Tin đăng này đã hết hạn trên sosanhnha.com
Bạn có thể sử dụng công cụ tìm kiếm trên website để tìm những tin đăng mới nhất.
hoặc xem chi tiết tin
Có thể bạn quan tâm
Bán đất
Hailongreal: đất Bán: 38tr/m2, Dt: 5*28m, 140m2, Mặt Tiền Hẻm 1651/lê Văn Lương, 10 Năm Không Ngập
5,32 tỷ
140m²
Đặc điểm
Mã tin
34119871
Cập nhật
28/11
Loại tin
Bán đất
Mức giá
5,32 tỷ
Diện tích
140m²
Địa chỉ
Hẻm 1651/, Đường Lê Văn Lương, Xã Nhơn Đức, Nhà Bè, Hồ Chí Minh
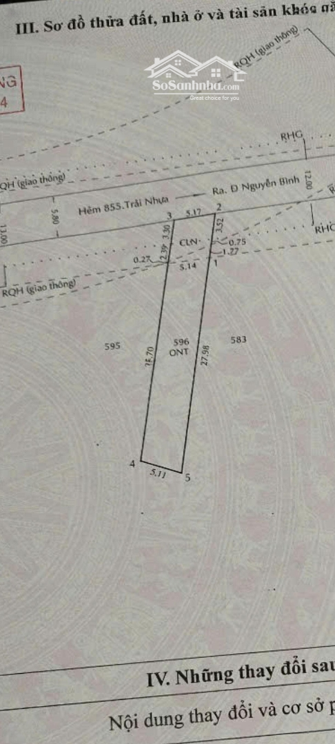
Hai Long Real: Đất hẻm thông 1651/ Lê Văn Lương, thông 845 Nguyễn Bình, hẻm cao 10 năm không ngập nước.
- Đất mặt tiền hẻm 1651/ Lê Văn Lương, Nhà Bè.
- Giá: 38tr/m2.
- Diện tích: 5*38m, 140m2 có 105m2 ODT.
- Hẽm thông, buôn bán tốt, xây căn hộ dịch vụ hiệu quả, gần Làng Đại Học Nhà Bè.
----------------------------------------------------
- Liên hệ: Team Hai Long Real, các thành viên kinh nghiệm hoạt động thị trường BDS Nhà Bè hơn 10 năm.
- Liên hệ: Mr Hai - kinh nghiệm hoạt động thị trường BDS Nhà Bè 17 năm (2009 - 2025).
- Hai Long Real - nói không với tin đăng ảo.
Hình ảnh
- Đất mặt tiền hẻm 1651/ Lê Văn Lương, Nhà Bè.
- Giá: 38tr/m2.
- Diện tích: 5*38m, 140m2 có 105m2 ODT.
- Hẽm thông, buôn bán tốt, xây căn hộ dịch vụ hiệu quả, gần Làng Đại Học Nhà Bè.
----------------------------------------------------
- Liên hệ: Team Hai Long Real, các thành viên kinh nghiệm hoạt động thị trường BDS Nhà Bè hơn 10 năm.
- Liên hệ: Mr Hai - kinh nghiệm hoạt động thị trường BDS Nhà Bè 17 năm (2009 - 2025).
- Hai Long Real - nói không với tin đăng ảo.
Đặc điểm nổi bật
Diện tích :
140m2
Giá :
5,32 tỷ
Đường vào :
7m
Có thể bạn quan tâm
-
bán đất 140m2 lô nhì lê văn lương, 4,9 tỷ, ngang 7m đẹp , xe hơi quay đầu , kdc hiện hữu xdtd
4,9 tỷ 140m² Đường Lê Văn Lương, Xã Nhơn Đức, Nhà Bè, Hồ Chí Minh
-
hailongreal: đất đường 14m, giá: 35tr/m2, dt: 5x24m, đường d2, đường lê văn lương rẽ vào lê thị tám
4,2 tỷ 120m² Đường D2, Xã Nhơn Đức, Nhà Bè, Hồ Chí Minh
-
đất vườn đẹp dt: 1.125m2 đường ô tô, cách lê văn lương 300m - giá 6,5tr/m2
7,3 tỷ 1125m² Hẻm 1991, Đường Lê Văn Lương, Xã Nhơn Đức, Nhà Bè, Hồ Chí Minh
-
chủ bán đất 5x18m, lê văn lương, sổ riêng, hẻm xe hơi, giá 3 tỷ
3 tỷ 91m² Đường Lê Văn Lương, Xã Nhơn Đức, Nhà Bè, Hồ Chí Minh
-
bán đất nhơn đức, 5,2 tỷ, 165m2 bao đẹp 5p q7, có sẵn giấy xây dựng
5,2 tỷ 165m² Đường Nhơn Đức, Xã Nhơn Đức, Nhà Bè, Hồ Chí Minh
-
cần bán gấp 223m2 đất đường nguyễn bình, nhơn đức, nhà bè
5,5 tỷ 223m² Đường Nguyễn Bình, Xã Nhơn Đức, Nhà Bè, Hồ Chí Minh