Hàng Hiếm đất Lô 16 Lê Hồng Phong, đằng Lâm (e62) Lh
14,18 tỷ
135m²
Đặc điểm
Mã tin
34640073
Cập nhật
7 giờ trước
Loại tin
Bán đất
Mức giá
14,18 tỷ
Diện tích
135m²
Địa chỉ
Đường Lê Hồng Phong, Phường Đằng Lâm, Quận Hải An, Hải Phòng
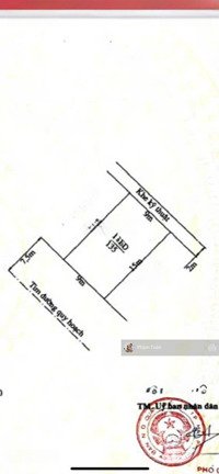
Hàng hiếm đất lô 16 Lê Hồng Phong, Đằng Lâm (E62) LH
D. Tích: 135m2 (ngang 9 x 15m) - Hướng: Tây Nam.
- Vị trí khu phân lô cao cấp tuyến 3 Lê Hồng Phong, đường 15m vỉa hè hai bên.
- Phù hợp xây ở hoặc làm công ty văn phòng, khách sạn an ninh 24/7.
Giá: 105 tr/m2.
============================
+ Phạm Tuân zalo, face, 16135).
+ Chuyên BĐS các khu Tái định cư - phân lô Lê Hồng Phong, Hải An, Ngô Quyền.
A/c kết bạn zalo để xem nhiều SP khác hoặc gọi trực tiếp để được tư vấn.
Hình ảnh
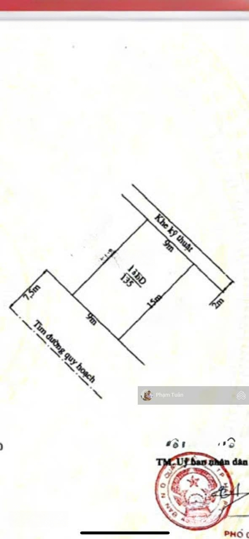
D. Tích: 135m2 (ngang 9 x 15m) - Hướng: Tây Nam.
- Vị trí khu phân lô cao cấp tuyến 3 Lê Hồng Phong, đường 15m vỉa hè hai bên.
- Phù hợp xây ở hoặc làm công ty văn phòng, khách sạn an ninh 24/7.
Giá: 105 tr/m2.
============================
+ Phạm Tuân zalo, face, 16135).
+ Chuyên BĐS các khu Tái định cư - phân lô Lê Hồng Phong, Hải An, Ngô Quyền.
A/c kết bạn zalo để xem nhiều SP khác hoặc gọi trực tiếp để được tư vấn.
Đặc điểm nổi bật
Diện tích :
135m2
Mặt tiền :
9m
Giá :
14,18 tỷ
Đường vào :
15m
Có thể bạn quan tâm
-
bán gấp lô góc 3 mặt tiền tuyến 1 lê hồng phong, hải phòng, giá vào việc nhanh chỉ 15x/m2
Liên hệ 1485m² Phường Đằng Lâm, Quận Hải An, Hải Phòng
-
bán lô đất vị trí đẹp dt60m2 mặt đường tây trung hành hải an
6,6 tỷ 60m² Phố Tây Trung Hành, Phường Đằng Lâm, Quận Hải An, Hải Phòng
-
cần bán lô trung lực, đằng lâm, hải an - dt 56m2/ lô hướng tây tt - tuyến 2 tl thông văn cao
4,59 tỷ 56m² Phố Trung Lực, Phường Đằng Lâm, Quận Hải An, Hải Phòng
-
bán đất khu phân lô tuyến 2 đường cát bi ngay cạnh trường cấp 3 lê quý đôn
4,28 tỷ 56m² Đường Cát Bi, Phường Đằng Lâm, Quận Hải An, Hải Phòng
-
spcc, sau sở tài chính đất lô 15 tuyến 2 lê hồng phong (c617) lh:
6,9 tỷ 60m² Đường Lê Hồng Phong, Phường Đằng Lâm, Quận Hải An, Hải Phòng
-
519.không lỗi lầm đất tái định cư đằng lâm 2 hải an -hp -d.tích: 89,8m (ngang 4,8 x 19)-hướng: bắc
8,08 tỷ 89.8m² Đường Ngô Gia Tự, Phường Đằng Lâm, Quận Hải An, Hải Phòng