Liên hệ 75m² Vinhomes Green Paradise, Xã Long Hòa, Huyện Cần Giờ, Hồ Chí Minh
-
bán gấp biệt thự đẹp tại vinhomes green paradise, 9,19 tỷ, 62,5 m2
9,19 tỷ 62.5m² 4 Vinhomes Green Paradise, Đường Rừng Sác, Xã Long Hòa, Huyện Cần Giờ, Hồ Chí Minh
-
hot!!! giỏ hàng vinhome cần giờ tốt nhất 10 căn đợt 1 từ chủ đầu tư
12,9 tỷ 75m² 4 Vinhomes Green Paradise, Đường Rừng Sác, Xã Long Hòa, Huyện Cần Giờ, Hồ Chí Minh
-
bán biệt thự vinhomes green paradise, giá ưu đãi, 19 tỷ, 189m2
19 tỷ 189m² 4 Vinhomes Green Paradise, Xã Long Hòa, Huyện Cần Giờ, Hồ Chí Minh
-
nhà phố giá cực tốt chỉ còn 1 căn tại vinhomes green paradise,cơ hội đầu tư cho khách nào nhanh tay
12 tỷ 75m² Vinhomes Green Paradise, Xã Long Hòa, Huyện Cần Giờ, Hồ Chí Minh