Tin đăng này đã hết hạn trên sosanhnha.com
Bạn có thể sử dụng công cụ tìm kiếm trên website để tìm những tin đăng mới nhất.
hoặc xem chi tiết tin
Có thể bạn quan tâm
Bán đất
- Hàng Khủng Dành Cho Cá Mập - Hòa Nghĩa - Dương Kinh - Diện Tích 414m2 Bìa đỏ + 400m2 đất 03 Liền
7,6 tỷ
800m²
Đặc điểm
Mã tin
34295734
Cập nhật
22/12/2025
Loại tin
Bán đất
Mức giá
7,6 tỷ
Diện tích
800m²
Địa chỉ
Phường Hòa Nghĩa, Quận Dương Kinh, Hải Phòng
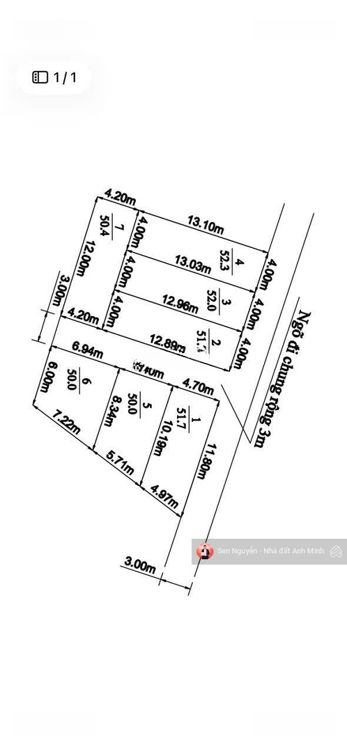
- HÀNG KHỦNG DÀNH CHO CÁ MẬP - HÒA NGHĨA - DƯƠNG KINH
- Diện tích 414m2 bìa đỏ + 400m2 đất 03 liền kề làm nhà vườn siêu đẹp
- Ngõ trước mặt rộng ~~ 4m ô tô vào thoải mái
- Ngõ 136 Tư Thủy, gần dự án đường Cầu Rào 3, gần đường 402 và Phạm Văn Đồng
- Đặc biệt không lỗi quy hoạch hay phong thủy.
- Giá chỉ 7.x tỷ
Liên hệ để biết thêm chi tiết:
======================
NHÀ ĐẤT ANH MINH - Chuyên đất nền Dương Kinh - Kiến Thụy - Đồ Sơn
- Địa chỉ: 782 Phạm Văn Đồng, Dương Kinh, Hải Phòng.
Liên hệ:
Hình ảnh
- Diện tích 414m2 bìa đỏ + 400m2 đất 03 liền kề làm nhà vườn siêu đẹp
- Ngõ trước mặt rộng ~~ 4m ô tô vào thoải mái
- Ngõ 136 Tư Thủy, gần dự án đường Cầu Rào 3, gần đường 402 và Phạm Văn Đồng
- Đặc biệt không lỗi quy hoạch hay phong thủy.
- Giá chỉ 7.x tỷ
Liên hệ để biết thêm chi tiết:
======================
NHÀ ĐẤT ANH MINH - Chuyên đất nền Dương Kinh - Kiến Thụy - Đồ Sơn
- Địa chỉ: 782 Phạm Văn Đồng, Dương Kinh, Hải Phòng.
Liên hệ:
Đặc điểm nổi bật
Diện tích :
800m2
Giá :
7,6 tỷ
Có thể bạn quan tâm
-
siêu phẩm mặt đường 402 hoà nghĩa - dương kinh - hải phòng dt: 340m2 mặt tiền rộng 11m
9,86 tỷ 340m² Đường 402, Phường Hòa Nghĩa, Dương Kinh, Hải Phòng
-
mặt đường sông he, dương kinh, hải phòng. dt: 74.4m2 ngang 4m x 18.6m - vị trí siêu đẹp gần cầu rào
3,03 tỷ 74.4m² Phố Sông He, Phường Hòa Nghĩa, Dương Kinh, Hải Phòng
-
lô tái định cư hòa nghĩa, dương kinh gần vinhomes chỉ 26 triệu/m2 - diện tích: 200m2 ngang 10m
5,2 tỷ 200m² Phường Hòa Nghĩa, Dương Kinh, Hải Phòng
-
lô đất 102m2 mặt đường hải phong gần vinhomes dương kinh chỉ 4,05 tỷ - diện tích 102m2, mt 4,6m
4,05 tỷ 102m² Đường Hải Phong, Phường Hòa Nghĩa, Dương Kinh, Hải Phòng
-
1 tỷ 06 sở hữu ngay lô đất ngõ ôtô vào tận nơi cách mặt đường 353 chỉ 200m. chính chủ gửi bán
1,06 tỷ 51.4m² Phường Hòa Nghĩa, Dương Kinh, Hải Phòng
-
hàng hiếm tại hòa nghĩa, dương kinh, hải phòng
2,18 tỷ 100m² Đường Hòa Nghĩa, Phường Hòa Nghĩa, Quận Dương Kinh, Hải Phòng